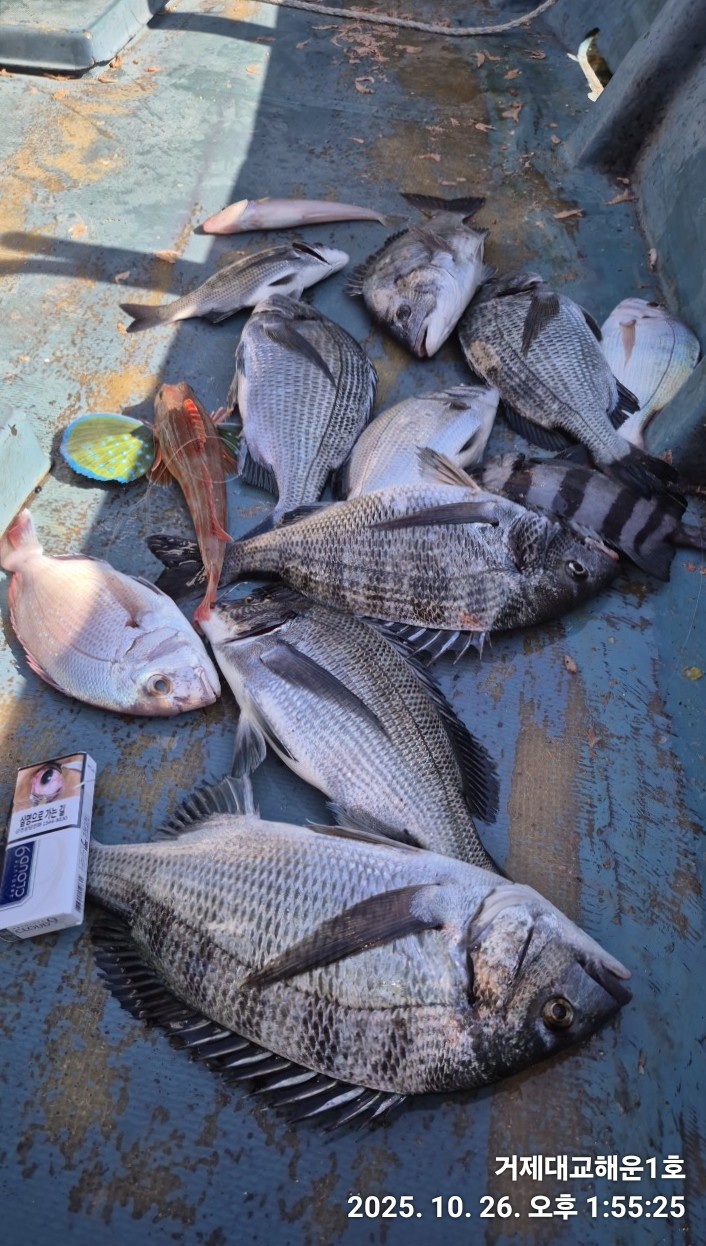
어초여밭 감성돔 흘림~~(28일에약)

신상품 소개


회원 랭킹


공지사항


NaverBand
점주/선장 > 선상 + 좌대 조황

어초여밭 감성돔 흘림~~(28일에약)

거제대교해운1호 0 107
● 출항지 : 거제 ● 출조지 : 거제
밴드 바로가기
2025년 10월 26일 (일요일.13물)
#감성돔조황, #감성돔선상낚시, #감성돔흘림낚시, #흘림독배
#감성돔낚시 #거제대교해운1호 
#내일흘림낚시예약가능합니다!! 
며칠째 바람이 부는지 ...
손맛좋은 감성돔 사냥하실라꼬  #흘림독배로  찾아주신 조사님들 모시고 출조 다녀왔습니다 ~~
하염없이 부는 바람속에  감성돔 몇수하고 철수했습니다 ~~
함께 해 주신  조사님들께 감사드리고 수고 많으셨습니다 ~~
#내일예약가능합니다 ~~
☆☆ 감성돔낚시 출조 안내 ☆☆
거제도 내만 감성돔 승율있는 최상급 포인트 안내~
        ☆출  조  시  간☆ 
●새벽06시00분~오후1시반철수 ●
  (철수시간 상황따라 변경될수있음)
●흘림오전낚시 선비는
              8만원입니다 ●
●흘림종일낚시 선비는  
             11만원입니다!! ●
●카고종일낚시 선비는      
              12만원입니다 ●
●생활낚시  선비 6만원이며~시긴은  3시간~~4시간 정도 하는  낚시입니다~
■독배 예약 선비는  60만원입니다■
- 생수,커피,  밑밥, 미끼제공
- 대체 미끼는 개인 지참.
(흘림시  개인대체미끼 경단,옥수수         
           준비해서  오세요)
(카고시  개인카고 봉돌30호  
           여유있게 준비해서 오세요)
※신분증,구명복 필수 준비해 오세요.    ※배에서 음주는 법적으로 금지되어 있습니다!

▦해운호 ☎010-9169-4266
                  010-9023-1487(사모)
(출항지) 거제시 사등면 덕호해안길 
                108번지
 ■ 예약 :수협2020.4128.8814 
              오재석(선장) ■
      ■ 농협352.0069.5176.03 
               진정미 (사모)■
밴드주소:https://band.us/@hyun6335

#거제대교해운1호 #거제광리항  #선상에서즐기는  #싱싱한회파티
#철수후즐기는  #뒷풀이는  #싱싱한회와함께 #맛난집밥
 #감성돔선상낚시,  #감성돔조황,  #오선장 #감성돔출조,  
#감성돔카고낚시 #감성돔흘림낚시,

  • 페이스북으로 보내기
  • 트위터로 보내기
  • 구글플러스로 보내기
  • 카카오스토리로 보내기
  • 네이버밴드로 보내기
  • 네이버로 보내기
  • 텀블러로 보내기
  • 핀터레스트로 보내기
0 댓글
포토 제목
 
 

인낚 최신글


인낚 최신댓글


온라인 문의 안내


월~금 : 9:00 ~ 18:00
토/일/공휴일 휴무
점심시간 : 12:00 ~ 13:00