카드
거제시 거제면 법동리1056번지
거제시 거제면 법동리1056번지
안녕하십니까 람보피싱4호 김선장 입니다
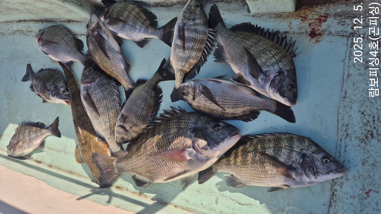
금일 감성돔 조황 전하겠습니다
새벽부터 씨알좋은 감성돔들이 쉴새없이 물어줍니다
어초권 대물들이 움직이기 시작합니다 터진고기들이
많으니 채비 튼실히 하시고 오세요
람보피싱을 찾아주신 조사님 감사드립니다
항상 최선을다해 노력하는 람보피싱 되었습니다
감사드립니다
낼 참돔흘림&감성돔흘림 예약가능 합니다
※ 공휴일과 주말 예약은 서둘러 예약하시면 승율포인트로 우선 진입.
▦ 람보피싱 (참돔/감성돔낚시 전용선 체제)
(출조 문의) ☎010.3522.0188 (부재시) ☎010.9046.1156
(출항지 주소) 경남 거제시 거제면 법동리 1056번지
▶람보피싱 밴드 : https://band.us/@zzxx6954
▦ 거제도 감성돔 선상(흘림)낚시 출조 ▦(시즌오프)
(출조 시기) 11월부터 6월 까지.
(종일/흘림낚시) 새벽 5시 출발 오후 2시 까지
- 도시락, 생수, 밑밥, 미끼 커피 (11만원)
(종일/카고낚시) 새벽부터 오후 2시 까지
- 도시락, 생수, 밑밥, 미끼 커피 (11만원)
▶ 어초/여밭 감성돔낚시는 11월부터 4월 까지 (종일낚시만 운영).
<참돔낚시 채비>
(낚 시 대) 1.5호대부터 2호대 까지 사용.
(릴-Reel) 5000번, 원줄 5호, 목줄 3~5호 정도.
(찌-Float) 잠수찌 -2B, -3B 사용
※ 참돔낚시에는 막대찌 채비를 사용하지 않고, 참돔 기본 채비만 운용.
▦ 람보피싱 이용 안내 ▦
▶ 기상만 허락되면 1명 조사님이라도 매일 매일 출조합니다.
▶ 포인트는 수년간 가장 승율높은 포인트만을 선별해서 진입합니다.
▶ 찾아 주신 조사님들께 손맛 보실 수 있도록 최선을 다하겠습니다.
▶ 람보 피싱은 베테랑 선장 구성 (3선단으로 운영).
▶ 먼 바다 참돔 출조는 3명 이상 되면 출조합니다
◐ 주의 사항 ◐
▶신분증(주민증 또는 운전면허증) 지참은 필수입니다.
▶주류 반입 및 음주 행위 금지와 구명복 착용은 필히 준수해야 합니다.
▦ 람보피싱 (참돔/감성돔낚시 전용선 체제)
(출조 문의) ☎010.3522.0188 (부재시) ☎010.9046.1156
(출항지 주소) 경남 거제시 거제면 법동리 1056번지
▶람보피싱 밴드 : https://band.us/@zzxx6954
|
|
|
|










