감성돔 선상 카고낚시 조황
02월 12일(목)
인낚 현재접속자
2,791명 (
64
)
공지사항
인낚도서관
점주선장전용 공지사항
로그인
광고/제휴 문의
운영진에게
인낚ㅣ인터넷바다낚시
0
어종별선상
어종별갯바위
낚시인조황
점주선장조황
출조정보
낚시광장
낚시지식인
낚시교실
중고장터
휴게실
인낚도서관
인낚몰
0
어종별선상
4대돔 조황
먹물 조황
갈치 조황
볼락&전갱이
빅게임 지깅&파핑
외줄&외수질
기타 어종
어종별갯바위
4대돔 조황
먹물 조황
갈치 조황
볼락&전갱이
농어&삼치&방어&부시리
기타 어종
낚시인조황
낚시인 번개조황
낚시인조행기
스탭조행기
우리낚시동호회이야기
전국낚시동호회소개
동호회갤러리
지난 조황자료보기(년도별 조황 자료)
점주선장조황
전국 실시간 조황
선상(배)+좌대 조황
갯바위+방파제 조황
점주선장전용 공지사항
지난 조황자료보기(년도별 조황 자료)
출조정보
낚시인동행출조
점주선장 갯바위 출조
점주선장 선상출조
기상파고정보(기상청)
해상예보
물때표
파고예보(일본)
실시간해양관측예보
스마트조석예보
낚시광장
낚시계뉴스
대회 및 낚시관련 홍보
제품평가단
신상품소개
낚시지식인
Q&A 묻고 답하기
지식인 베스트
조황/포인트 문의
낚시용품 사용기
낚시투표
토론방
新어류도감
