네임
카드
카드
거제대어1호
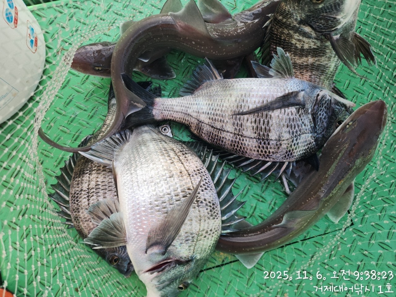
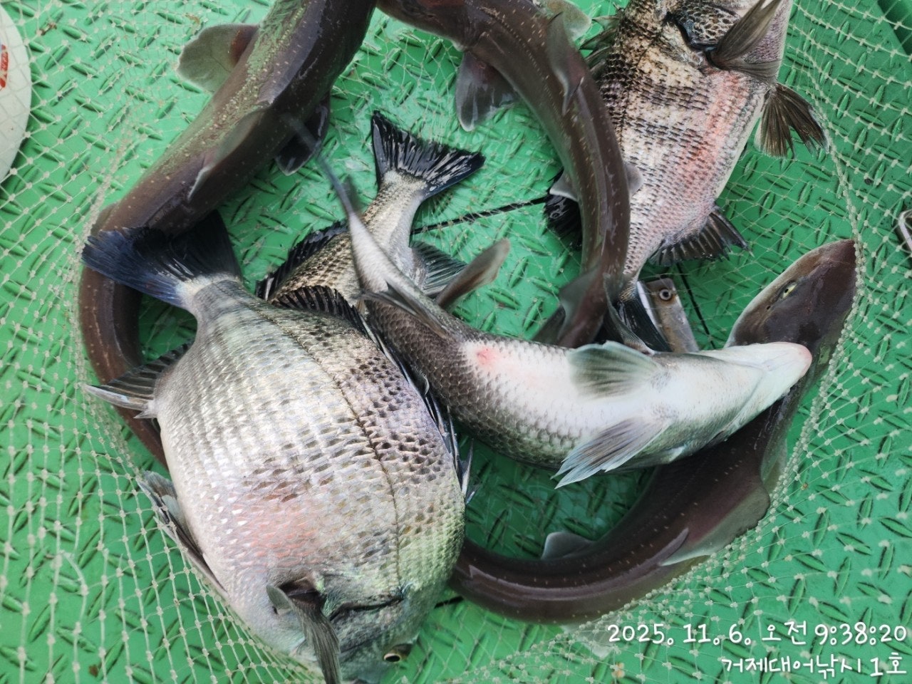
감성돔(실시간) 어초여밭 쭉~쭉~빨고 갑니다~거제대어1호(7일 예약)








문어, 문어낚시, 문어조황, 거제문어낚시, 거제문어낚시배, 문어출조, 감성돔낚시, 감성돔, 감성돔조황, 감성돔출조, 거제도감성돔낚시, 거제도조황, 바다낚시조황, 바다낚시.거제도숙박, 똇마, 거제도뗏마, 낚시체험, 생활낚시, 거제도감성돔, 선상감성돔, 어초여밭, 감성돔어초낚시, 돔낚시, 거제돔낚시, 감성돔출조점, 거제감성돔출조점, 릴찌낚시, 찌낚시감성돔, 감성돔낚시방법, 거제출조점추천, 가족낚시, 흘림낚시, 감성돔채비, 거제대어낚시, 대어낚시, 선외기, 거제도펜션, 낚시펜션, 거제낚시펜션, 참돔낚시, 참돔출조, 참돔조황, 참돔릴