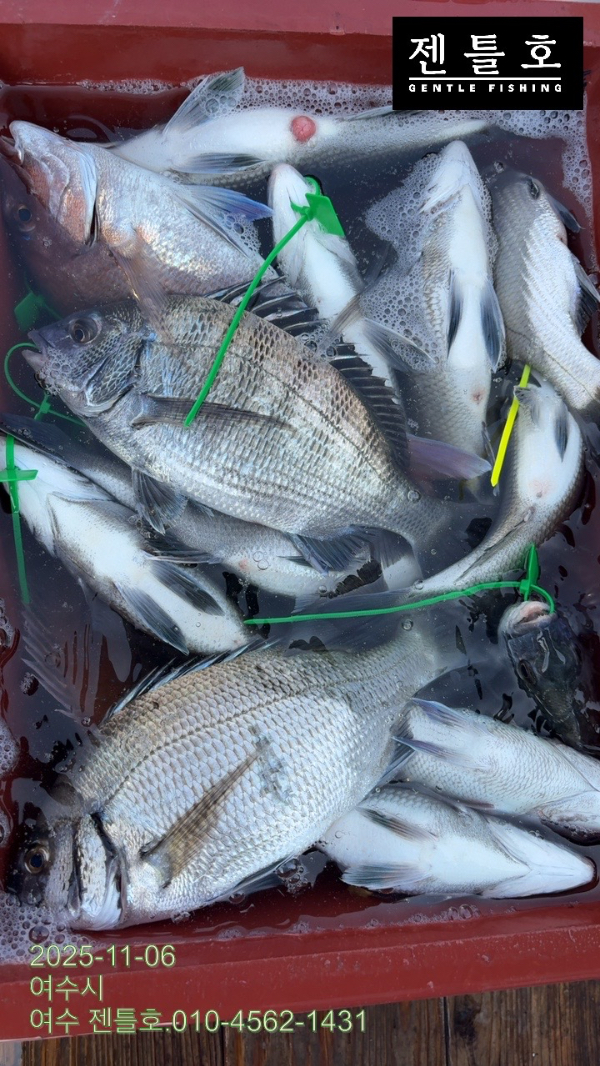
[여수 젠틀호] #감성돔선상 11.6 조황입니다.
01월 26일(월)
인낚 현재접속자
3,959명 (
315
)
공지사항
인낚도서관
점주선장전용 공지사항
로그인
광고/제휴 문의
운영진에게
인낚ㅣ인터넷바다낚시
0
어종별선상
어종별갯바위
낚시인조황
점주선장조황
출조정보
낚시광장
낚시지식인
낚시교실
중고장터
휴게실
인낚도서관
인낚몰
0
어종별선상
4대돔 조황
먹물 조황
갈치 조황
볼락&전갱이
빅게임 지깅&파핑
외줄&외수질
기타 어종
어종별갯바위
4대돔 조황
먹물 조황
갈치 조황
볼락&전갱이
농어&삼치&방어&부시리
기타 어종
낚시인조황
낚시인 번개조황
낚시인조행기
스탭조행기
우리낚시동호회이야기
전국낚시동호회소개
동호회갤러리
지난 조황자료보기(년도별 조황 자료)
점주선장조황
전국 실시간 조황
선상(배)+좌대 조황
갯바위+방파제 조황
점주선장전용 공지사항
지난 조황자료보기(년도별 조황 자료)
출조정보
낚시인동행출조
점주선장 갯바위 출조
점주선장 선상출조
기상파고정보(기상청)
해상예보
물때표
파고예보(일본)
실시간해양관측예보
스마트조석예보
낚시광장
낚시계뉴스
대회 및 낚시관련 홍보
제품평가단
신상품소개
낚시지식인
Q&A 묻고 답하기
지식인 베스트
조황/포인트 문의
낚시용품 사용기
낚시투표
토론방
新어류도감
낚시교실
낚시기법소개
어종별 낚시교실
입문자교실
중급자교실
낚시용어사전
중고장터
중고장터 이용후기
더치트 사기피해 검색
팝니다
삽니다
교환합시다
무료로 드립니다
부품팝니다
부품삽니다
일반 생활용품 사고 팔기
휴게실
출석부
낚시갤러리
세상사는 이야기(자유게시판)
낚시이야기 마당
먹고사는 이야기
구인구직
칭찬합니다
어째이런일이
습득물 찾기
인낚도서관
인낚 유튜브
인낚 칼럼
블루, 그것이 알고싶다
더블테일의 두 눈으로 보는 세상
입질의추억의 피싱다이어리
나無의 바다 이야기
전문강좌
海巖의 바다낚시 이야기
이성규의 전유동낚시 강좌
조성민의 금요루어클럽
메인
어종별선상
어종별갯바위
낚시인조황
점주선장조황
출조정보
낚시광장
낚시지식인
낚시교실
중고장터
휴게실
인낚도서관
인낚몰
0
전국 실시간 조황
선상(배)+좌대 조황
갯바위+방파제 조황
점주선장전용 공지사항
지난 조황자료보기(년도별 조황 자료)
점주/선장 >
선상 + 좌대 조황
[여수 젠틀호] #감성돔선상 11.6 조황입니다.
여수젠틀호
0
132
2025.11.07 06:03
● 출항지 : 여수,광양
● 출조인원 : 6~10명
네임
카드
젠틀호
전라남도 여수시 신월5길 55
010-4562-1431
실시간 예약
홈페이지
밴드 바로가기
유튜브/SNS
#감성돔
안녕하십니까 . 여수 젠틀호 입니다.
