[장승포 기룡호] 감성돔, 전갱이 조황입니다 :)
인낚ㅣ인터넷바다낚시
어종별선상
어종별갯바위
낚시인조황
점주선장조황
출조정보
낚시광장
낚시지식인
낚시교실
중고장터
휴게실
인낚도서관
인낚몰
0
홈
어종별선상
어종별갯바위
낚시인조황
점주선장조황
출조정보
낚시광장
낚시지식인
낚시교실
중고장터
휴게실
인낚도서관
인낚몰
어종별선상
어종별갯바위
낚시인조황
점주선장조황
출조정보
낚시광장
낚시지식인
낚시교실
중고장터
휴게실
인낚도서관
인낚몰
어종별선상
4대돔 조황
먹물 조황
갈치 조황
볼락&전갱이
빅게임 지깅&파핑
외줄&외수질
기타 어종
어종별갯바위
4대돔 조황
먹물 조황
갈치 조황
볼락&전갱이
농어&삼치&방어&부시리
기타 어종
낚시인조황
낚시인 번개조황
낚시인조행기
스탭조행기
우리낚시동호회이야기
전국낚시동호회소개
동호회갤러리
지난 조황자료보기(년도별 조황 자료)
점주선장조황
전국 실시간 조황
선상(배)+좌대 조황
갯바위+방파제 조황
점주선장전용 공지사항
지난 조황자료보기(년도별 조황 자료)
출조정보
낚시인동행출조
점주선장 갯바위 출조
점주선장 선상출조
기상파고정보(기상청)
해상예보
물때표
파고예보(일본)
실시간해양관측예보
스마트조석예보
낚시광장
낚시계뉴스
대회 및 낚시관련 홍보
제품평가단
신상품소개
낚시지식인
Q&A 묻고 답하기
지식인 베스트
조황/포인트 문의
낚시용품 사용기
낚시투표
토론방
新어류도감
낚시교실
낚시기법소개
어종별 낚시교실
입문자교실
중급자교실
낚시용어사전
중고장터
중고장터 이용후기
더치트 사기피해 검색
팝니다
삽니다
교환합시다
무료로 드립니다
부품팝니다
부품삽니다
일반 생활용품 사고 팔기
휴게실
출석부
낚시갤러리
세상사는 이야기(자유게시판)
낚시이야기 마당
먹고사는 이야기
구인구직
칭찬합니다
어째이런일이
습득물 찾기
인낚도서관
인낚 유튜브
인낚 칼럼
블루, 그것이 알고싶다
더블테일의 두 눈으로 보는 세상
입질의추억의 피싱다이어리
나無의 바다 이야기
전문강좌
海巖의 바다낚시 이야기
이성규의 전유동낚시 강좌
조성민의 금요루어클럽
인낚몰
홈소개
공지사항
자주 묻는 질문
운영진에게
광고/제휴문의
로그인
자동로그인
회원가입
|
정보찾기
점주선장조황
전국 실시간 조황
선상(배)+좌대 조황
갯바위+방파제 조황
점주선장전용 공지사항
지난 조황자료보기(년도별 조황 자료)
신상품 소개
긱스 나노에이스
낚시고 미장구레 VIP 대본류 벵에돔 파우더
낚시고 위력 벵에돔 파우더
천류 카모 피싱백
천류 레자 피싱백
zzis 찌스 전자기울찌 호리존탈 전유동전용 출시!