낚시교실
낚시기법소개
어종별 낚시교실
입문자교실
중급자교실
낚시용어사전
중고장터
중고장터 이용후기
더치트 사기피해 검색
팝니다
삽니다
교환합시다
무료로 드립니다
부품팝니다
부품삽니다
일반 생활용품 사고 팔기
휴게실
출석부
낚시갤러리
세상사는 이야기(자유게시판)
낚시이야기 마당
먹고사는 이야기
구인구직
칭찬합니다
어째이런일이
습득물 찾기
인낚도서관
인낚 유튜브
인낚 칼럼
블루, 그것이 알고싶다
더블테일의 두 눈으로 보는 세상
입질의추억의 피싱다이어리
나無의 바다 이야기
전문강좌
海巖의 바다낚시 이야기
이성규의 전유동낚시 강좌
조성민의 금요루어클럽
메인
어종별선상
어종별갯바위
낚시인조황
점주선장조황
출조정보
낚시광장
낚시지식인
낚시교실
중고장터
휴게실
인낚도서관
인낚몰
0
전국 실시간 조황
선상(배)+좌대 조황
갯바위+방파제 조황
점주선장전용 공지사항
지난 조황자료보기(년도별 조황 자료)
점주/선장 >
선상 + 좌대 조황
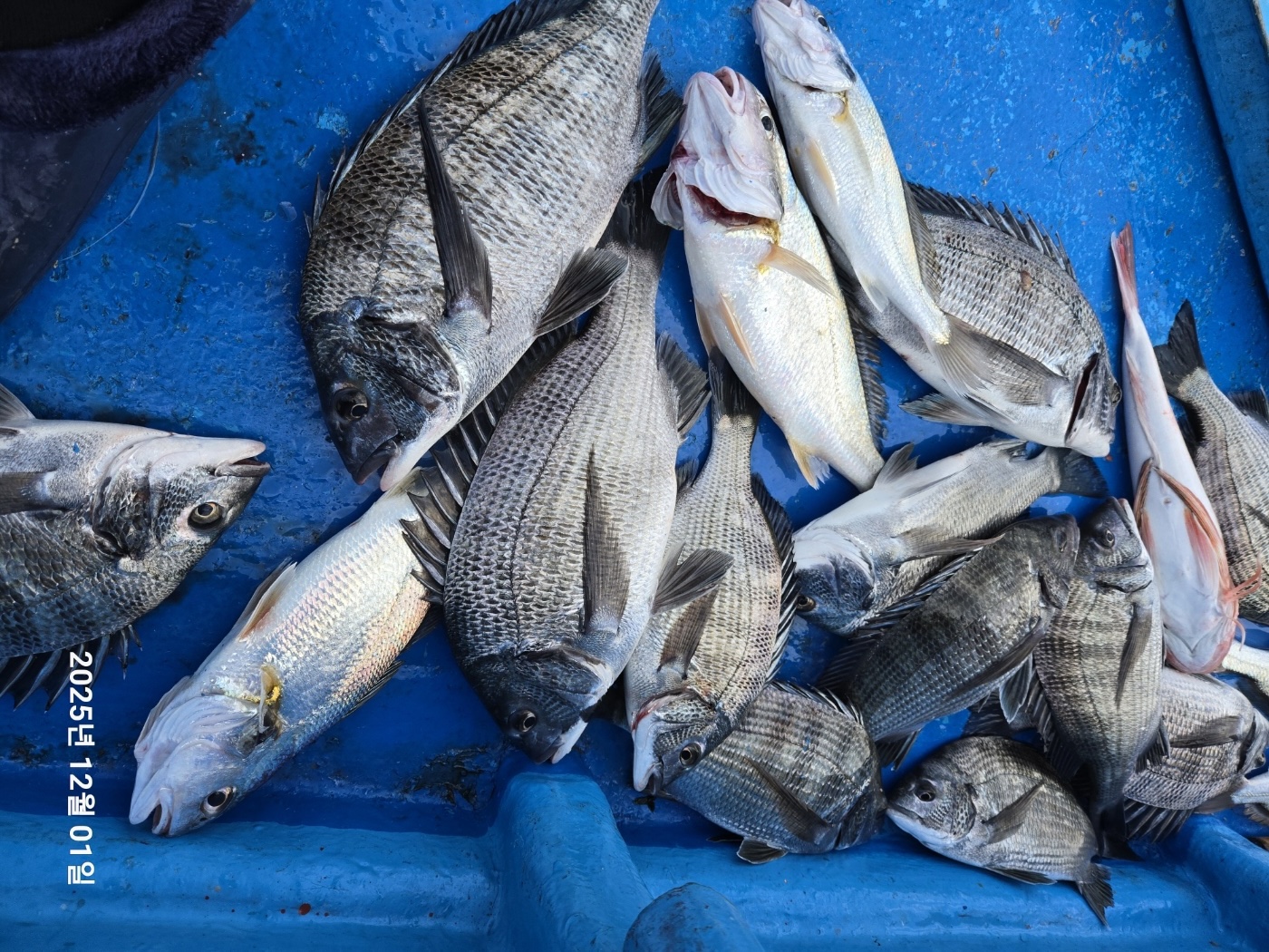
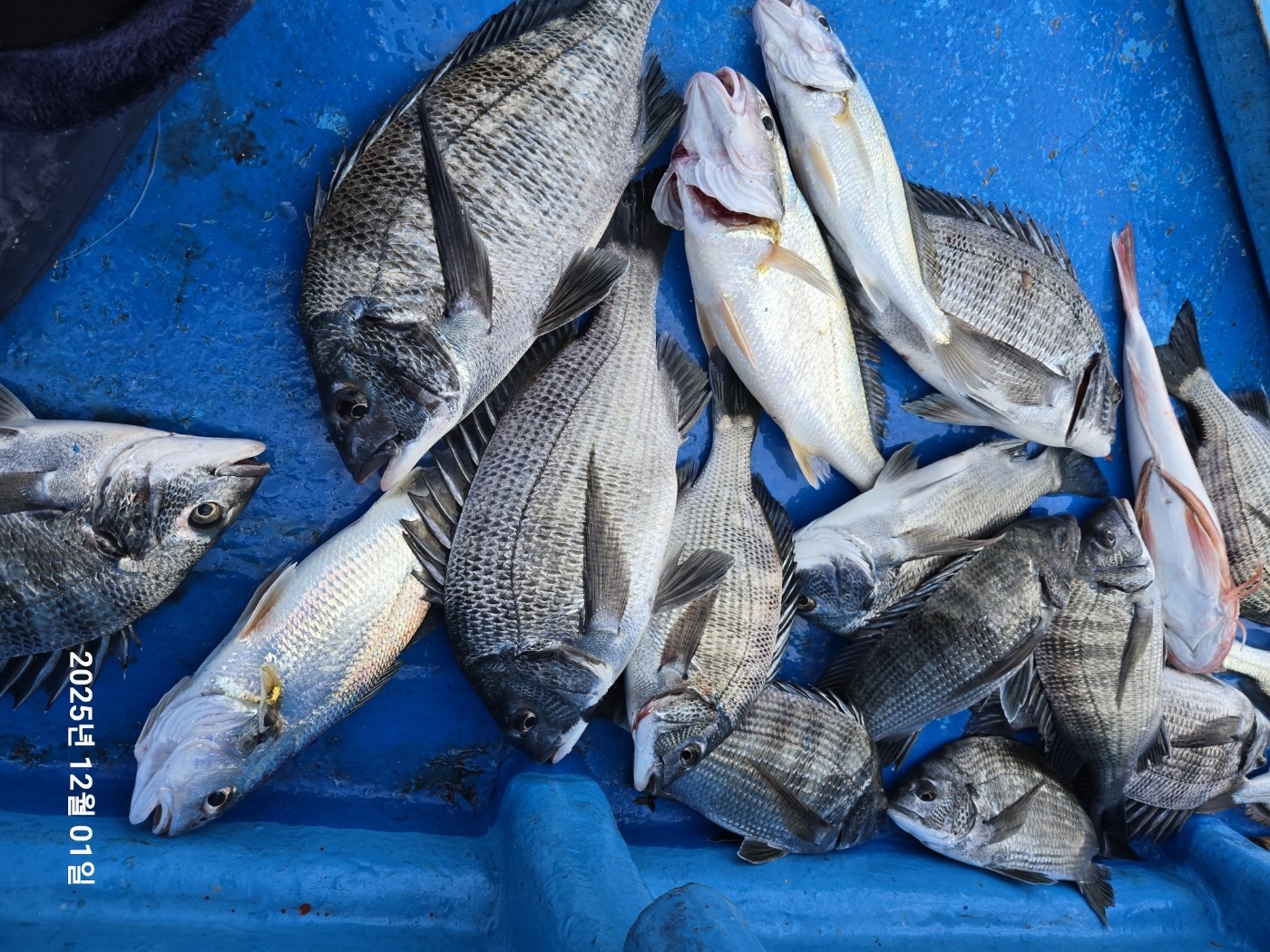
감성돔 선상 카고낚시 조황
통영유방낚시
0
133
2025.12.01 18:07
● 출항지 : 통영
● 출조인원 : 1~2명
