카드





















안녕하세요?
목포목화피싱! 목화낚시
목포갈치낚시 12/10일 출조(평광 행사구역)
목포 쭈갑낚시 출조합니다.
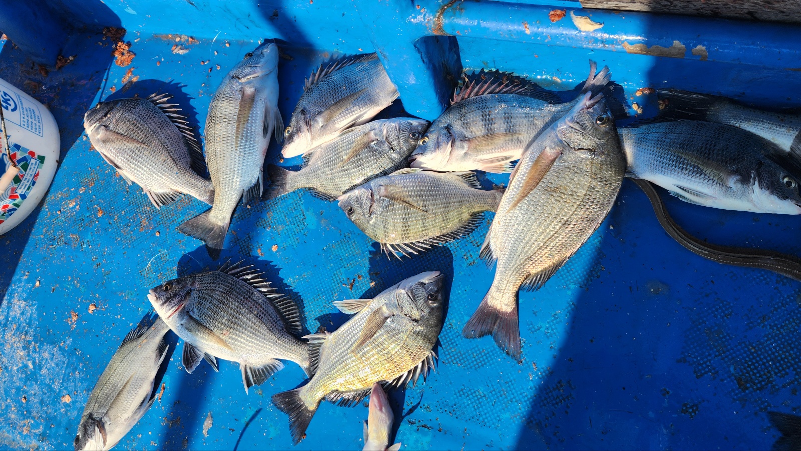
11/05일 목포갈치 몸짓통통 4짜갈치 감성돔낚시 잡아보시오.[목포갈치낚시]
야간갈치 두꺼운 잠바챙기세요.
(목포갈치낚시,목포쭈갑낚시,목포감성돔 찌낚 카고낚시 출조
목포갈치낚시
8월01일~12월 중순까지
선비1인 80.000원
(미끼채비 낚시대2대 간식무료)
목포쭈꾸미낚시
9월/01일 시작
선비 1일 80.000원
{쭈갑낚시 출조합니다.
목포 갑오징어 쭈꾸미낚시
목포민어낚시
5월 중순부터~8월달까지 출조
비박 1박2일 200.000원
(낚시대 미끼별도)[점심무료]
목포 농어 외수질낚시
6월~8월 중순까지
선비1인 150.000원(생새우 미끼포함)
농어 원투낚시
선비1일 100.000원
(낚시대 미끼 채비 별도 점심무료)
신분증 꼭 지참하세요.
단체예약환영합니다.
미리예약하세요.
목포가을 감성돔낚시
선비1일 100.000원
낚시대 미끼채비별도 점심 무료
목화피싱 홈페이지(홈페이지 예약가능)
www. 목화피싱호.kr (예약가능 홈피)
www.목포도다리낚시.kr
(밴드 예약가능)
목포목화갈치낚시
밴드https//band.us/@01063311476
목포목화피싱호,목화낚시
061-284-5329 ★010-6331-1476 매장
010-3126-2251선장님 김형우
목화피싱선단직접운영
9.77톤 22인승 2대
4.99톤 12인승 1대
3톤 7인승 2대
매일출조 문의 주세요
네이비주소 전남 목포시 영산로 801
목포갈치낚시, 목포꾸쭈미낚시, 감성돔낚시, 목포갈치, 체험낚시, 목포배낚시, 목포바다낚시, 목포선상낚시, 목포낚시, 목화피싱, 목화낚시 수정삭제