회원 랭킹
44
1
왕초보태공
31
2
미호
28
3
쌩기똥기
25
4
오사마리
21
5
마루미르
18
6
ctan
17
7
돌붕어
16
8
Nike1972
15
9
부산그녀석
14
10
블루홀리
14
11
시작하는채비와장비
12
12
전공태
12
13
망상어전문
12
14
나돔
12
15
무덕이
11
16
Donf까
11
17
하루모
11
18
꿈의사냥5짜
10
19
쌍칼라
10
20
APPLEPIE
10
21
촌놈남해
10
22
테리6443
9
23
장생포털보낚시
9
24
돌돔참돔
9
25
울트
9
26
고기잡으세
9
27
벵에만한다
8
28
재팔79
8
29
감성전설
8
30
농약한잔의여유
8
31
토영낚린이
8
32
불타는시마
8
33
야무지네
8
34
물망사
8
35
왕사미다내꺼
7
36
우하하
7
37
허쯔
7
38
양산서가이드피싱샵
7
39
부산오리
7
40
새조개
7
41
불꽃버디
7
42
신용대
7
43
감시잡아보자궁
7
44
대물헌트
7
45
로그온
7
46
와니와니와니
7
47
갓바우조사
6
48
X10A
6
49
아귀찜
6
50
만또라미
6
51
4계절벵에
6
52
마린보이573
6
53
가마인
6
54
린사장
6
55
둥시
6
56
신강수도
6
57
벵병
6
58
방어지코
6
59
한국밑밥연맹
6
60
때구어장
6
61
바다사나이월천
6
62
푸른생선
6
63
그믐달
6
64
앵그리정
6
65
광주고프로
6
66
감시밥줄
6
67
감시마을
6
68
낄낄이
6
69
거침없이산다
5
70
감시통조림
5
71
좌타우타
5
72
복사초등대
5
73
감성돔대장
5
74
짱규
5
75
모카사랑해
5
76
꼴방MAN
5
77
상석바위
5
78
번디기
5
79
금땡
5
80
미풍
5
81
부시리우스2022
5
82
2vs0
5
83
앵글러킴미르
5
84
즐낚쵝오
5
85
밍킈
5
86
gaskjy
5
87
거제그놈
5
88
챔질만잘했어도
5
89
리미티드아마추어
5
90
진주진이
5
91
지나온추억
5
92
방생또방생
5
93
로지즈
5
94
FTWiceman
4
95
말랑파파
4
96
김pd
4
97
sss1185
4
98
미니미래
4
99
밑밥연맹
4
100
구레전과
공지사항
01.19
★ 삼성브라우저 플러그인 설치 금지!!
09.01
★ 2025년 9월 5일 사이트 리뉴얼 오픈 안내
06.09
★ "Connect Error: No such file or directory" 에러가 발생시
05.29
★ 카이퍼넷 방화벽 차단시 설정방법
07.03
★ 사이트 정상운영 ★ 24.07.03
06.19
★ 사이트 정상운영 ★ 24.06.19
06.17
★ 사이트 정상운영 ★
06.14
★ 서비스 일시정지 - 서버이전작업 ★
07.14
★ 112차 제품평가단 위촉 명단 발표
07.07
★ 112차 제품평가단모집 - 1차
점주/선장 >
선상 + 좌대 조황
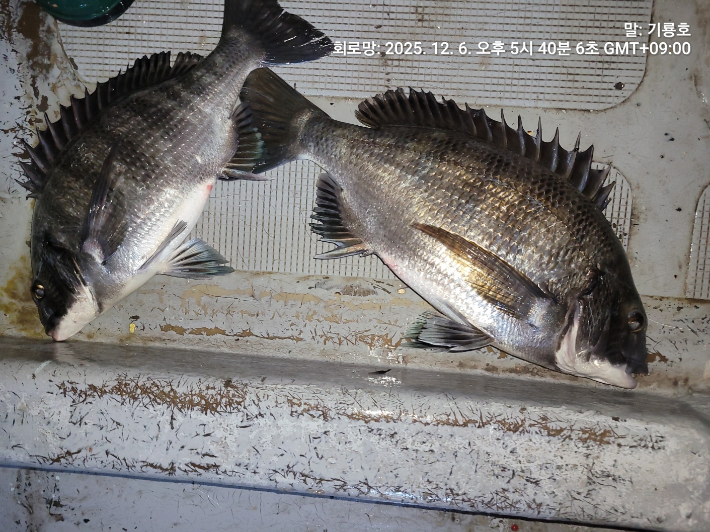
[장승포 기룡호] 감성돔, 전갱이 조황입니다 :)
기룡호선장
0
75
2025.12.08 15:44
● 출항지 : 거제
● 출조지 : 거제
● 출조인원 : 3~5명
네임
카드
기룡호선장
거제시 장승포로 마전9길16
010-4541-8602
실시간 예약
홈페이지
밴드 바로가기
유튜브/SNS
시간이 없어 삼일치 감성돔, 전갱이 함께 올립니다ㅠ
역시 감성돔은 감성돔대로 전갱이는 전갱이대로 재미있네요^^
상시 출조예약 가능합니다 :)
0
신고
목록
0
댓글
로그인한 회원만 댓글 등록이 가능합니다.
×
Image Upload
로그인한 회원만 등록가능합니다.
