진해 안골 슬기호 감성돔 내일 두명 예약가능!!
12월 11일(목)
인낚 현재접속자
5,203명 (
328
)
공지사항
인낚도서관
점주선장전용 공지사항
로그인
광고/제휴 문의
운영진에게
인낚ㅣ인터넷바다낚시
인낚몰
0
어종별선상
어종별갯바위
낚시인조황
점주선장조황
출조정보
낚시광장
낚시지식인
낚시교실
중고장터
휴게실
인낚도서관
인낚몰
0
어종별선상
어종별 선상조황
4대돔 조황
먹물 조황
갈치 조황
볼락&전갱이
빅게임 지깅&파핑
외줄&외수질
기타 어종
어종별 갯바위조황
4대돔 조황
먹물 조황
갈치 조황
볼락&전갱이
농어&삼치&방어&부시리
기타 어종
어종별갯바위
어종별 선상조황
4대돔 조황
먹물 조황
갈치 조황
볼락&전갱이
빅게임 지깅&파핑
외줄&외수질
기타 어종
어종별 갯바위조황
4대돔 조황
먹물 조황
갈치 조황
볼락&전갱이
농어&삼치&방어&부시리
기타 어종
낚시인조황
낚시인 번개조황
낚시인조행기
스탭조행기
우리낚시동호회이야기
전국낚시동호회소개
동호회갤러리
지난 조황자료보기(년도별 조황 자료)
점주선장조황
전국 실시간 조황
선상(배)+좌대 조황
갯바위+방파제 조황
점주선장전용 공지사항
지난 조황자료보기(년도별 조황 자료)
출조정보
낚시인동행출조
점주선장 갯바위 출조
점주선장 선상출조
기상파고정보(기상청)
해상예보
물때표
파고예보(일본)
실시간해양관측예보
스마트조석예보
낚시광장
낚시계뉴스
대회 및 낚시관련 홍보
제품평가단
신상품소개
낚시지식인
Q&A 묻고 답하기
조황/포인트 문의
주간 베스트
낚시용품 사용기
낚시투표
토론방
新어류도감
낚시교실
낚시기법소개
어종별 낚시교실
입문자교실
중급자교실
낚시용어사전
중고장터
중고장터 이용후기
더치트 사기피해 검색
팝니다
삽니다
교환합시다
무료로 드립니다
부품팝니다
부품삽니다
일반 생활용품 사고 팔기
휴게실
출석부
낚시갤러리
세상사는 이야기(자유게시판)
낚시이야기 마당
먹고사는 이야기
구인구직
칭찬합니다
어째이런일이
습득물 찾기
메인
어종별선상
어종별갯바위
낚시인조황
점주선장조황
출조정보
낚시광장
낚시지식인
낚시교실
중고장터
휴게실
0
전국 실시간 조황
선상(배)+좌대 조황
갯바위+방파제 조황
점주선장전용 공지사항
지난 조황자료보기(년도별 조황 자료)
점주/선장 >
선상 + 좌대 조황
