네임
카드
카드
거제하하피싱
거제시 사등면 성포로3길
50
010-6525-0540
거제시 사등면 성포로3길
50
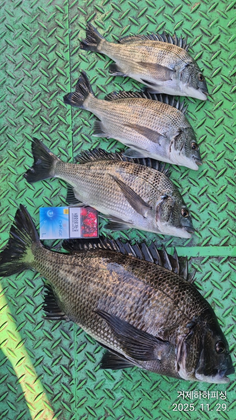
주말 어초흘림
조황입니다.
48외 3짜들...마릿수는. 안되네요.
다녀가신 분들 수고하셨습니다.
낼 예약가능합니다.
감사합니다.
거제시 거제면 법동리1056
010 6525 0540
|
|
|
|




