유촌 신일레져_감성돔 조황입니다

신상품 소개


회원 랭킹


공지사항


NaverBand
점주/선장 > 선상 + 좌대 조황

유촌 신일레져_감성돔 조황입니다

신일레져 0 91
● 출항지 : 통영 ● 출조지 : 통영
밴드 바로가기

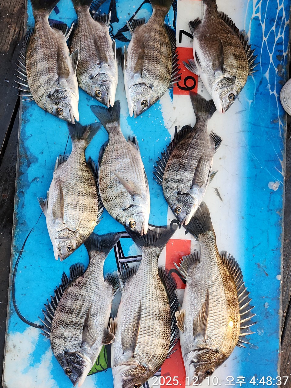
유촌 신일레져 선외기 조황입니다.

 

오늘 감성돔 3짜 후반까지 나왔습니다.

 

주중 선외기 여유있습니다. 

감생이 손맛보러 오세요

 

날씨가 많이 춥습니다.

채비 따뜻하게 하시고 감기 조심하세요~

556ba49fb204a70410d53a748655df9b_1765356243_7764.jpeg



556ba49fb204a70410d53a748655df9b_1765356243_9823.jpeg



556ba49fb204a70410d53a748655df9b_1765356244_1755.jpeg



556ba49fb204a70410d53a748655df9b_1765356244_3846.jpeg



556ba49fb204a70410d53a748655df9b_1765356244_5865.jpeg



556ba49fb204a70410d53a748655df9b_1765356244_7754.jpeg



556ba49fb204a70410d53a748655df9b_1765356244_974.jpeg



556ba49fb204a70410d53a748655df9b_1765356245_171.jpeg



556ba49fb204a70410d53a748655df9b_1765356245_3763.jpeg



556ba49fb204a70410d53a748655df9b_1765356245_5749.jpeg



556ba49fb204a70410d53a748655df9b_1765356254_0282.jpeg



556ba49fb204a70410d53a748655df9b_1765356254_2154.jpeg



556ba49fb204a70410d53a748655df9b_1765356263_6.jpg



556ba49fb204a70410d53a748655df9b_1765356266_4912.jpg



 

산뜻한새벽출조를위해가급적

 늦은밤통화는조금만자제부탁드립니다^^ 

(예약문의는저녁9시전에전화주세요~!!!)

 

 

# 선상 음주 절대불가입니다.

주류는 가져오지 마세요

 

  • 페이스북으로 보내기
  • 트위터로 보내기
  • 구글플러스로 보내기
  • 카카오스토리로 보내기
  • 네이버밴드로 보내기
  • 네이버로 보내기
  • 텀블러로 보내기
  • 핀터레스트로 보내기
0 댓글
포토 제목
 
 

인낚 최신글


인낚 최신댓글


온라인 문의 안내


월~금 : 9:00 ~ 18:00
토/일/공휴일 휴무
점심시간 : 12:00 ~ 13:00