네임
카드
카드
프로포즈호
경상남도 거제시 일운면 거제대로 1476-3
01048436552
0556811443
경상남도 거제시 일운면 거제대로 1476-3
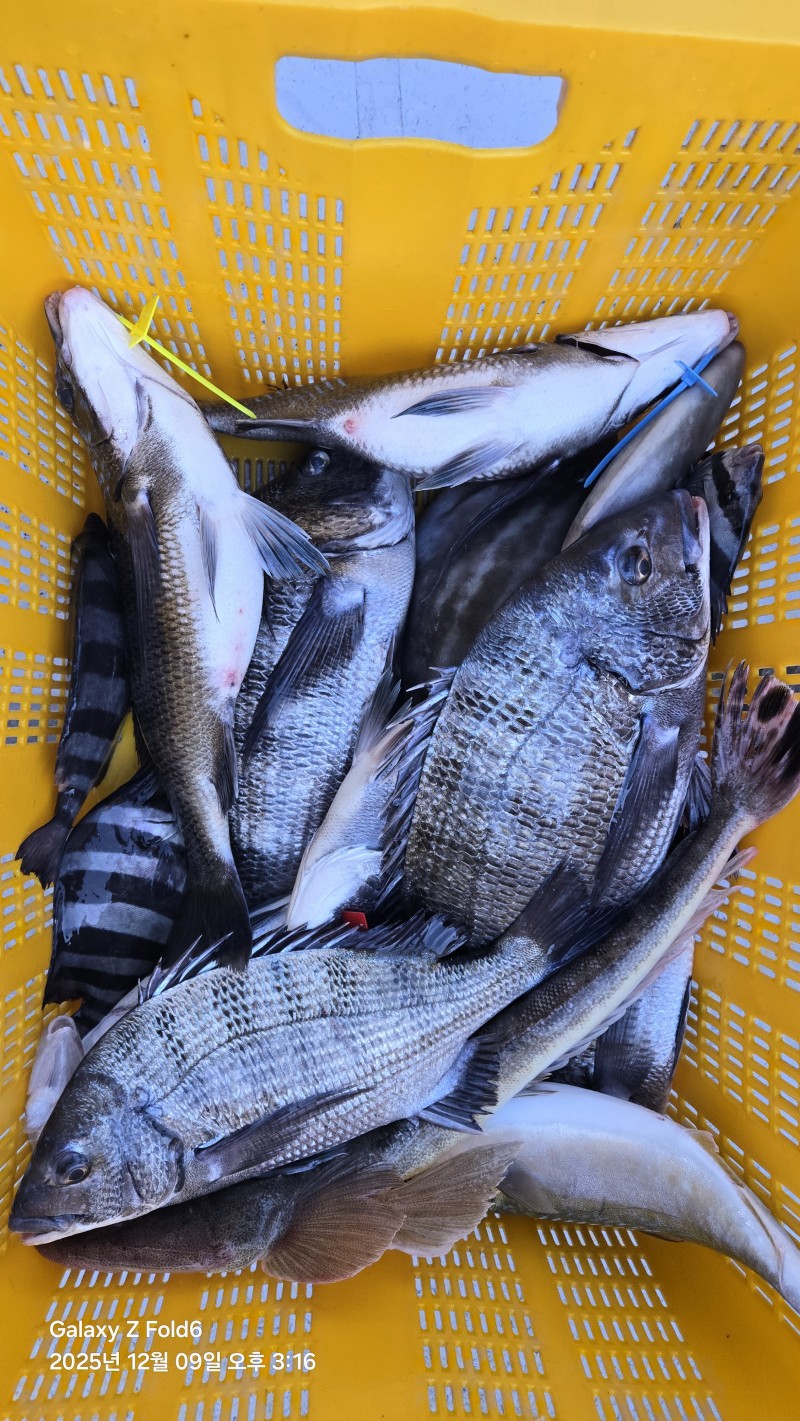
금일조황입니다
이침타임에 계속이어지다 몇수 볏겨지고
마지막 포인트에서 그렇다할 입질을 받을수 없습니다
함께하신조우님들 수고많으셨습니다
내일도 대물사냥 어어집니다
같이하실분 전화주세요
일부조황 자세한 내용은 밴드에서 확인가능~
- 당일 조황을 올리셔야 합니다.
- 지난 조황은 2일이내 미등록 조황만 가능합니다.
- 이미 올린 조황을 붙여넣기하여 계속 등재하시면 중복조황에 해당합니다.
- 당일 조황을 올리면서 이전 조황을 같이 올리면 중복조황에 해당합니다.
- 조황없는 출조정보는 출조정보 게시판을 이용하시길 바랍니다.
- 올린 글 삭제하고 다시 올려 상단에 올리려는 방법, 이용규칙 위반입니다.
- 제목에 특수문자 사용하시면 안됩니다. (온점, 쉼표, 느낌표, 괄호, 물결만 허용)
☆ 공지사항에 '조황등재시 유의사항' 게시글을 꼭 확인하시고 조황작성 부탁드리며, 가장 기본적인
규칙이 지켜지지 않을 시 예고없이 글 삭제 및 이용정지 될 수 있음을 알려드립니다.
|
|
|
|





