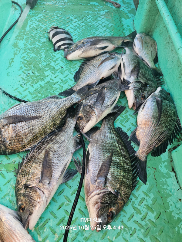
[거제~FM 피싱호 ~감성돔흘림]~내일도 감시를 찿아서 가볼까합니다 ㅡ같이할 조사님들 전화주세요.