포토
제목
이름
날짜
[진해] 감성돔흘림 5짜&4짜 우르르르르르르~
출항지 : 진해 / 출조지 : 진해
진해왕낚시
38
8분전
진해왕낚시
02:45
[여수,광양] 16일 월 17일 화 18일 수 안도 연도 갯바위 선상갑니다
출항지 : 여수,광양 / 출조지 :
여수창성호6
2
44분전
여수창성호6
02:08
[진해] 14일 조항.망태기 터지듯 K,K,K,Kg급으로 잡고온 원도권~…
출항지 : 진해 / 출조지 : 거제
성진피싱
43
53분전
성진피싱
02:00
[포항] 2월14토 포항한치 쫙쫙 올라옵니다 폭팔적조황
출항지 : 포항 / 출조지 : 포항
포항시프랜드호
14
1시간전
포항시프랜드호
01:49
[사천] 14일야간낙지 조항(선비5만)시즌 빅2 EVENT~15일 일욜(…
출항지 : 사천 / 출조지 : 사천
따봉피싱
10
1시간전
따봉피싱
01:48
[사천] 왕사미 소탕하고 철수합니다
출항지 : 사천 / 출조지 : 사천
삼천포경민피싱
26
2시간전
삼천포경민피싱
01:03
[사천] 왕방울 볼락 만쿨조과~
출항지 : 사천 / 출조지 : 사천
정판수낚시마트
24
2시간전
정판수낚시마트
00:40
[통영] [외줄]줄.타고,타고 ,왕열기,만쿨,반쿨(월요일출항확정,설연휴,…
출항지 : 통영 / 출조지 :
삼덕레저호
92
2시간전
삼덕레저호
00:40
[진해] <주간도다리>일,월~예약중&<야간낙지>금,토 예약가능
출항지 : 진해 / 출조지 :
썬플라워호10톤
74
02.14
썬플라워호10톤
02.14
[진해] 문어) 수요일부터 원도권문어 예약가능~ 문어잡으러 오세요~
출항지 : 진해 / 출조지 :
진해제네시스호
52
02.14
진해제네시스호
02.14
[진해] 진해 도다리 사이즈 마리수 만족
출항지 : 진해 / 출조지 : 진해
진해바루나피싱
47
02.14
진해바루나피싱
02.14
[통영] ((왕열기ㆍ왕뽈))내일 일요일 아침6시 왕열기 우두둑탕탕 (예약…
출항지 : 통영 / 출조지 :
통영짱낚시
96
02.14
통영짱낚시
02.14
[진해] 13일 야간낙지 쭉쭉 뽑고~!!(일,월 예약중)쭈꾸미 일요일 예…
출항지 : 진해 / 출조지 : 진해
진해라코피싱
57
02.14
진해라코피싱
02.14
[진해] 13일세진호/돌문어대박5kg200.5kg.2kg500~수.가능~
출항지 : 진해 / 출조지 : 진해
세진호선장
34
02.14
세진호선장
02.14
[포항] 한치실시간! 뉴대양호
출항지 : 포항 / 출조지 : 포항
신항만NEW대양호
62
02.14
신항만NEW대양호
02.14
[진해] 감성돔(흘림)~52,50,49,46!대물빅싸이즈!우당탕(월요일예…
출항지 : 진해 / 출조지 : 거제
진해여명피싱
107
02.14
진해여명피싱
02.14
[진해] 왕오징어.한치~내일 예약가능~대포먹물터져~~
출항지 : 진해 / 출조지 : 진해
엿쟁이낚시
101
02.14
엿쟁이낚시
02.14
1
[고성] 우와~ 특대짜 왕열기 평균싸이즈 대박~
1
출항지 : 고성 / 출조지 : 통영
통영수빈호
107
02.14
통영수빈호
02.14
[부산] 2월14일 풍류호 지깅 조황입니다
출항지 : 부산 / 출조지 :
부산풍류호
27
02.14
부산풍류호
02.14
[인천] 2월 14일 거진항 어구 가자미 줄타기는 없어다.그러나...꾸준…
출항지 : 인천 / 출조지 :
바다의전설부평25시
18
02.14
바다의전설부평25시
02.14
[진해] 진해안골 감성돔 조황입니다 싸이즈 좋네요
