신동화레져) 11월 14일 조황입니다

신상품 소개


회원 랭킹


공지사항


NaverBand
점주/선장 > 선상 + 좌대 조황

신동화레져) 11월 14일 조황입니다

신동화레져 0 221
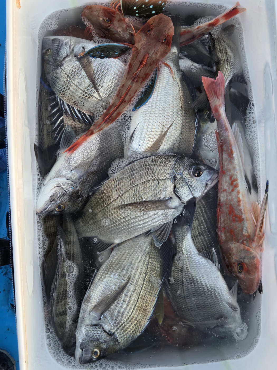
● 출항지 : 고성 ● 출조지 : 고성
c86c29ead9672b0c48728cc600e971c3_1763114935_5682.jpeg



c86c29ead9672b0c48728cc600e971c3_1763114942_0357.jpeg



c86c29ead9672b0c48728cc600e971c3_1763114942_7563.jpeg



c86c29ead9672b0c48728cc600e971c3_1763114943_3636.jpeg



c86c29ead9672b0c48728cc600e971c3_1763114944_0825.jpeg



c86c29ead9672b0c48728cc600e971c3_1763114944_8513.jpeg



c86c29ead9672b0c48728cc600e971c3_1763114945_5349.jpeg



안녕하세요 신동화레져 입니다.
 
2025 - 11 - 14
선외기 조황

오늘 조황입니다.

예약가능합니다.

<<고성 신동화레져 이용안내>>


예약문의

010-8529-9693

(낚시관련 어떤 문의든 친절하게 안내도와드리겠습니다) 



★★예약입금★★

0010 8529 9693 수협 이창희


주력어종

갑이 문어 감성돔 도다리 


감성돔 선비  

1인 7만

2인 9만

3인 11만

4인 13만 

 루어낚시 선비  

1인 9만

2인 11만

3인 13만

4인 15만 


출항시간

일몰 전후 30분 

(문의주세요)


찾아오시는길

주소 경남고성군 하일면 동화1길 85번지 주차장 배타는입구 


주의사항

- 신분증 지참은 필수!!

- 선내 주류 반입 및 음주는 X

- 구명조끼 착용은 선택이 아닌 필수!!


 민박 낚시점 

- 밑밥  미끼 현지 지방홈무시


항상 즐겁고 안전한 낚시를 위해 노력하는 고성 신동화레져 되겠습니다


◆신동화레져

배는 10대 운영하고 있습니다. 

초보조사님들 위해 감성돔 낚시는 쉽게 할수있도록 집중 양성 합니다

 배운전도 안해본 손님은 제가직접 운전할수 있도록 양성시킵니다 

면허증은 없어도 가능합니다! 

보험 가입과 해경등록증은 사무실에 배치되어 있습니다 

구명조끼도 배치되어있습니다! 

 반드시 구명조끼, 음주, 영업구역  지켜야 됩니다 

 문제가 생기면 조사님께 벌금이 많이 나오니 꼭 지키셔야합니다

  • 페이스북으로 보내기
  • 트위터로 보내기
  • 구글플러스로 보내기
  • 카카오스토리로 보내기
  • 네이버밴드로 보내기
  • 네이버로 보내기
  • 텀블러로 보내기
  • 핀터레스트로 보내기
0 댓글
포토 제목
 
 

인낚 최신글


인낚 최신댓글


온라인 문의 안내


월~금 : 9:00 ~ 18:00
토/일/공휴일 휴무
점심시간 : 12:00 ~ 13:00