진해안골프로낚시 카고감성돔 조황

신상품 소개


회원 랭킹


공지사항


NaverBand
점주/선장 > 선상 + 좌대 조황

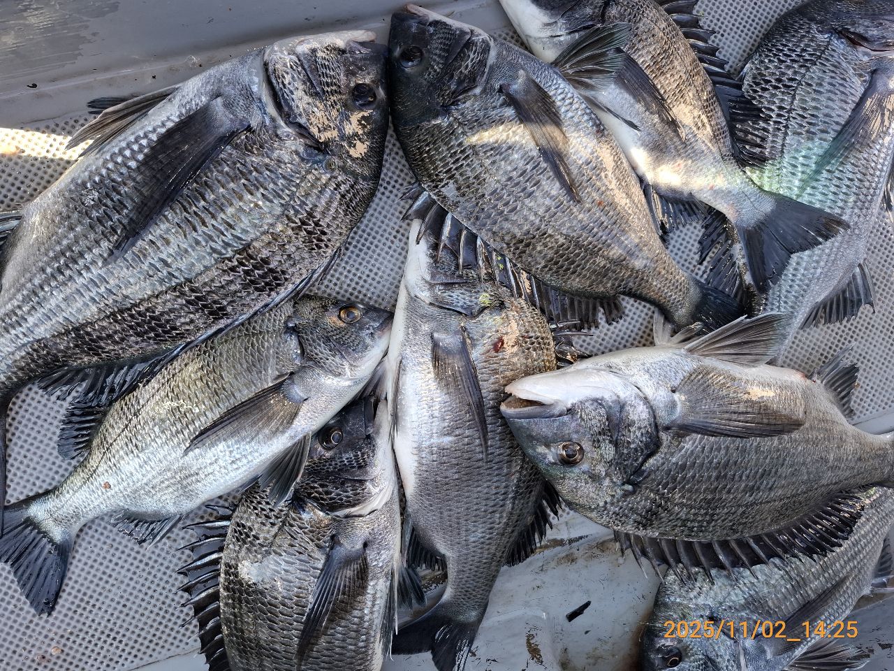
진해안골프로낚시 카고감성돔 조황

안골프로낚시 0 111
● 출항지 : 진해

안녕하세요

진해안골프로낚시 입니다

오늘도 조사님들이 손맛 제대로 보고가셨습니다

추운날씨에도 고생하셨습니다 

내일 자리있습니다

연락주세요~


010 4546 2119


  • 페이스북으로 보내기
  • 트위터로 보내기
  • 구글플러스로 보내기
  • 카카오스토리로 보내기
  • 네이버밴드로 보내기
  • 네이버로 보내기
  • 텀블러로 보내기
  • 핀터레스트로 보내기
0 댓글
포토 제목
 
 

인낚 최신글


인낚 최신댓글


온라인 문의 안내


월~금 : 9:00 ~ 18:00
토/일/공휴일 휴무
점심시간 : 12:00 ~ 13:00