통영한바다호ㅡ감성돔. 내일도 감성돔흘림 출조합니다
12월 06일(토)
인낚 현재접속자
2,663명 (
66
)
공지사항
인낚도서관
점주선장전용 공지사항
로그인
광고/제휴 문의
운영진에게
인낚ㅣ인터넷바다낚시
0
어종별선상
어종별갯바위
낚시인조황
점주선장조황
출조정보
낚시광장
낚시지식인
낚시교실
중고장터
휴게실
인낚도서관
인낚몰
0
어종별선상
어종별 선상조황
4대돔 조황
먹물 조황
갈치 조황
볼락&전갱이
빅게임 지깅&파핑
외줄&외수질
기타 어종
어종별 갯바위조황
4대돔 조황
먹물 조황
갈치 조황
볼락&전갱이
농어&삼치&방어&부시리
기타 어종
어종별갯바위
어종별 선상조황
4대돔 조황
먹물 조황
갈치 조황
볼락&전갱이
빅게임 지깅&파핑
외줄&외수질
기타 어종
어종별 갯바위조황
4대돔 조황
먹물 조황
갈치 조황
볼락&전갱이
농어&삼치&방어&부시리
기타 어종
낚시인조황
낚시인 번개조황
낚시인조행기
스탭조행기
우리낚시동호회이야기
전국낚시동호회소개
동호회갤러리
지난 조황자료보기(년도별 조황 자료)
점주선장조황
전국 실시간 조황
선상(배)+좌대 조황
갯바위+방파제 조황
점주선장전용 공지사항
지난 조황자료보기(년도별 조황 자료)
출조정보
낚시인동행출조
점주선장 갯바위 출조
점주선장 선상출조
기상파고정보(기상청)
해상예보
물때표
파고예보(일본)
실시간해양관측예보
스마트조석예보
낚시광장
낚시계뉴스
대회 및 낚시관련 홍보
제품평가단
신상품소개
낚시지식인
Q&A 묻고 답하기
조황/포인트 문의
주간 베스트
낚시용품 사용기
낚시투표
토론방
新어류도감
낚시교실
낚시기법소개
어종별 낚시교실
입문자교실
중급자교실
낚시용어사전
중고장터
중고장터 이용후기
더치트 사기피해 검색
팝니다
삽니다
교환합시다
무료로 드립니다
부품팝니다
부품삽니다
일반 생활용품 사고 팔기
휴게실
출석부
낚시갤러리
세상사는 이야기(자유게시판)
낚시이야기 마당
먹고사는 이야기
구인구직
칭찬합니다
어째이런일이
습득물 찾기
메인
어종별선상
어종별갯바위
낚시인조황
점주선장조황
출조정보
낚시광장
낚시지식인
낚시교실
중고장터
휴게실
0
전국 실시간 조황
선상(배)+좌대 조황
갯바위+방파제 조황
점주선장전용 공지사항
지난 조황자료보기(년도별 조황 자료)
점주/선장 >
선상 + 좌대 조황
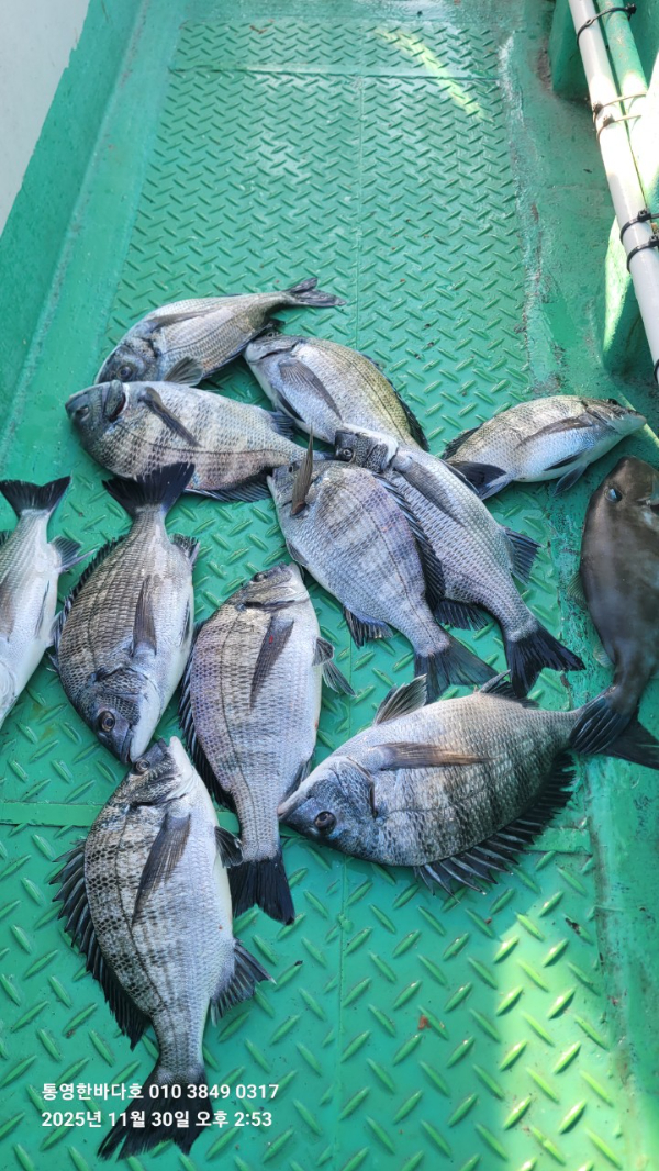
통영한바다호ㅡ감성돔. 내일도 감성돔흘림 출조합니다
통영한바다호
0
85
11.30 16:55
● 출항지 : 통영
● 출조인원 : 3~5명
네임
카드
한바다호
경남 통영시 도산면 도산일주로 2209
010-3849-0317
실시간 예약
홈페이지
밴드 바로가기
유튜브/SNS
11월 마지막날 감성돔으로 마무리했습니다
내만에서 손맛보고 사량도 한바퀴하고 들어왔습니다
12월부터는 감성돔 흘림ㆍ카고 출조합니다
문어는 5분이상.독배 문의주세요
감성돔 선수분들 스~~을 나가보입시더
*** 통영 한바다호 예약 안내 ***
예약문의 : 010-3849-0317
오시는길 : 경남 통영시 도산면 도산일주로 2209
홈페이지 : https://hanbadaho.sunsang24.com/
0
신고
목록
0
댓글
로그인한 회원만 댓글 등록이 가능합니다.