안녕하십니까, 통영 유방낚시입니다.
금일 감성돔 선상 카고낚시 조황입니다.
방문해 주신 조사님 수고 많으셨습니다.
감사합니다.
** 올해 덴마낚시는 끝이 났습니다.
내년 봄에 다시 시작될 예정입니다.
** 신분증 지참해 주시고, 주류 반입은 불가합니다.
** 우천시 우비 챙겨오시기 바랍니다.
** 위치: 경남 통영시 용남면 견유2길 98-38 (구주소 용남면 장평리 95-9)
통영수협 견유위판장 옆에 있습니다.
** 예약문의:
010-2079-1782
0
신고
목록
글쓴이
1
0
Lv.1
통영유방낚시
점주선장
200 (2%)
반갑습니다.
12.10
감성돔 선상 카고낚시 조황
12.09
감성돔 선상 카고낚시 조황
12.06
감성돔 선상 카고낚시 조황
12.01
감성돔 선상 카고낚시 조황
11.11
감성돔 덴마낚시 조황
0
댓글
로그인한 회원만 댓글 등록이 가능합니다.
×
Image Upload
로그인한 회원만 등록가능합니다.
포토
제목
이름
날짜
[통영] 대물.왕.들..완전.소탕하러.기상.물때.좋아.최고포인트로직행.내…
출항지 : 통영 / 출조지 : 통영
통영무지개호
5
10분전
통영무지개호
04:36
[통영] 뉴 태진호 왕열기 쿨러조황!!!!( 오후3시출항)!!!
