겨울 감성돔~~4짜외 몇수~(6일예약)
12월 05일(금)
인낚 현재접속자
3,326명 (
233
)
공지사항
인낚도서관
점주선장전용 공지사항
로그인
광고/제휴 문의
운영진에게
인낚ㅣ인터넷바다낚시
0
어종별선상
어종별갯바위
낚시인조황
점주선장조황
출조정보
낚시광장
낚시지식인
낚시교실
중고장터
휴게실
인낚도서관
인낚몰
0
어종별선상
어종별 선상조황
4대돔 조황
먹물 조황
갈치 조황
볼락&전갱이
빅게임 지깅&파핑
외줄&외수질
기타 어종
어종별 갯바위조황
4대돔 조황
먹물 조황
갈치 조황
볼락&전갱이
농어&삼치&방어&부시리
기타 어종
어종별갯바위
어종별 선상조황
4대돔 조황
먹물 조황
갈치 조황
볼락&전갱이
빅게임 지깅&파핑
외줄&외수질
기타 어종
어종별 갯바위조황
4대돔 조황
먹물 조황
갈치 조황
볼락&전갱이
농어&삼치&방어&부시리
기타 어종
낚시인조황
낚시인 번개조황
낚시인조행기
스탭조행기
우리낚시동호회이야기
전국낚시동호회소개
동호회갤러리
지난 조황자료보기(년도별 조황 자료)
점주선장조황
전국 실시간 조황
선상(배)+좌대 조황
갯바위+방파제 조황
점주선장전용 공지사항
지난 조황자료보기(년도별 조황 자료)
출조정보
낚시인동행출조
점주선장 갯바위 출조
점주선장 선상출조
기상파고정보(기상청)
해상예보
물때표
파고예보(일본)
실시간해양관측예보
스마트조석예보
낚시광장
낚시계뉴스
대회 및 낚시관련 홍보
제품평가단
신상품소개
낚시지식인
Q&A 묻고 답하기
조황/포인트 문의
주간 베스트
낚시용품 사용기
낚시투표
토론방
新어류도감
낚시교실
낚시기법소개
어종별 낚시교실
입문자교실
중급자교실
낚시용어사전
중고장터
중고장터 이용후기
더치트 사기피해 검색
팝니다
삽니다
교환합시다
무료로 드립니다
부품팝니다
부품삽니다
일반 생활용품 사고 팔기
휴게실
출석부
낚시갤러리
세상사는 이야기(자유게시판)
낚시이야기 마당
먹고사는 이야기
구인구직
칭찬합니다
어째이런일이
습득물 찾기
메인
어종별선상
어종별갯바위
낚시인조황
점주선장조황
출조정보
낚시광장
낚시지식인
낚시교실
중고장터
휴게실
0
전국 실시간 조황
선상(배)+좌대 조황
갯바위+방파제 조황
점주선장전용 공지사항
지난 조황자료보기(년도별 조황 자료)
점주/선장 >
선상 + 좌대 조황
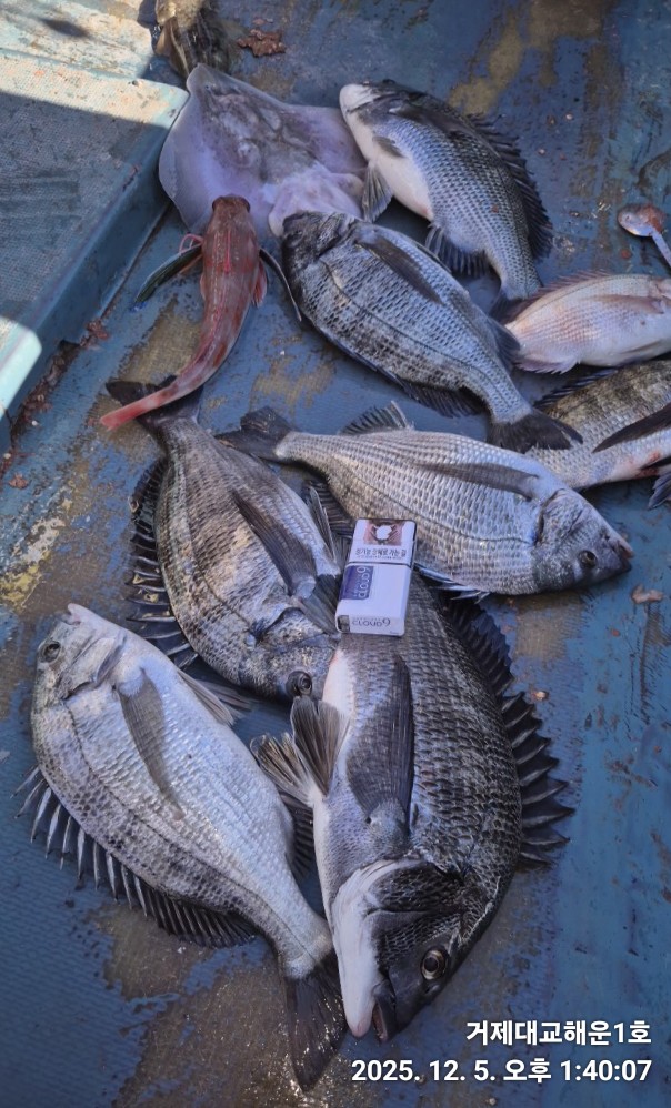
