진해안골프로낚시 카고감성돔
12월 11일(목)
인낚 현재접속자
4,260명 (
259
)
공지사항
인낚도서관
점주선장전용 공지사항
로그인
광고/제휴 문의
운영진에게
인낚ㅣ인터넷바다낚시
인낚몰
0
어종별선상
어종별갯바위
낚시인조황
점주선장조황
출조정보
낚시광장
낚시지식인
낚시교실
중고장터
휴게실
인낚도서관
인낚몰
0
어종별선상
어종별 선상조황
4대돔 조황
먹물 조황
갈치 조황
볼락&전갱이
빅게임 지깅&파핑
외줄&외수질
기타 어종
어종별 갯바위조황
4대돔 조황
먹물 조황
갈치 조황
볼락&전갱이
농어&삼치&방어&부시리
기타 어종
어종별갯바위
어종별 선상조황
4대돔 조황
먹물 조황
갈치 조황
볼락&전갱이
빅게임 지깅&파핑
외줄&외수질
기타 어종
어종별 갯바위조황
4대돔 조황
먹물 조황
갈치 조황
볼락&전갱이
농어&삼치&방어&부시리
기타 어종
낚시인조황
낚시인 번개조황
낚시인조행기
스탭조행기
우리낚시동호회이야기
전국낚시동호회소개
동호회갤러리
지난 조황자료보기(년도별 조황 자료)
점주선장조황
전국 실시간 조황
선상(배)+좌대 조황
갯바위+방파제 조황
점주선장전용 공지사항
지난 조황자료보기(년도별 조황 자료)
출조정보
낚시인동행출조
점주선장 갯바위 출조
점주선장 선상출조
기상파고정보(기상청)
해상예보
물때표
파고예보(일본)
실시간해양관측예보
스마트조석예보
낚시광장
낚시계뉴스
대회 및 낚시관련 홍보
제품평가단
신상품소개
낚시지식인
Q&A 묻고 답하기
조황/포인트 문의
주간 베스트
낚시용품 사용기
낚시투표
토론방
新어류도감
낚시교실
낚시기법소개
어종별 낚시교실
입문자교실
중급자교실
낚시용어사전
중고장터
중고장터 이용후기
더치트 사기피해 검색
팝니다
삽니다
교환합시다
무료로 드립니다
부품팝니다
부품삽니다
일반 생활용품 사고 팔기
휴게실
출석부
낚시갤러리
세상사는 이야기(자유게시판)
낚시이야기 마당
먹고사는 이야기
구인구직
칭찬합니다
어째이런일이
습득물 찾기
메인
어종별선상
어종별갯바위
낚시인조황
점주선장조황
출조정보
낚시광장
낚시지식인
낚시교실
중고장터
휴게실
0
전국 실시간 조황
선상(배)+좌대 조황
갯바위+방파제 조황
점주선장전용 공지사항
지난 조황자료보기(년도별 조황 자료)
점주/선장 >
선상 + 좌대 조황
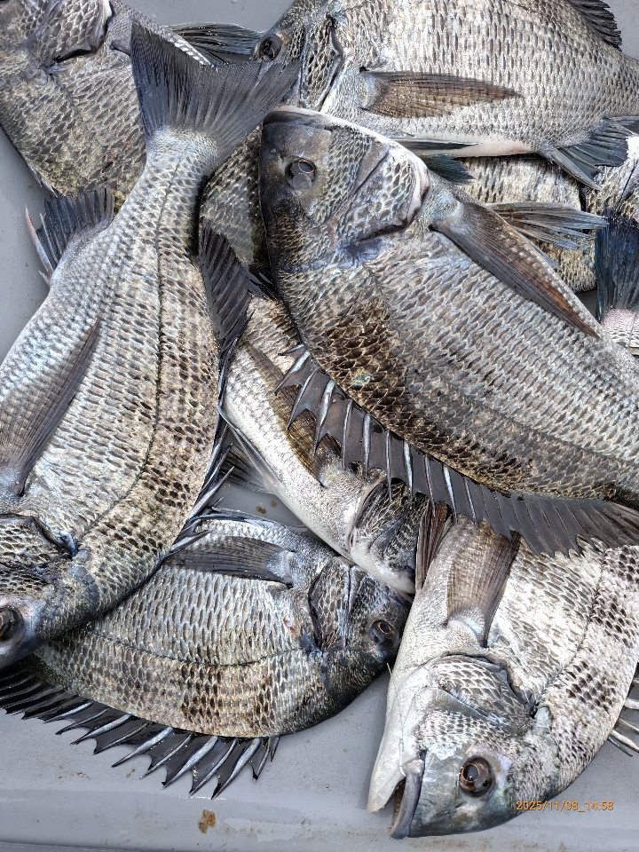
진해안골프로낚시 카고감성돔
안골프로낚시
0
83
11.09 15:17
● 출항지 : 진해
● 출조인원 : 3~5명
안녕하세요
진해안골프로낚시 입니다
오늘도 조사님들이 손맛 제대로 보고가셨습니다
추운날씨에도 고생하셨습니다
내일 자리있습니다
연락주세요~
010 4546 2119
0
신고
목록
글쓴이
1
0
Lv.1
안골프로낚시
점주선장
0 (0%)
등록된 인사글이 없습니다.
