감성돔 선상 흘림 이루마호 조황
12월 10일(수)
인낚 현재접속자
3,091명 (
193
)
공지사항
인낚도서관
점주선장전용 공지사항
로그인
광고/제휴 문의
운영진에게
인낚ㅣ인터넷바다낚시
0
어종별선상
어종별갯바위
낚시인조황
점주선장조황
출조정보
낚시광장
낚시지식인
낚시교실
중고장터
휴게실
인낚도서관
인낚몰
0
어종별선상
어종별 선상조황
4대돔 조황
먹물 조황
갈치 조황
볼락&전갱이
빅게임 지깅&파핑
외줄&외수질
기타 어종
어종별 갯바위조황
4대돔 조황
먹물 조황
갈치 조황
볼락&전갱이
농어&삼치&방어&부시리
기타 어종
어종별갯바위
어종별 선상조황
4대돔 조황
먹물 조황
갈치 조황
볼락&전갱이
빅게임 지깅&파핑
외줄&외수질
기타 어종
어종별 갯바위조황
4대돔 조황
먹물 조황
갈치 조황
볼락&전갱이
농어&삼치&방어&부시리
기타 어종
낚시인조황
낚시인 번개조황
낚시인조행기
스탭조행기
우리낚시동호회이야기
전국낚시동호회소개
동호회갤러리
지난 조황자료보기(년도별 조황 자료)
점주선장조황
전국 실시간 조황
선상(배)+좌대 조황
갯바위+방파제 조황
점주선장전용 공지사항
지난 조황자료보기(년도별 조황 자료)
출조정보
낚시인동행출조
점주선장 갯바위 출조
점주선장 선상출조
기상파고정보(기상청)
해상예보
물때표
파고예보(일본)
실시간해양관측예보
스마트조석예보
낚시광장
낚시계뉴스
대회 및 낚시관련 홍보
제품평가단
신상품소개
낚시지식인
Q&A 묻고 답하기
조황/포인트 문의
주간 베스트
낚시용품 사용기
낚시투표
토론방
新어류도감
낚시교실
낚시기법소개
어종별 낚시교실
입문자교실
중급자교실
낚시용어사전
중고장터
중고장터 이용후기
더치트 사기피해 검색
팝니다
삽니다
교환합시다
무료로 드립니다
부품팝니다
부품삽니다
일반 생활용품 사고 팔기
휴게실
출석부
낚시갤러리
세상사는 이야기(자유게시판)
낚시이야기 마당
먹고사는 이야기
구인구직
칭찬합니다
어째이런일이
습득물 찾기
메인
어종별선상
어종별갯바위
낚시인조황
점주선장조황
출조정보
낚시광장
낚시지식인
낚시교실
중고장터
휴게실
0
전국 실시간 조황
선상(배)+좌대 조황
갯바위+방파제 조황
점주선장전용 공지사항
지난 조황자료보기(년도별 조황 자료)
점주/선장 >
선상 + 좌대 조황
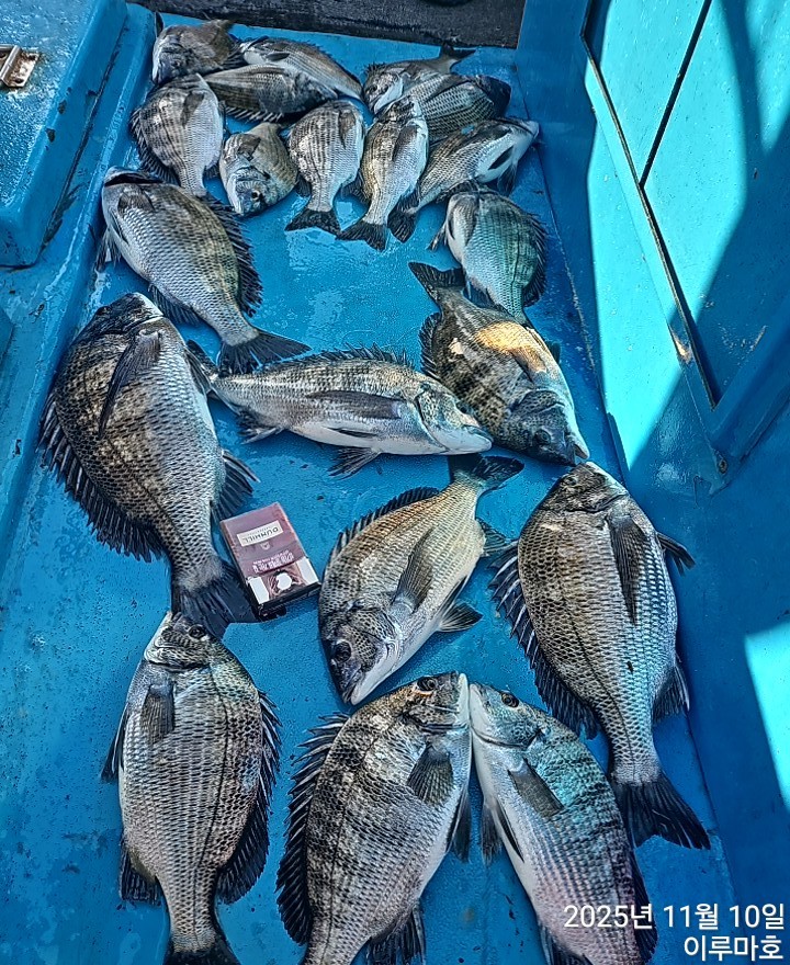
감성돔 선상 흘림 이루마호 조황
이루마호
0
118
11.11 06:48
● 출항지 : 진해
● 출조지 : 진해
● 출조인원 : 3~5명
0
https://band.us/band/89938721
네임
카드
이루마호
경남 창원시 진해구 제덕동 제덕선착장
010-8416-7961
실시간 예약
홈페이지
밴드 바로가기
유튜브/SNS
☆☆☆☆감성돔 맛집 이루마호 조황☆☆☆☆
감성돔 조황입니다
사이즈랑 마릿수 더 자세한 사진은 밴드 오시면 됩니다.
