네임
카드
카드
거제하하피싱
거제시 사등면 성포로3길
50
010-6525-0540
거제시 사등면 성포로3길
50
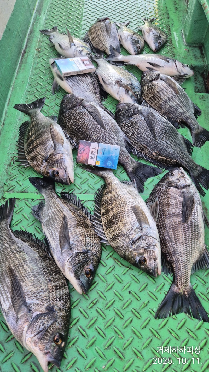
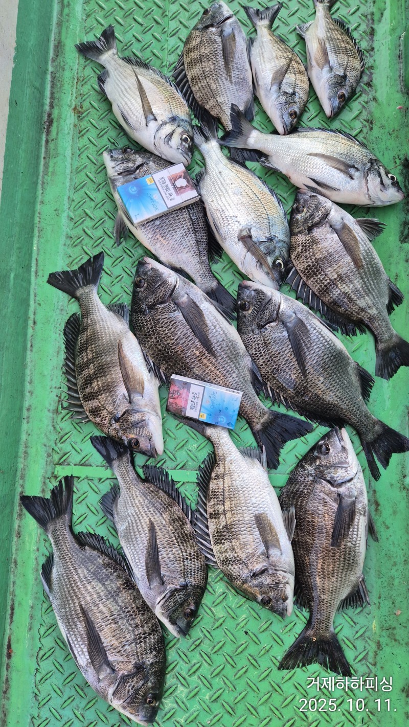
청명한 가을하늘아래 6분모시고
몇자리 흘리고 왔습니다.
따문따문 퍽퍽....
물색이 많이 돌아왔네요..
9방터트리고 벗겨지고..
39이하 35전후들... 2짜 2수...전원손맛...
다녀가신 분들 수고하셨습니다.
낼 예약가능합니다.
감사합니다.
거제시 사등면 성포로3길50
010 6525 0540
|
|
|
|