출항지 : 진해 / 출조지 :
진해수성호
85
02.14
진해수성호
02.14
[진해] [14일,봄도다리]4짜대구리와덩치급파티~! 선상만찬파티~! 일요…
출항지 : 진해 / 출조지 :
진해매일호
91
02.14
진해매일호
02.14
[통영] 외줄 생활낚시 쿨러 대장쿨러도 만쿨로 ~
출항지 : 통영 / 출조지 : 고성
고성신흥낚시
59
02.14
고성신흥낚시
02.14
[사천] 야간낙지(선비5만식사제공) 야간낙지 일요일 예약중입니다
출항지 : 사천 / 출조지 : 사천
삼천포바다낚시
38
02.14
삼천포바다낚시
02.14
[고성] (로드피싱)원도권문어,1620,1480,1305,1080외 제수…
출항지 : 고성 / 출조지 : 통영
로드피싱
58
02.14
로드피싱
02.14
[사천] 14일 원도권 3kg외 제수문어 챙기고 왔습니다 (낼 선수모집)
출항지 : 사천 / 출조지 :
삼천포스피드피싱
55
02.14
삼천포스피드피싱
02.14
[통영] 2/13(금) 원도권돌문어 인생문어 3.74k, 2k,외 k오바…
출항지 : 통영 / 출조지 :
통영리차드피싱
35
02.14
통영리차드피싱
02.14
[고흥,녹동] 참돔 많아요
출항지 : 고흥,녹동 / 출조지 :
여명피싱
39
02.14
여명피싱
02.14
[고성] 고성드래곤 어초 감시 흘림 조황 월욜 자리여유
출항지 : 고성 / 출조지 : 통영
고성드래곤피싱
90
02.14
고성드래곤피싱
02.14
[진해] 봄도다리 왕씨알이부터 깻잎까지~~(일욜 예약 가능)
출항지 : 진해 / 출조지 : 진해
진해나드리호
49
02.14
진해나드리호
02.14
초기화
날짜순
조회순
검색
1
2
3
4
5
6
7
8
9
10
Search
검색대상
제목
내용
제목+내용
회원아이디
회원아이디(댓글)
글쓴이
글쓴이(댓글)
또는
그리고
검색어
필수
검색
닫기
검색조건
제목
내용
제목+내용
회원아이디
회원아이디(코)
글쓴이
글쓴이(코)
검색어
또는
그리고
검색
인낚 최신글
02:00
14일 조항.망태기 터지듯 K,K,K,Kg급으로 잡고온 원도권~돌문어 잡으러 출조 겁니더@월요일~예약가능
01:49
2월14토 포항한치 쫙쫙 올라옵니다 폭팔적조황
01:48
14일야간낙지 조항(선비5만)시즌 빅2 EVENT~15일 일욜(출조확정)6자리 예약가능 합니다
01:03
왕사미 소탕하고 철수합니다
00:45
인스레이블 엘 세라 INX LABEL EL SERA 52UL (베이트피네스로드)
00:42
다이와토너먼트di20009t 3xl
00:40
왕방울 볼락 만쿨조과~
00:40
[외줄]줄.타고,타고 ,왕열기,만쿨,반쿨(월요일출항확정,설연휴,계속출항)
00:10
어텐더 구명복 팝니다.
00:07
미장 M 530팝니다.
02.14
<주간도다리>일,월~예약중&<야간낙지>금,토 예약가능
02.14
돌돔받침대
02.14
감성돔흘림 5짜&4짜 우르르르르르르~
02.14
문어) 수요일부터 원도권문어 예약가능~ 문어잡으러 오세요~
02.14
진해 도다리 사이즈 마리수 만족
02.14
피싱스웨이 돌돔가방,돌돔바늘등 일괄
02.14
((왕열기ㆍ왕뽈))내일 일요일 아침6시 왕열기 우두둑탕탕 (예약가능
02.14
13일 야간낙지 쭉쭉 뽑고~!!(일,월 예약중)쭈꾸미 일요일 예약중~!!
02.14
연휴첫날 금오열도권 감성돔 조황
02.14
13일세진호/돌문어대박5kg200.5kg.2kg500~수.가능~
02.14
장산 막대찌 , 연주수중찌 2~3호 삽니다.
