감섬돔 흘림~~터지고~빠지고~~(24일예약)
01월 26일(월)
인낚 현재접속자
2,579명 (
131
)
공지사항
인낚도서관
점주선장전용 공지사항
로그인
광고/제휴 문의
운영진에게
인낚ㅣ인터넷바다낚시
0
어종별선상
어종별갯바위
낚시인조황
점주선장조황
출조정보
낚시광장
낚시지식인
낚시교실
중고장터
휴게실
인낚도서관
인낚몰
0
어종별선상
4대돔 조황
먹물 조황
갈치 조황
볼락&전갱이
빅게임 지깅&파핑
외줄&외수질
기타 어종
어종별갯바위
4대돔 조황
먹물 조황
갈치 조황
볼락&전갱이
농어&삼치&방어&부시리
기타 어종
낚시인조황
낚시인 번개조황
낚시인조행기
스탭조행기
우리낚시동호회이야기
전국낚시동호회소개
동호회갤러리
지난 조황자료보기(년도별 조황 자료)
점주선장조황
전국 실시간 조황
선상(배)+좌대 조황
갯바위+방파제 조황
점주선장전용 공지사항
지난 조황자료보기(년도별 조황 자료)
출조정보
낚시인동행출조
점주선장 갯바위 출조
점주선장 선상출조
기상파고정보(기상청)
해상예보
물때표
파고예보(일본)
실시간해양관측예보
스마트조석예보
낚시광장
낚시계뉴스
대회 및 낚시관련 홍보
제품평가단
신상품소개
낚시지식인
Q&A 묻고 답하기
지식인 베스트
조황/포인트 문의
낚시용품 사용기
낚시투표
토론방
新어류도감
낚시교실
낚시기법소개
어종별 낚시교실
입문자교실
중급자교실
낚시용어사전
중고장터
중고장터 이용후기
더치트 사기피해 검색
팝니다
삽니다
교환합시다
무료로 드립니다
부품팝니다
부품삽니다
일반 생활용품 사고 팔기
휴게실
출석부
낚시갤러리
세상사는 이야기(자유게시판)
낚시이야기 마당
먹고사는 이야기
구인구직
칭찬합니다
어째이런일이
습득물 찾기
인낚도서관
인낚 유튜브
인낚 칼럼
블루, 그것이 알고싶다
더블테일의 두 눈으로 보는 세상
입질의추억의 피싱다이어리
나無의 바다 이야기
전문강좌
海巖의 바다낚시 이야기
이성규의 전유동낚시 강좌
조성민의 금요루어클럽
메인
어종별선상
어종별갯바위
낚시인조황
점주선장조황
출조정보
낚시광장
낚시지식인
낚시교실
중고장터
휴게실
인낚도서관
인낚몰
0
전국 실시간 조황
선상(배)+좌대 조황
갯바위+방파제 조황
점주선장전용 공지사항
지난 조황자료보기(년도별 조황 자료)
점주/선장 >
선상 + 좌대 조황
감섬돔 흘림~~터지고~빠지고~~(24일예약)
거제대교해운1호
0
185
2025.11.20 17:31
● 출항지 : 거제
● 출조지 : 통영
● 출조인원 : 3~5명
네임
카드
거제대교해운1호
거제시 사등면 덕호해안길 108
010 -9169-4266
010-9023-1487
실시간 예약
홈페이지
밴드 바로가기
유튜브/SNS
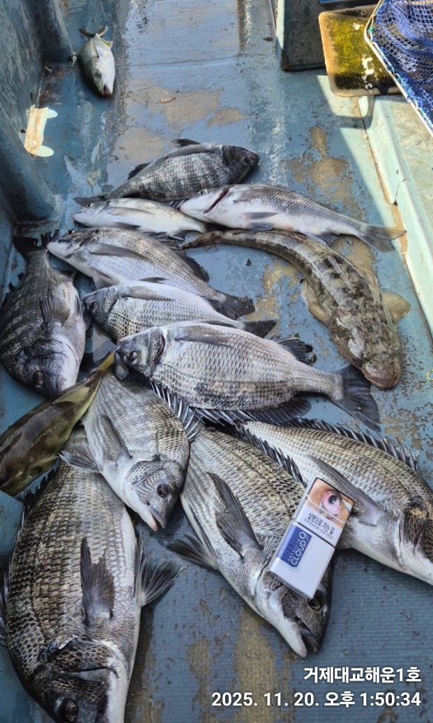
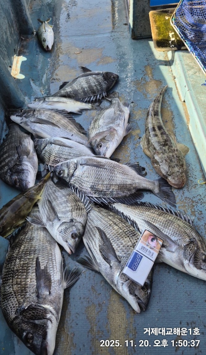
2025년 11월 20일 (목요일.8물)
#감성돔조황, #감성돔선상낚시,
#감성돔흘림낚시, #감성돔출조,
#감성돔낚시 #거제대교해운1호
날씨 한번 끝내줍니다~~
감성돔 #흘림낚시 로 찾아주신 4분조사님 모시고 #흘림낚시 다녀왔습니다 ~~
복어들이 왜 득실대는지..참말로!!
