네임
카드
카드
뉴에이스호
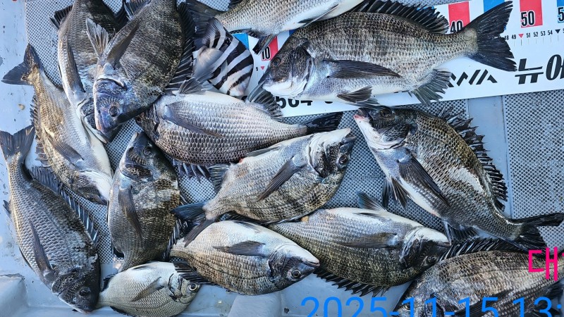
뉴에이스 감성돔43,43,42,41이하 대부분 4짜
기상관계로 어제와 오늘은 쉬었고 내일 정상 출조합니다. 그제 4분이서 6수 터트리고 대부분 4짜로 14수로 찐한 손맛보고 왔습니다 내일 같이 하실분 자리 널널하니 연락주셔요
♡♡밴드로 초대합니다♡♡
https://band.us/band/95877909/post/9





▶ 지켜주세요! ◀