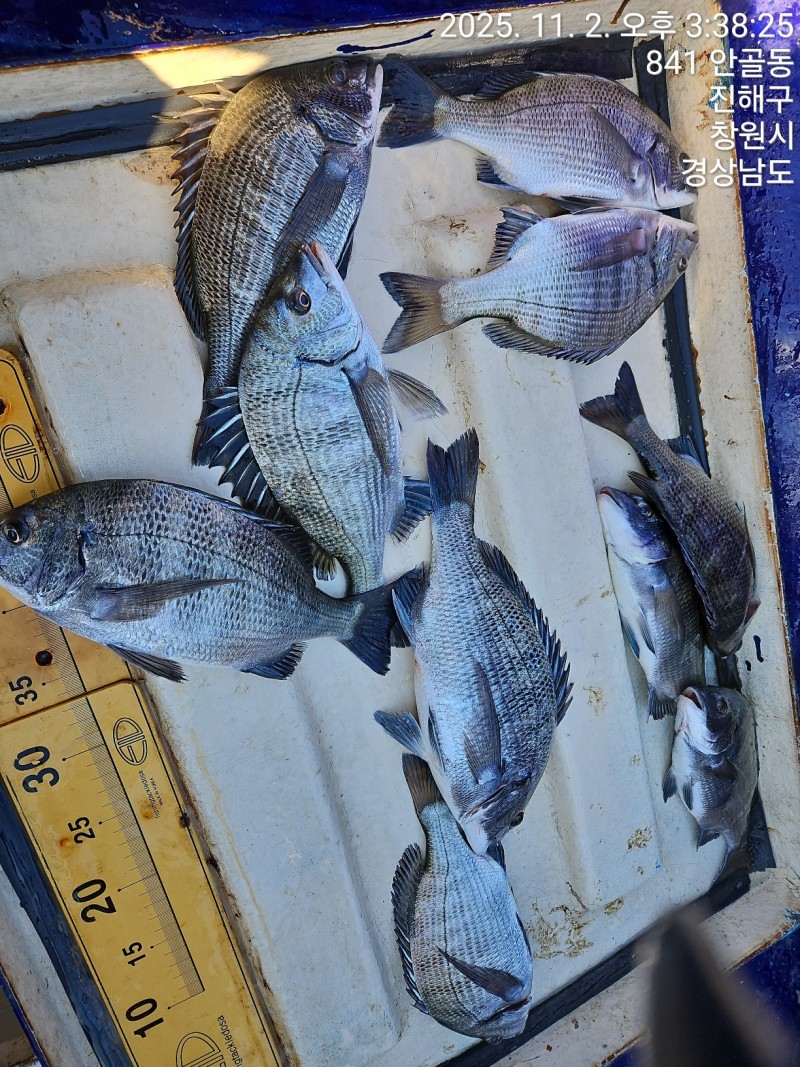
진해 안골 슬기호 감성돔 내일 두명 예약가능!!
진해안골슬기호
0
98
11.02 20:03
● 출항지 : 진해
● 출조지 : 진해
● 출조인원 : 3~5명
네임
카드
진해안골슬기호
진해구 안골로 89번길15(에쿠스낚시점)
01038487145
실시간 예약
홈페이지
밴드 바로가기
유튜브/SNS
안녕하십니까~
진해 안골 슬기호 선장 천길수입니다.
금일 감성돔 조항 입니다
방문해주신 조사님 수고많으셧습니다
감사합니다~
신분증 지참해주시고 주류반입은 불가합니다
3.15톤 (선장포함 9명 )
주소
진해구 안골로 89번길 15 (에쿠스낚시점)
예약문의
010 3848 7145
천길수
0
신고
목록
0
댓글
로그인한 회원만 댓글 등록이 가능합니다.
×
Image Upload
로그인한 회원만 등록가능합니다.
포토
제목
이름
날짜
[사천] 삼천포 광용호 알쭈꾸미 출조합니다~! 주말예약중
출항지 : 사천 / 출조지 : 사천
광용호
1
2분전
광용호
11:42
[진해] 10일 야간낙지 왕낙지들 쭉쭉~!!문어,쭈꾸미까지~!!(금,토,…
출항지 : 진해 / 출조지 : 진해
진해라코피싱
43
5분전
진해라코피싱
11:40
[사천] 금요일부터 쭈꾸미주서담으러갑니다
출항지 : 사천 / 출조지 :
도리스피싱
3
6분전
도리스피싱
11:39
[통영] 새벽에 대치들의 폭풍입질...1타 5피...줄을 태웁니다..쿨러…
출항지 : 통영 / 출조지 :
통영씨프랜드호
16
11분전
통영씨프랜드호
11:34
[진해] 감성돔 어초여밭흘림 4짜4짜4짜외 10일 조황 토요일출조예약받습…
출항지 : 진해 / 출조지 : 진해
혜인호
14
14분전
혜인호
11:31
[통영] ((뽈락.왕열기))간밤 곰발왕뽈 ㆍ신짝왕열기 쿨러잇빠이. 토요일…
출항지 : 통영 / 출조지 :
통영짱낚시
229
20분전
통영짱낚시
11:25
[부산] 부산 뉴금성호 12월10일 왕열기조황
출항지 : 부산 / 출조지 :
뉴금성
13
23분전
뉴금성
11:22
[통영] 통영 송현호))실시간 돌문어 1.7K외 덩치들로~
출항지 : 통영 / 출조지 :
통영송현피싱
8
28분전
통영송현피싱
11:17
[마산] 호래기 힘드네요.
