네임
카드
카드
전국낚시(씨울프호)
전남 여수시 신월5길 50
010-3608-6131
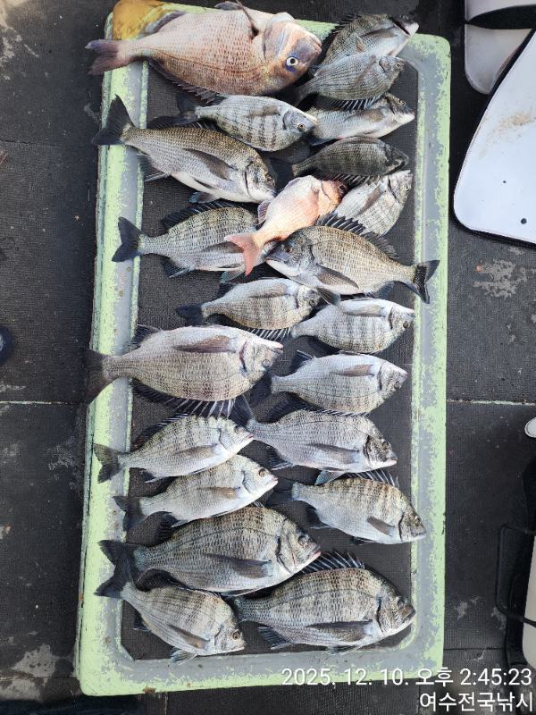
40전후 마릿수 감성돔
전남 여수시 신월5길 50







*** 여수 전국낚시 예약 안내 ***
예약문의 : 010-3608-6131

|
|
|
|