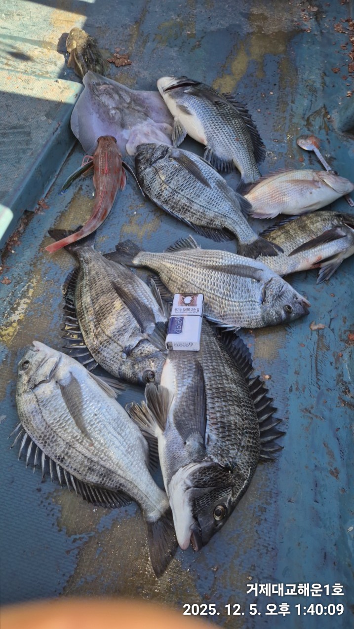
겨울 감성돔~~4짜외 몇수~(6일예약)
거제대교해운1호
0
80
7시간전
● 출항지 : 거제
● 출조지 : 통영
● 출조인원 : 3~5명
네임
카드
거제대교해운1호
거제시 사등면 덕호해안길 108
010 -9169-4266
010-9023-1487
실시간 예약
홈페이지
밴드 바로가기
유튜브/SNS
2025년 12월 5일 (금요일.8물)
#감성돔조황, #감성돔카고낚시
#감성돔선상낚시, #감성돔낚시
#2선단~흘림&카고예약가능합니다!
바람까지 불어서 정말 추운날씨입니다 ~~
손이 시려울정도로~~
대물감성돔 한판승부하실 3분조사님 모시고 #카고낚시 다녀왔습니다 ~
낚시대 부러지고 참말로~~
감시도 터지고~~속도 터지고~~
4짜감성돔외 몇수하고 철수했습니다!
추운날씨에 해운1호와 함께 해주신 조사님들 수고 많으셨고 감사드립니다 ~~
☆☆ 감성돔낚시 출조 안내 ☆☆
거제도 내만 감성돔 승율있는 최상급 포인트 안내~
☆출 조 시 간☆
●새벽06시20분~오후1시반철수 ●
(철수시간 상황따라 변경될수있음)
●흘림종일낚시 선비는
11만원입니다!! ●
●카고종일낚시 선비는
12만원입니다 ●
■독배예약시 선비는 60만원입니다■
☆생활낚시 선비 6만원이며~시긴은 3시간~~4시간 정도 하는 낚시입니다~☆
- 생수,커피, 밑밥, 미끼제공
- 대체 미끼는 개인 지참.
(흘림시 개인대체미끼 경단,옥수수
준비해서 오세요)
(카고시 개인카고 봉돌30호
여유있게 준비해서 오세요)
※신분증,구명복 필수 준비해 오세요. ※배에서 음주는 법적으로 금지되어 있습니다!
▦해운호 ☎010-9169-4266
010-9023-1487(사모)
(출항지) 거제시 사등면 덕호해안길
108번지
■ 예약 :수협2020.4128.8814
오재석(선장) ■
■ 농협352.0069.5176.03
진정미 (사모)■
밴드주소:https://band.us/@hyun6335
#'거제대교해운1호 #거제광리 #선상에서즐기는 #싱싱한회파티
#철수후즐기는 #뒷풀이는 #싱싱한회와함께 #맛난집밥
#감성돔선상낚시, #감성돔조황, #오선장 #감성돔출조,
#감성돔카고낚시 #감성돔흘림낚시,
0
신고
목록
0
댓글
로그인한 회원만 댓글 등록이 가능합니다.
×
Image Upload
로그인한 회원만 등록가능합니다.