출항지 : 마산 / 출조지 : 마산
원더풀피싱호
33
29분전
원더풀피싱호
11:16
1
[거제] 감성돔 빵좋은4짜들 연일 마리수 퍽퍽합니다.내일예약가능
1
출항지 : 거제 / 출조지 : 거제
거제오로라호
19
30분전
거제오로라호
11:14
[진해] [신조선]원도권문어1.9k1.5k1.3l1.2k급개인두자리수굿~…
출항지 : 진해 / 출조지 : 진해
뉴해경피싱
16
31분전
뉴해경피싱
11:13
[진해] 12월10일 감성돔(흘림) 4짜 4짜 외 우당탕 마리수 조황~…
출항지 : 진해 / 출조지 : 진해
진해에이스호
21
32분전
진해에이스호
11:13
[사천] 내일 쭈꾸미 출조합니다 선비 5만원 주말도 출조합니다
출항지 : 사천 / 출조지 :
사천뉴경원2호
11
32분전
사천뉴경원2호
11:12
[진해] 안골) 감성돔 흘림 빅사이즈 마릿수 최신 굳굳조황 - 금욜출조 …
출항지 : 진해 / 출조지 : 진해
진해테라호
12
32분전
진해테라호
11:12
[진해] 진해더블피싱 참돔타이라바 10수욜 3자리수 철수조황
출항지 : 진해 / 출조지 :
진해더블피싱
12
33분전
진해더블피싱
11:11
초기화
날짜순
조회순
검색
1
2
3
4
5
Search
검색대상
제목
내용
제목+내용
회원아이디
회원아이디(댓글)
글쓴이
글쓴이(댓글)
또는
그리고
검색어
필수
검색
닫기
검색조건
제목
내용
제목+내용
회원아이디
회원아이디(코)
글쓴이
글쓴이(코)
검색어
또는
그리고
검색
인낚몰 초특가
★500★ W쿠션 멀티 수중찌 M L - 전유동 반유동 끄심바리 필수품 수중쿠션
★5,900★ 여러개 있으면 아주 좋은 EVA 시스템 백
★ 1+1 플로팅, 세미, 카본 낚시줄 행사 호수선택가능 / 택상 1+1 원줄, 목줄 행사
★6,000★ 예민함의 끝판왕 애니원찌 벵에돔찌 학공치찌
★15,000★ 오동목 구멍찌 5개 + 메쉬 찌케이스 세트
★22만원★ 40W 집어등을 이 가격에!
★5,000★ 전층쿠션 15세트입 S / L 사이즈
★2,000★ 전층쿠션 5세트입 S / L 사이즈
★10,000 미니집어등5개 + 425배터리 1개 + 스토퍼고무 10개
★13,500 深海 심해대물 갈치집어등 3개 5LED 오색 집어등 갈치낚시 필수품 건전지3개 포함 수중집어등
★9,900★ 수제공방 갈치 풀치 잔치세트 짬낚시 필수 하나로 끝
★8,650~★ 아부가르시아 카치카치다마 유동식 타이라바 - 80g / 100g / 120g / 140g