02.14
가마가츠 GM-2192 카본블랙LL
02.14
한치실시간! 뉴대양호
02.14
감성돔(흘림)~52,50,49,46!대물빅싸이즈!우당탕(월요일예약가능)
02.14
왕오징어.한치~내일 예약가능~대포먹물터져~~
+1
02.14
우와~ 특대짜 왕열기 평균싸이즈 대박~
02.14
2월14일 장생포 동네낚시 떡전어 조황
02.14
2월14일 풍류호 지깅 조황입니다
02.14
2월14일 풍류호 지깅 조황입니다
02.14
2월 14일 거진항 어구 가자미 줄타기는 없어다.그러나...꾸준히
02.14
2/14 주말 금오열도 감성돔 조황!!
02.14
진해안골 감성돔 조황입니다 싸이즈 좋네요
02.14
리미티드 반집업M사이즈
02.14
[14일,봄도다리]4짜대구리와덩치급파티~! 선상만찬파티~! 일요일 2자리가능, 월화수목금토일 자리여유~
02.14
이부,애기시스에어782m
02.14
외줄 생활낚시 쿨러 대장쿨러도 만쿨로 ~
02.14
야간낙지(선비5만식사제공) 야간낙지 일요일 예약중입니다
02.14
15토너3000sh
02.14
(로드피싱)원도권문어,1620,1480,1305,1080외 제수문어!(명절기간 정상출조!)
02.14
14일 원도권 3kg외 제수문어 챙기고 왔습니다 (낼 선수모집)
02.14
2/13(금) 원도권돌문어 인생문어 3.74k, 2k,외 k오바 엄청 잡았네요~
02.14
참돔 많아요
02.14
*퍼스트호/No.1호 18일(수)~24일(화) 추자도 출항합니다*
02.14
고성드래곤 어초 감시 흘림 조황 월욜 자리여유
02.14
봄도다리 왕씨알이부터 깻잎까지~~(일욜 예약 가능)
02.14
좋은 날씨와 물때로5자 기대하면서
+1
02.14
시마노 낚시조끼.구명복 팝니다
02.14
2월 14일 남해 미조 강바다호 감성돔 선상조황
02.14
줄타는~대왕열기~~쿨러가득
02.14
문어2.7k ,k,k~
인낚 최신댓글
00:20
최근 목요일까지 미조권 황좋았습니다 포인트마다 감시가 붙은곳있고 안붙은곳있습니다~ 좋은선사이용하셔서 손맛보시…
00:19
시마노 다이와 일련번호는 동일합니다. 보증처리때문에 모든로드나 릴은 테크늄이든 하포든 모든 로드들 품번은 똑…
02.14
오래전 어떤 가이드분이 볼락 올라오면 갯바위던져두라더군요 점심때 뻣뻣힌게 굳은 그놈들을 회를떠서 먹는데 꼬들…
02.14
20일(금) 낮열기낚시 예약가능합니다. 06시까지 오사면 자리추첨후 출조합니다.
02.14
월요일 예약가능 합니다
02.14
가지고 계신대들로 못잡을고기 없지만 굳이 추가를 하실려거든 G5 1.25 끝판대장 한번 써보시죠 28년하빈기…
02.14
갸들은 생명력이 길지 않습니다 낚시 도중에 잘 살려야 되고요 이동 중에도 도착까지는 또 잘 살려야 합니다 현…
02.14
부품번호까지 ...감사합니다!
02.14
16일(월)부터 쭉~널널합니다^_^
02.14
꼽히기는 하는데 라인이 넘어서 버립니다 시마노가 스풀 크기가 작아서
02.14
피싱as 피싱119 닥터피싱 중에 가까운 곳에 의뢰하세요
02.14
가지고 계신 대 정도면 1.25호대 구매 안하셔도 됩니다 괜히 구매하면 애물단지됩니다.
02.14
18토너 114번 부품입니다 피싱as나 낰ㅂ시 수리점에 부품 주문하시면되요
02.14
1.살려간다(제일 싱싱함) 2.아이스박스에 담아간다(잡자마자 담아두면 좋음)
02.14
어텐더3 1.25-50 추천하고갑니다. 세줄답게 훌륭합니다 ^^
02.14
유투브 잘보고 있습니다
02.14
역시 열심히 하시는분은 실력대로 잡으시네요
02.14
잘보고 있습니다
02.14
꼭
02.14
회로 드실려면 바칸이든 쿨러든 기포기 틀어서 살려오시는게 좋지 않을까요?ㅎ
02.14
젊고 어리고 낚시 초보 시절에 올린 글입니다. 벌써 18년 쯤 되었네요. 만조님께서 댓글 적으시는 바람에 알…
02.14
16일(월)부터 쭉~ 널널합니다^_^
02.14
16일(월)부터 쭉~ 널널합니다^_^
02.14
이런배들이 주간에는 쌍끌이 야간에는 뻥치기 합니다
02.13
▶작성자 본인에 의해 삭제된 댓글입니다.(삭제일시 : 2026-02-13 21:07:14)
02.13
나도 돈 벌려고 하는거긴 하지만 뭐라 말하기가 무섭네요. 저는 매일 조사님들이 만땅으로 오신다면 오전 오후 …
02.13
▶작성자 본인에 의해 삭제된 댓글입니다.(삭제일시 : 2026-02-13 21:06:56)
02.13
밥 벌어 먹고 사는게 되팔이인가 보죠 뭐.
