노빠꾸 20일,21일 4짜4짜4짜외 마릿수!!!







전국에 계신 인낚 회원 여러분
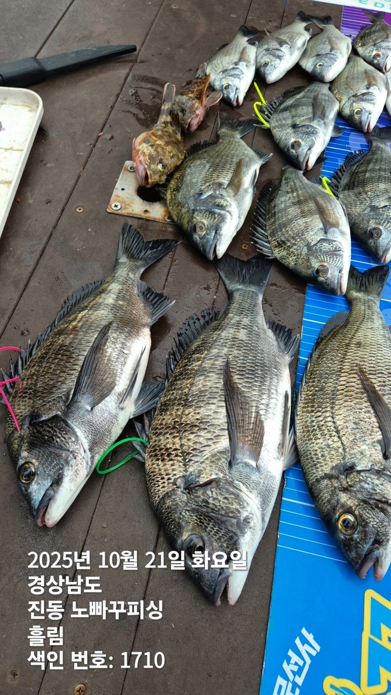
안녕하십니까 진동 광암항에 있는
노빠꾸피싱 입니다^^
●오늘 조황 안내●
20일, 21일
4짜외 중치급들 마릿수 조황입니다.
터지고 벗겨지고 여러번..
매일 출항합니다.
주말 취소로
토요일 2자리
일요일 5자리
가능합니다.
감사합니다!!
예약문의: 010 9372 7047 (선장)
부재시: 010 4947 0901 로연락주세요.
■■ 예약문의는 꼭 전화로 주세요.
간혹 문자를 잘 확인을못합니다.
새벽에도 괜찮으니 전화주시면 친절히 받겠습니다^^
■■
쭈~~~~욱 예약가능합니다
또한 저희 밴드 회원이 되셔서
좀더 디테일하고 빠른 조항정보를 나누실수있게
아래 링크로 가입해주시면 감사하겠습니다.
https://band.us/@noppaggu
꾼에입장에서 항상 생각하고 움직이는
최선을다하는 노빠꾸>> 가되겠습니다.

|
|
|
|