포토
제목
이름
날짜
[진해] 쫙~쫙 달라붙어 올라오는 야간~돌문어 잡으러 출조 갑니다 @ …
출항지 : 진해 / 출조지 : 거제
성진피싱
38
6분전
성진피싱
23:15
[진해] 야간낙지 끈적끈적 손맛최고~!!(토,일 예약중)
출항지 : 진해 / 출조지 : 진해
진해라코피싱
66
21분전
진해라코피싱
23:00
[진해] 주말 무너사냥~(토요일~오후3시예약중,,일요일~오전문어예약중
출항지 : 진해 / 출조지 : 진해
진해골드스타2
47
31분전
진해골드스타2
22:50
[마산] 원전항)9톤 쭈꾸미 잘잡고~손맛보고 내일 토요일 출항갑니다~
출항지 : 마산 / 출조지 :
신조선짱구호원전항
59
41분전
신조선짱구호원전항
22:40
[사천] 내일 원도권 덩치 좋은 돌문어 출조 확정 나갑니다
출항지 : 사천 / 출조지 :
삼천포스피드피싱
24
46분전
삼천포스피드피싱
22:35
[진해] [준내만갈치]빵좋은대치들로만쿨까지!!내일부터예약가능~!!일월화수…
출항지 : 진해 / 출조지 :
진해매일호
59
1시간전
진해매일호
22:20
[통영] (로드피싱)문어5일,네분 짬조황~주말 주간야간 출조합니다!
출항지 : 통영 / 출조지 : 고성
로드피싱
54
1시간전
로드피싱
22:20
[부산] 삼치케스팅 과 방어지깅
출항지 : 부산 / 출조지 :
낫개아차낚시
16
1시간전
낫개아차낚시
22:04
[진해] 내일 토요일 야간전투문어 예약가능~ 키로오버 키로급잡으러 고고!…
출항지 : 진해 / 출조지 : 진해
진해제네시스호
41
2시간전
진해제네시스호
21:50
[사천] 5일 왕쭈꾸미 씨알굿~조항 시즌 빅3 EVENT START! ~…
출항지 : 사천 / 출조지 : 사천
따봉피싱
26
2시간전
따봉피싱
21:47
[통영] [지깅]방어,부시리,오늘도"미친피딩'난리부루스(월,화,수,출항,…
출항지 : 통영 / 출조지 :
삼덕레저호
68
2시간전
삼덕레저호
21:05
[거제] 49외4짜들 흘림~~
출항지 : 거제 / 출조지 : 거제
프로포즈호
50
2시간전
프로포즈호
21:03
[통영] 역시 돼지 대방어 놈들 조황입니다
출항지 : 통영 / 출조지 :
통영태성호
40
2시간전
통영태성호
20:52
[고성] 4짜3짜마맀수감성돔들(흘림)
출항지 : 고성 / 출조지 : 통영
시인의바다
66
3시간전
시인의바다
20:46
[진해] 토요일<야간낙지>예약가능&일요일<주간쭈꾸미>예약가능
출항지 : 진해 / 출조지 :
썬플라워호10톤
55
3시간전
썬플라워호10톤
20:45
초기화
날짜순
조회순
검색
1
2
3
4
5
Search
검색대상
제목
내용
제목+내용
회원아이디
회원아이디(댓글)
글쓴이
글쓴이(댓글)
또는
그리고
검색어
필수
검색
닫기
검색조건
제목
내용
제목+내용
회원아이디
회원아이디(코)
글쓴이
글쓴이(코)
검색어
또는
그리고
검색
인낚몰 초특가
★500★ W쿠션 멀티 수중찌 M L - 전유동 반유동 끄심바리 필수품 수중쿠션
★5,900★ 여러개 있으면 아주 좋은 EVA 시스템 백
★ 1+1 플로팅, 세미, 카본 낚시줄 행사 호수선택가능 / 택상 1+1 원줄, 목줄 행사
★6,000★ 예민함의 끝판왕 애니원찌 벵에돔찌 학공치찌
★15,000★ 오동목 구멍찌 5개 + 메쉬 찌케이스 세트
★22만원★ 40W 집어등을 이 가격에!
★5,000★ 전층쿠션 15세트입 S / L 사이즈
★2,000★ 전층쿠션 5세트입 S / L 사이즈
★10,000 미니집어등5개 + 425배터리 1개 + 스토퍼고무 10개
★13,500 深海 심해대물 갈치집어등 3개 5LED 오색 집어등 갈치낚시 필수품 건전지3개 포함 수중집어등
★9,900★ 수제공방 갈치 풀치 잔치세트 짬낚시 필수 하나로 끝
★8,650~★ 아부가르시아 카치카치다마 유동식 타이라바 - 80g / 100g / 120g / 140g