출조시간 및 문의사항 전화주세요!!!
감성돔 대박 행진 이어가실 조사님
예약 문의 아래로!!
문의 연락처
010 8416 7961
밴드 오시면 빠른 조황 확인도 가능합니다
https://band.us/band/89938721
입금계좌. 수협(이현석)
202050338973
선입금확인후예약완료
구명조끼 필수 (선내비치)
음주자 탑승 불가
신분증 필수
0
감성돔
,
이루마호
,
진해
신고
목록
0
댓글
로그인한 회원만 댓글 등록이 가능합니다.
×
Image Upload
로그인한 회원만 등록가능합니다.
포토
제목
이름
날짜
[제주] 제주 엔에스호 무늬오징어 조황
출항지 : 제주 / 출조지 :
엔에스호
5
27분전
엔에스호
00:02
[포항] 방어쿵쾅 12/8 왕창 뉴대양호
출항지 : 포항 / 출조지 : 포항
신항만NEW대양호
9
12.09
신항만NEW대양호
12.09
[진해] 내일 수요일 야간문어 예약가능~ 자리여유 ,키로오버 손맛보러 오…
출항지 : 진해 / 출조지 : 진해
진해제네시스호
43
12.09
진해제네시스호
12.09
[진해] 내일 수요일<주간쭈꾸미>&<야간낙지>예약가능
출항지 : 진해 / 출조지 :
썬플라워호10톤
65
12.09
썬플라워호10톤
12.09
[진해] 준내만갈치 3지4지찐손맛,수요일,출항,쭉 예약가능 문어,낚지…
출항지 : 진해 / 출조지 : 진해
진해대성낚시
44
12.09
진해대성낚시
12.09
[진해] 내일야간문어 예약중 ~2.4K외퍽퍽퍽ㅡ수요일야간예약중
출항지 : 진해 / 출조지 : 진해
진해골드스타2
55
12.09
진해골드스타2
12.09
[진해] 야간낙지~대왕낙지 마릿수좋고~대물급문어는 덤!! 수목금토일/예약…
출항지 : 진해 / 출조지 : 진해
진해고고피싱
17
12.09
진해고고피싱
12.09
[진해] 야간낙지 왕낙지들~!!2.7K,2.5K1.9K문어,쭈꾸미까지~!…
출항지 : 진해 / 출조지 : 진해
진해라코피싱
63
12.09
진해라코피싱
12.09
[진해] 감성돔 (카고)ㅡ5짜. 4짜후반.중반급 마릿수로 손맛 굿굿입니다…
출항지 : 진해 / 출조지 : 진해
진해레져
70
12.09
진해레져
12.09
[거제] 감성돔 거제인성낚시 4짜외
출항지 : 거제 / 출조지 : 거제
거제인성낚시
23
12.09
거제인성낚시
12.09
[진해] [신조선]원도권문어1380g1140g1130g급외마릿수굿~
출항지 : 진해 / 출조지 : 진해
뉴해경피싱
25
12.09
뉴해경피싱
12.09
[고성] 신동화레져) 12월 9일 조황입니다
출항지 : 고성 / 출조지 : 고성
신동화레져
28
12.09
신동화레져
12.09
[진해] 내일 야간문어 예약가능~ 자리여유 키로오버손맛보러 오세요
출항지 : 진해 / 출조지 : 진해
진해제네시스호
47
12.09
진해제네시스호
12.09
[사천] 9일 왕쭈꾸미 씨알굿~조항 시즌 빅3 EVENT START! ~…
출항지 : 사천 / 출조지 : 사천
따봉피싱
28
12.09
따봉피싱
12.09
[진해] 호래기출조합니다. 수요일부터 예약가능
출항지 : 진해 / 출조지 : 진해
진해태풍호
56
12.09
진해태풍호
12.09
초기화
날짜순
조회순
검색
1
2
3
4
5
Search
검색대상
제목
내용
제목+내용
회원아이디
회원아이디(댓글)
글쓴이
글쓴이(댓글)
또는
그리고
검색어
필수
검색
닫기
검색조건
제목
내용
제목+내용
회원아이디
회원아이디(코)
글쓴이
글쓴이(코)
검색어
또는
그리고
검색
인낚몰 초특가
★500★ W쿠션 멀티 수중찌 M L - 전유동 반유동 끄심바리 필수품 수중쿠션
★5,900★ 여러개 있으면 아주 좋은 EVA 시스템 백
★ 1+1 플로팅, 세미, 카본 낚시줄 행사 호수선택가능 / 택상 1+1 원줄, 목줄 행사
★6,000★ 예민함의 끝판왕 애니원찌 벵에돔찌 학공치찌
★15,000★ 오동목 구멍찌 5개 + 메쉬 찌케이스 세트
★22만원★ 40W 집어등을 이 가격에!
★5,000★ 전층쿠션 15세트입 S / L 사이즈
★2,000★ 전층쿠션 5세트입 S / L 사이즈
★10,000 미니집어등5개 + 425배터리 1개 + 스토퍼고무 10개
★13,500 深海 심해대물 갈치집어등 3개 5LED 오색 집어등 갈치낚시 필수품 건전지3개 포함 수중집어등
★9,900★ 수제공방 갈치 풀치 잔치세트 짬낚시 필수 하나로 끝
★8,650~★ 아부가르시아 카치카치다마 유동식 타이라바 - 80g / 100g / 120g / 140g