×
Image Upload
로그인한 회원만 등록가능합니다.
포토
제목
이름
날짜
[통영] [ 두모1호 볼락루어 ] 12/05 출항 조활
출항지 : 통영 / 출조지 :
달아두모호
3
7분전
달아두모호
05:01
[진해] [진해] [5일 쭈꾸미] 오전 알쭈미 오늘도 씨알좋고 (토 오후…
출항지 : 진해 / 출조지 : 진해
진해씨스타호
10
17분전
진해씨스타호
04:50
[마산] 원전항)9톤 쭈꾸미 잘잡고~손맛보고 내일 토요일 출항갑니다~
출항지 : 마산 / 출조지 :
신조선짱구호원전항
83
33분전
신조선짱구호원전항
04:35
[진해] 감성돔 흘림.연일 마리수폭발함
출항지 : 진해 / 출조지 : 거제
다은피싱
21
1시간전
다은피싱
03:53
[진해] 야간낙지 출조안내
출항지 : 진해 / 출조지 :
진해바루나피싱
19
2시간전
진해바루나피싱
03:26
[여수,광양] 여수레드헌터피싱 다음주 12월10일(수)부터 깊은수심 돌문어 출…
출항지 : 여수,광양 / 출조지 :
레드헌터피싱
12
2시간전
레드헌터피싱
02:46
[제주] 제주엔에스호 팁런 조황입니다
출항지 : 제주 / 출조지 :
엔에스호
15
2시간전
엔에스호
02:43
[진해] 쫙~쫙 달라붙어 올라오는 야간~돌문어 잡으러 출조 갑니다 @ …
출항지 : 진해 / 출조지 : 거제
성진피싱
65
3시간전
성진피싱
02:10
[통영] 청송호)감성돔 조황(카고)
출항지 : 통영 / 출조지 : 통영
풍화리청송호
39
5시간전
풍화리청송호
00:21
[포항] 밤볼락 쿵쾅! 실시간 12/5
출항지 : 포항 / 출조지 : 포항
신항만NEW대양호
38
5시간전
신항만NEW대양호
00:05
[통영] [지깅]방어,부시리,오늘도"미친피딩'난리부루스(월,화,수,출항,…
출항지 : 통영 / 출조지 :
삼덕레저호
93
5시간전
삼덕레저호
00:00
[진해] 내일 토요일 야간전투문어 예약가능~ 묵직한 문어손맛보러 오세요~
출항지 : 진해 / 출조지 : 진해
진해제네시스호
57
12.05
진해제네시스호
12.05
[진해] 6일 입항<야간낙지>토요일 예약가능&<주간쭈꾸미>일요일 예약가능
출항지 : 진해 / 출조지 : 진해
썬플라워호10톤
119
12.05
썬플라워호10톤
12.05
[고흥,녹동] 251204 녹동제니스2호 참돔타이조황 16분 200수 훌~쩍.…
출항지 : 고흥,녹동 / 출조지 :
ZENITH제니스호
25
12.05
ZENITH제니스호
12.05
[고성] 고성드래곤 감시 흘림 44외 마릿수 일욜 자리여유
출항지 : 고성 / 출조지 : 고성
고성드래곤피싱
54
12.05
고성드래곤피싱
12.05
초기화
날짜순
조회순
검색
1
2
3
4
5
Search
검색대상
제목
내용
제목+내용
회원아이디
회원아이디(댓글)
글쓴이
글쓴이(댓글)
또는
그리고
검색어
필수
검색
닫기
검색조건
제목
내용
제목+내용
회원아이디
회원아이디(코)
글쓴이
글쓴이(코)
검색어
또는
그리고
검색
인낚몰 초특가
★500★ W쿠션 멀티 수중찌 M L - 전유동 반유동 끄심바리 필수품 수중쿠션
★5,900★ 여러개 있으면 아주 좋은 EVA 시스템 백
★ 1+1 플로팅, 세미, 카본 낚시줄 행사 호수선택가능 / 택상 1+1 원줄, 목줄 행사
★6,000★ 예민함의 끝판왕 애니원찌 벵에돔찌 학공치찌
★15,000★ 오동목 구멍찌 5개 + 메쉬 찌케이스 세트
★22만원★ 40W 집어등을 이 가격에!
★5,000★ 전층쿠션 15세트입 S / L 사이즈
★2,000★ 전층쿠션 5세트입 S / L 사이즈
★10,000 미니집어등5개 + 425배터리 1개 + 스토퍼고무 10개
★13,500 深海 심해대물 갈치집어등 3개 5LED 오색 집어등 갈치낚시 필수품 건전지3개 포함 수중집어등
★9,900★ 수제공방 갈치 풀치 잔치세트 짬낚시 필수 하나로 끝
★8,650~★ 아부가르시아 카치카치다마 유동식 타이라바 - 80g / 100g / 120g / 140g