몇방씩 터주고 ~빠지고~~
아쉬움이 많이 남지만서도 ~~10여수이상 건지고 철수했습니다 ~~해운1호와 함께 해주신 조사님들 수고 많으셨고 감사드립니다 ~~
☆☆ 감성돔낚시 출조 안내 ☆☆
거제도 내만 감성돔 승율있는 최상급 포인트 안내~
☆출 조 시 간☆
●새벽06시00분~오후1시반철수 ●
(철수시간 상황따라 변경될수있음)
●흘림오전낚시 선비는
8만원입니다 ●
●흘림종일낚시 선비는
11만원입니다!! ●
●카고종일낚시 선비는
12만원입니다 ●
■독배예약시 선비는 60만원입니다■
☆생활낚시 선비 6만원이며~시긴은 3시간~~4시간 정도 하는 낚시입니다~☆
- 생수,커피, 밑밥, 미끼제공
- 대체 미끼는 개인 지참.
(흘림시 개인대체미끼 경단,옥수수
준비해서 오세요)
(카고시 개인카고 봉돌30호
여유있게 준비해서 오세요)
※신분증,구명복 필수 준비해 오세요. ※배에서 음주는 법적으로 금지되어 있습니다!
▦해운호 ☎010-9169-4266
010-9023-1487(사모)
(출항지) 거제시 사등면 덕호해안길
108번지
■ 예약 :수협2020.4128.8814
오재석(선장) ■
■ 농협352.0069.5176.03
진정미 (사모)■
밴드주소:https://band.us/@hyun6335
#'거제대교해운1호 #거제광리 #선상에서즐기는 #싱싱한회파티
#철수후즐기는 #뒷풀이는 #싱싱한회와함께 #맛난집밥
#감성돔선상낚시, #감성돔조황, #오선장 #감성돔출조,
#감성돔카고낚시 #감성돔흘림낚시,
0
신고
목록
0
댓글
로그인한 회원만 댓글 등록이 가능합니다.
×
Image Upload
로그인한 회원만 등록가능합니다.
포토
제목
이름
날짜
[진해] 문어) 원도권 묵직한손맛 굿굿!!~ 금.토.일 원도권문어 예약가…
출항지 : 진해 / 출조지 : 거제
진해제네시스호
60
01.25
진해제네시스호
01.25
[진해] 쭈꾸미 우당탕! 전원 마릿수 채우고 철수!