02.13
구태m50으로 1.25호까지는 커버될거같은데요? 그래서 미장m 50 추천드립니다
02.13
감사합니다...^^
02.13
16일(월) 낮열기낚시 예약가능합니다. 06시까지 오시면 자리추첨후 출조합니다.
02.13
일요일이후 쭉 예약가능 합니다
02.13
감사합니다 ~
02.13
우선 로드가 아주 가볍습니다 앞쏠림이 조금있는데 로드가 워낙 가볍다보니 전혀 상관없어요 캐스팅에 엄청 유리하…
02.13
구레스페셜F 풀린지가 조금 지났는데도.... 아직 정확한 후기가 없어서 저도 궁금하네요
02.13
피싱AS 문의해보시면 될것 같네요
02.13
G5 1.25 추천이요 저도 많지는 않지만 여러로드 보유하고 있다 정리하고 1호대는 구 지누마스터 530 1…
02.13
감사합니다
02.13
구레스페셜f사용기가 참 궁금하네요^^
02.13
수고 하셧습니다. 돈이야 그렇다치고 그날 써야할 밑밥이 들어있는 바칸이 수장되면 허탈하고 낚시 욕구가 상실되…
02.13
젊은 사람들이 낚시를 취미로 즐기는걸 많이 안하는거 같네요
02.13
오래사용 가능하니....첨에 좀 투자 하더라도 좋은렌즈 추천합니다
02.13
무조건 첫 구매해서 유성매직 마킹이 필수 인것 같아요
02.13
요즘은 많은 제조사가 원가 절감을 하는거 같네요
02.13
어텐더3 구레경기4 G5 이중에서 마음닫는 로드가 좋을듯 하네요
02.13
능포 나이스낚시 문의해시면 될거같네요
02.13
감사합니다 한번 통화해볼께요.
02.13
FM피싱 경남 거제시 둔덕면 술역리 789-8 010-4998-5333 이곳에서 야간 선상 하네요. 이분과 …
02.12
제주하우스한라봉 2 box 잘 받았습니다 직접농가에서 키운거라 맛도 좋고 믿을 수 있는 상품입니다. 판매 과…
02.12
진짜 사진 맞습니까?
온라인 문의 안내
*운영진에게 문의
*광고/제휴 문의
월~금 : 9:00 ~ 18:00
토/일/공휴일 휴무
점심시간 : 12:00 ~ 13:00
인낚몰 초특가
★설특가 190,000★ 파직스 자동팽창식 구명의 PL-181+원줄+장갑
★설특가 99,000★ 디캡스 자동팽창식 구명복+원줄+장갑
★설특가 8,000부터★ ISF 바칸 삼나무 테이블
★설특가 4,000★ FF 블리츠 전자캐스팅볼 점등 점멸 + 구매수량만큼 425배터리 증정 / 4개단위로 구매시 케이스 증정
★설특가 12,000★ 티렉스 미니 일렉볼 + BR322 배터리 1개 증정
★설특가 6,000★ 티렉스 일렉트로볼 점등 점멸
★설특가 18,000부터★ 1+1 플로팅, 세미, 카본 낚시줄 행사 호수선택가능 / 택상 1+1 원줄, 목줄 행사
★3,000★ MAEK 맥 호래기 대바늘 호래기콕 J타입 (카본바디 2입)
★5,000★ 어부공방 NEW 호래전
★4,500★ 야마시타 SB 호래기 대바늘
★3,000★ 하야부사 6단 볼락 전갱이 카드채비 SD724 볼락채비
★1,000★볼락낚시에 최적인 메바트로볼 - 캐스팅볼, 메바볼