출항지 : 통영 / 출조지 :
태진호
4
18분전
태진호
04:28
[진해] "감성돔" 카고 독배조황 입니다~2수는 날아가고,,큰게 48입니…
출항지 : 진해 / 출조지 : 거제
창원사랑호
8
19분전
창원사랑호
04:27
[영덕] 2월11일 수요일 한치조황입니다
출항지 : 영덕 / 출조지 :
바니호
22
2시간전
바니호
02:19
[고성] 볼락 루어 조황입니다
출항지 : 고성 / 출조지 :
경남고성낚시
33
02.11
경남고성낚시
02.11
[진해] 문어) 금요일 원도권예약가능~ 제수문어 잡으러 오세요~
출항지 : 진해 / 출조지 : 거제
진해제네시스호
40
02.11
진해제네시스호
02.11
[포항] 태창2호밤볼락실시간쿨러금 월 화 출조모집
출항지 : 포항 / 출조지 : 포항
태창호
30
02.11
태창호
02.11
[진해] 11일<주간도다리>목,금~예약중&<야간낙지>금,토 예약가능
출항지 : 진해 / 출조지 :
썬플라워호10톤
51
02.11
썬플라워호10톤
02.11
[부산] 왕사미란? 이런것 볼락루어 마릿수란?이런것
출항지 : 부산 / 출조지 : 부산
파워피싱부산
41
02.11
파워피싱부산
02.11
[진해] 열기볼락,만쿨잔치, 쭉 예약가능,봄도다리퍽퍽매일출항 목,금,토…
출항지 : 진해 / 출조지 : 통영
진해대성낚시
79
02.11
진해대성낚시
02.11
[진해] 감성돔(흘림)~5짜와4짜!우르르쾅쾅!총25수(금요일예약가능)
출항지 : 진해 / 출조지 : 거제
진해여명피싱
108
02.11
진해여명피싱
02.11
[부산] 11일 해~운대 열기만 쿨러가득~!!! 반나절 씨알 굿!!
출항지 : 부산 / 출조지 : 부산
해운대동진호
43
02.11
해운대동진호
02.11
[사천] 씨알좋은 볼락조황~
출항지 : 사천 / 출조지 : 사천
정판수낚시마트
53
02.11
정판수낚시마트
02.11
[고흥,녹동] 2월10일 1박2일 돌돔 덜덜이 초대박 조과
출항지 : 고흥,녹동 / 출조지 :
황룡호
47
02.11
황룡호
02.11
[통영] 11일 타이라바 조황
출항지 : 통영 / 출조지 :
통영드레이크호
27
02.11
통영드레이크호
02.11
초기화
날짜순
조회순
검색
1
2
3
4
5
Search
검색대상
제목
내용
제목+내용
회원아이디
회원아이디(댓글)
글쓴이
글쓴이(댓글)
또는
그리고
검색어
필수
검색
닫기
검색조건
제목
내용
제목+내용
회원아이디
회원아이디(코)
글쓴이
글쓴이(코)
검색어
또는
그리고
검색
인낚몰 초특가
new
★설특가 190,000★ 파직스 자동팽창식 구명의 PL-181+원줄+장갑
new
★설특가 99,000★ 디캡스 자동팽창식 구명복+원줄+장갑
new
★설특가 8,000부터★ ISF 바칸 삼나무 테이블
new
★설특가 4,000★ FF 블리츠 전자캐스팅볼 점등 점멸 + 구매수량만큼 425배터리 증정 / 4개단위로 구매시 케이스 증정
new
★설특가 12,000★ 티렉스 미니 일렉볼 + BR322 배터리 1개 증정
new
★설특가 6,000★ 티렉스 일렉트로볼 점등 점멸
★설특가 18,000부터★ 1+1 플로팅, 세미, 카본 낚시줄 행사 호수선택가능 / 택상 1+1 원줄, 목줄 행사
★3,000★ MAEK 맥 호래기 대바늘 호래기콕 J타입 (카본바디 2입)
★5,000★ 어부공방 NEW 호래전
★4,500★ 야마시타 SB 호래기 대바늘
★3,000★ 하야부사 6단 볼락 전갱이 카드채비 SD724 볼락채비
★1,000★볼락낚시에 최적인 메바트로볼 - 캐스팅볼, 메바볼