12.06
진해안골프로낚시 카고감성돔 조황
11.09
진해안골프로낚시 카고감성돔
11.05
진해 안골프로낚시 카고 감성돔
11.04
진해안골프로낚시 카고감성돔 조황
11.02
진해안골프로낚시 카고감성돔 조황
0
댓글
로그인한 회원만 댓글 등록이 가능합니다.
×
Image Upload
로그인한 회원만 등록가능합니다.
포토
제목
이름
날짜
[통영] 감성돔45/43/43/42외3짜마릿수조황
출항지 : 통영 / 출조지 : 통영
연명다경레져
2
2분전
연명다경레져
09:39
[거제] 빅게임 굿굿!!
출항지 : 거제 / 출조지 :
거제아지트피싱
1
4분전
거제아지트피싱
09:36
[거제] (거제 FM 피싱호 ~감성돔흘림)~어제 야간.오늘새벽 철수조황 …
출항지 : 거제 / 출조지 :
FM피싱호
2
5분전
FM피싱호
09:35
[통영] (원도권)문어 K오버 K급 망탱이 핫조황~홍부장피싱(주야간 쭉~…
출항지 : 통영 / 출조지 : 통영
홍부장피싱
3
7분전
홍부장피싱
09:33
[사천] 알주꾸미~팍~팍~!!~내일출조확정~예약받습니다.
출항지 : 사천 / 출조지 : 사천
사천파워피싱
2
8분전
사천파워피싱
09:33
[진해] 야간 낙지 빵빵하게 챙겨 왔습니당~~(오늘 예약 가능)
출항지 : 진해 / 출조지 : 진해
진해나드리호
7
8분전
진해나드리호
09:32
[군산] 군산권 먹깨비호 문어 조황
출항지 : 군산 / 출조지 :
먹깨비호
2
9분전
먹깨비호
09:31
[진해] 12/11문어원도종일반~실시간 1270g외키로급퍽퍽~금토예약됩니…
출항지 : 진해 / 출조지 :
진해만물낚시
8
12분전
진해만물낚시
09:28
[통영] (감성돔)대박 어초 4짜3짜 담고 담고 퍼 담고~대양호(12일 …
출항지 : 통영 / 출조지 : 통영
통영대양호국치마을
8
14분전
통영대양호국치마을
09:26
[진해] 감성돔흘림47cm외마릿수철수입항조황(토요일예약가능)
출항지 : 진해 / 출조지 : 진해
진해뉴스피드호
8
14분전
진해뉴스피드호
09:26
[진해] 준내만갈치.(텐빈. 텐야) 12월 10일 조황!
출항지 : 진해 / 출조지 :
우리피싱호
12
16분전
우리피싱호
09:24
[진해] 11일 입항<야간낙지>목~토&<주간쭈꾸미>금,토,일 가능
출항지 : 진해 / 출조지 :
썬플라워호10톤
12
16분전
썬플라워호10톤
09:24
[통영] (왕볼락)통영권 뽈루 시즌~20Cm 전후 HIT~뉴그린호(오늘 …
출항지 : 통영 / 출조지 : 통영
통영뉴그린호
16
18분전
통영뉴그린호
09:22
[진해] [쭈꾸미][준내만텐빈]오늘입항~큰놈들까지~이만큼씩~일요일부터 예…
출항지 : 진해 / 출조지 : 진해
엿쟁이낚시
19
22분전
엿쟁이낚시
09:18
[사천] 알주꾸미~팍~팍~!!~내일출조확정~예약받습니다.
출항지 : 사천 / 출조지 : 사천
사천파워피싱
10
23분전
사천파워피싱
09:17
초기화
날짜순
조회순
검색
1
2
3
4
5
Search
검색대상
제목
내용
제목+내용
회원아이디
회원아이디(댓글)
글쓴이
글쓴이(댓글)
또는
그리고
검색어
필수
검색
닫기
검색조건
제목
내용
제목+내용
회원아이디
회원아이디(코)
글쓴이
글쓴이(코)
검색어
또는
그리고
검색
인낚몰 초특가
★500★ W쿠션 멀티 수중찌 M L - 전유동 반유동 끄심바리 필수품 수중쿠션
★5,900★ 여러개 있으면 아주 좋은 EVA 시스템 백
★ 1+1 플로팅, 세미, 카본 낚시줄 행사 호수선택가능 / 택상 1+1 원줄, 목줄 행사
★6,000★ 예민함의 끝판왕 애니원찌 벵에돔찌 학공치찌
★15,000★ 오동목 구멍찌 5개 + 메쉬 찌케이스 세트
★22만원★ 40W 집어등을 이 가격에!
★5,000★ 전층쿠션 15세트입 S / L 사이즈
★2,000★ 전층쿠션 5세트입 S / L 사이즈
★10,000 미니집어등5개 + 425배터리 1개 + 스토퍼고무 10개
★13,500 深海 심해대물 갈치집어등 3개 5LED 오색 집어등 갈치낚시 필수품 건전지3개 포함 수중집어등
★9,900★ 수제공방 갈치 풀치 잔치세트 짬낚시 필수 하나로 끝
★8,650~★ 아부가르시아 카치카치다마 유동식 타이라바 - 80g / 100g / 120g / 140g