출항지 : 진해 / 출조지 :
진해풍산호
65
01.25
진해풍산호
01.25
[진해] "NEW"25일<주간쭈꾸미>&<야간낙지>월,화 예약가능
출항지 : 진해 / 출조지 : 진해
썬플라워호10톤
74
01.25
썬플라워호10톤
01.25
[진해] 야간낙지 왕낙지들 사이즈 최고최고~!!쭉~뽑고~!!(월,화,수 …
출항지 : 진해 / 출조지 : 진해
진해라코피싱
37
01.25
진해라코피싱
01.25
[진해] 오리온!원도권문어!최고의 손맛 원도권으로 달립니다~내일예약가능
출항지 : 진해 / 출조지 : 진해
진해오리온피싱
43
01.25
진해오리온피싱
01.25
[포항] 밤볼락 쿵쾅쾅 실시간 1/25. 뉴대양호
출항지 : 포항 / 출조지 : 포항
신항만NEW대양호
19
01.25
신항만NEW대양호
01.25
[통영] [부성피싱호]실시간오징어조황!! 오징어계속올라옵니다!! 낼1호오…
출항지 : 통영 / 출조지 : 통영
통영부성피싱호
26
01.25
통영부성피싱호
01.25
[통영] [외줄]씨알좋은 왕열기.만쿨.반쿨(월.화요일.출항확정)
출항지 : 통영 / 출조지 :
삼덕레저호
99
01.25
삼덕레저호
01.25
[장흥,완도] 완도더킹호 참돔타이라바 조황!! 다음주 자리여유
출항지 : 장흥,완도 / 출조지 :
완도더킹호
8
01.25
완도더킹호
01.25
[진해] [왕오징어] 씨알대박~ 쿨러조황! 내일도 출항합니다! 화수목금토…
출항지 : 진해 / 출조지 :
진해매일호
104
01.25
진해매일호
01.25
[제주] 제주스마트호 서귀포권갑오징어조황
출항지 : 제주 / 출조지 :
스마트호
9
01.25
스마트호
01.25
[인천] 1월 25일 일요일 거진항 어구 가자미 쪼끔 잡앗어요 사이즈 죽…
출항지 : 인천 / 출조지 :
바다의전설부평25시
10
01.25
바다의전설부평25시
01.25
[부산] [송도광성호] 금일 25일 열기 조황 ~ 내일 열기 출조 자리여…
출항지 : 부산 / 출조지 : 부산
부산송도광성호
25
01.25
부산송도광성호
01.25
[부산] [부산 유강피싱] 유강호 방어 입질이 살아납니다~~
출항지 : 부산 / 출조지 :
유강피싱
23
01.25
유강피싱
01.25
[진해] 감성돔 (카고)ㅡ49.48.47.46.43 씨알 굿굿 (월,예약…
출항지 : 진해 / 출조지 : 진해
진해레져
75
01.25
진해레져
01.25
초기화
날짜순
조회순
검색
1
2
3
4
5
Search
검색대상
제목
내용
제목+내용
회원아이디
회원아이디(댓글)
글쓴이
글쓴이(댓글)
또는
그리고
검색어
필수
검색
닫기
검색조건
제목
내용
제목+내용
회원아이디
회원아이디(코)
글쓴이
글쓴이(코)
검색어
또는
그리고
검색
인낚몰 초특가
MAEK 맥 호래기 대바늘 호래기콕 J타입 (카본바디 2입)
어부공방 NEW 호래전
야마시타 SB 호래기 대바늘
★3,000★ 하야부사 6단 볼락 전갱이 카드채비 SD724 볼락채비
★1,000★볼락낚시에 최적인 메바트로볼 - 캐스팅볼, 메바볼
★13,000~★3NO 일본 오리지날 직수입 극강 멀티 무광 마크사 원줄
★500★ W쿠션 멀티 수중찌 M L - 전유동 반유동 끄심바리 필수품 수중쿠션
★5,900★ 여러개 있으면 아주 좋은 EVA 시스템 백
★ 1+1 플로팅, 세미, 카본 낚시줄 행사 호수선택가능 / 택상 1+1 원줄, 목줄 행사
★6,000★ 예민함의 끝판왕 애니원찌 벵에돔찌 학공치찌
★15,000★ 오동목 구멍찌 5개 + 메쉬 찌케이스 세트
★22만원★ 40W 집어등을 이 가격에!