6.목. 감성돔선상 조황입니다.
주말예약은 미리 서둘러 주세요^^
출항안내는 선상24나 유선으로 문의 바랍니다.
*** 여수 젠틀호 예약 안내 ***
예약문의 : 010-4562-1431
오시는길 : 여수시 신월5길55. 넙내리 방파제
예약사이트 : https://gentle.sunsang24.com/
밴드 : 여수 젠틀호 https://band.us/@gentle
*** 여수 젠틀호 예약 안내 ***
예약문의 : 010-4562-1431
오시는길 : 전라남도 여수시 신월5길 55
홈페이지 : https://gentle.sunsang24.com/
0
신고
목록
0
댓글
로그인한 회원만 댓글 등록이 가능합니다.
×
Image Upload
로그인한 회원만 등록가능합니다.
포토
제목
이름
날짜
[통영] [외줄]왕열기들이.줄줄이 (화요일 출항확정)
출항지 : 통영 / 출조지 :
삼덕레저호
31
15초전
삼덕레저호
15:45
[진해] 25일 야간낙지 사이즈 대박~!!마릿수 쭉쭉 뽑고~!!(오늘 예…
출항지 : 진해 / 출조지 : 진해
진해라코피싱
33
10분전
진해라코피싱
15:35
[통영] 오징어 출조 합니다.. 간만에 출조를 하였습니다.. 오징어 마릿…
출항지 : 통영 / 출조지 :
통영씨프랜드호
6
15분전
통영씨프랜드호
15:30
[통영] 어초흘림..5짜5짜5짜...
출항지 : 통영 / 출조지 :
통영드림피싱
12
17분전
통영드림피싱
15:28
[진해] 볼락루어 왕사미 마리수로 쭉쭉~
출항지 : 진해 / 출조지 : 진해
두영피싱선장
11
18분전
두영피싱선장
15:26
[거제] (감성돔)대물터 직항~4짜 전후 빵 좋네요~대어1호(27일 예약…
출항지 : 거제 / 출조지 : 거제
거제대어1호
10
21분전
거제대어1호
15:24
[여수,광양] 마릿수 감성돔 조황입니다.
출항지 : 여수,광양 / 출조지 :
여수전국낚시
10
22분전
여수전국낚시
15:23
[거제] (초초대박)감성돔 6짜급57Cm 빅원 외 5짜만 4마리~야호(2…
출항지 : 거제 / 출조지 : 거제
거제야호
26
24분전
거제야호
15:21
[진해] 감성돔흘림 52 44 40 38 36 짜릿한 손맛!! (예약가능…
출항지 : 진해 / 출조지 : 진해
진해왕낚시
52
25분전
진해왕낚시
15:20
[남해] 오래간만에 출조
출항지 : 남해 / 출조지 : 남해
산다라호
11
26분전
산다라호
15:18
[거제] (감성돔)어초권 진입 겨울 빵빵한 대물 공략~3대호(27일 예약…
출항지 : 거제 / 출조지 : 거제
거제3대낚시
18
32분전
거제3대낚시
15:13
[부산] (다대포)촤라라~참돔 부시리떼 손맛 치료 완료~용진호(27일 예…
출항지 : 부산 / 출조지 : 부산
다대포용진호
19
34분전
다대포용진호
15:11
[고성] (로드피싱)원도권 문어도 낙지도 굿굿!제수문어,보양낙지 쭈욱 달…
출항지 : 고성 / 출조지 : 통영
로드피싱
18
35분전
로드피싱
15:10
[진해] 금.토.일 원도권문어 예약가능~ 원도권문어고고!!~
출항지 : 진해 / 출조지 : 거제
진해제네시스호
26
45분전
진해제네시스호
15:00
[진해] 창만호 대물감성돔 50외~낼 예약가능합니다
출항지 : 진해 / 출조지 :
신조선아쿠아호
25
47분전
신조선아쿠아호
14:58
초기화
날짜순
조회순
검색
1
2
3
4
5
Search
검색대상
제목
내용
제목+내용
회원아이디
회원아이디(댓글)
글쓴이
글쓴이(댓글)
또는
그리고
검색어
필수
검색
닫기
검색조건
제목
내용
제목+내용
회원아이디
회원아이디(코)
글쓴이
글쓴이(코)
검색어
또는
그리고
검색
인낚몰 초특가
MAEK 맥 호래기 대바늘 호래기콕 J타입 (카본바디 2입)
어부공방 NEW 호래전
야마시타 SB 호래기 대바늘
★3,000★ 하야부사 6단 볼락 전갱이 카드채비 SD724 볼락채비
★1,000★볼락낚시에 최적인 메바트로볼 - 캐스팅볼, 메바볼
★13,000~★3NO 일본 오리지날 직수입 극강 멀티 무광 마크사 원줄
★500★ W쿠션 멀티 수중찌 M L - 전유동 반유동 끄심바리 필수품 수중쿠션
★5,900★ 여러개 있으면 아주 좋은 EVA 시스템 백
★ 1+1 플로팅, 세미, 카본 낚시줄 행사 호수선택가능 / 택상 1+1 원줄, 목줄 행사
★6,000★ 예민함의 끝판왕 애니원찌 벵에돔찌 학공치찌
★15,000★ 오동목 구멍찌 5개 + 메쉬 찌케이스 세트
★22만원★ 40W 집어등을 이 가격에!