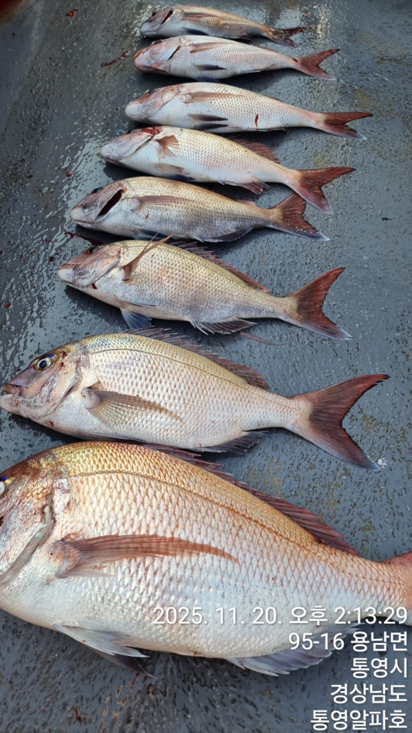
통영알파호 먼바다 대물참돔 7짜외 방어 부시리..

신상품 소개


회원 랭킹


공지사항


NaverBand
점주/선장 > 선상 + 좌대 조황

통영알파호 먼바다 대물참돔 7짜외 방어 부시리..

알파호 0 129
● 출항지 : 통영

1000031743.jpg


1000031749.jpg


1000031733.jpg


1000031740.jpg


1000031744.jpg


1000031736.jpg


1000031756.jpg


1000031757.jpg


1000031758.jpg

안녕하세요 통영 알파호 김선장입니다!!
11월20일 참돔7짜외 방어
 부시리  씨알급들로 빵빵터주고 벚켜져도 원줄쭉쭉가져갑니당....
일요일 개인출조 예약가능합니다!!
_________________________________________________
(참돔 부시리 흘림낚시)
목줄6호이상 준비하세요대물참돔
대방어 부시리
빵빵터져나갑니다 
원도권 본류대 참돔/부시리/방어낚시 "예약가능"
※ 물때에 맞추어 출조시간이 유동적이며, 승율을 높히기 위함입니다.
원도권 본류대(本流帶) 참돔 부시리낚시는 알파호!!!
통영 견유항 출발, 大物 참돔 부시리 릴찌낚시 전문출조점 "알파호"입니다.
대물 손맛이 그리우신 분들은 알파호로 문의 해 주세요~
대물참돔 도전하시길 바랍니다. 대물들이 우글거리는 통영 거제 원도권 본류대 흘림낚시에 제대로 된 가이드를 제시합니다. 원도권 대물 
흘림낚시는 알파호가 제대로 모시겠습니다. 함께 해주신 조사님 수고 많으셨습니다.
▣ 알파호 참돔 출조 일정 안내 ▣
알파호는 기상만 좋으면 원도권 본류대 상시 출조를 진행합니다.
★) 원도권 본류대 참돔/부시리/방어낚시 "예약가능"
★일() 원도권 본류대 참돔/부시리/방어낚시 "예약가능"
★일() 원도권 본류대 참돔/부시리/방어낚시 "예약가능"
★일() 원도권 본류대 참돔/부시리/방어낚시 "예약가능"
※ 주중, 주말은 좋은 포인트 진입을 위해 예약을 서둘러 주십시요.
통영시 용남면 견유2길98-24 알파호(알파피싱)
▣ 원도권 대물 참돔낚시 채비 안내 ▣
1) 낚시대 - 2호이상
2) 릴 - 5000번 이상
3) 원줄 - 5호 이상
4) 목줄 - 5호 이상
5) 바늘 - 8호 이상 (참돔바늘 기준)
6) 잠수찌 필요
※(필독: 승선시 스파이크 및 갯바위 신발은 승선시 착용 금지 필수)
▣ 원도권 대물 긴꼬리벵에돔 & 참돔낚시 
- 알파호는 9톤급 신조선으로 먼바다 참돔,대방어 위주로 출항합니다.
(입금 계좌) 수협 920-62-053324 예금주 김민곤
▣ 통영 알파호 (예약) ☎ 010 5479 2534
(알파호 밴드) https://band.us/@alphafishing




통영시 용남면 견유2길98-24 알파피싱
#참돔조황, #참돔낚시, #긴꼬리벵에돔, #원도권벵에돔, #벵에돔선상낚시, #참돔출조, #참돔선상낚시, #통영원도권출조, #통영벵에돔낚시, #통영참돔낚시, #참돔, #통영참돔낚시, #거제참돔낚시, #참돔낚시배, #견유항참돔낚시, #알파피싱, #알파호, #통영알파호, #alpha



*** 통영 알파호 예약 안내 ***


예약문의 : 010-5479-2534

오시는길 : 경남 통영시 용남면 견유2길 98-24
홈페이지 : https://alpha.sunsang24.com/

모바일.jpg 

blank.png1


  • 페이스북으로 보내기
  • 트위터로 보내기
  • 구글플러스로 보내기
  • 카카오스토리로 보내기
  • 네이버밴드로 보내기
  • 네이버로 보내기
  • 텀블러로 보내기
  • 핀터레스트로 보내기
0 댓글
포토 제목
 
 

인낚 최신글


인낚 최신댓글


온라인 문의 안내


월~금 : 9:00 ~ 18:00
토/일/공휴일 휴무
점심시간 : 12:00 ~ 13:00