네임
카드
카드
이루마호
경남 창원시 진해구 제덕동 제덕선착장
010-8416-7961
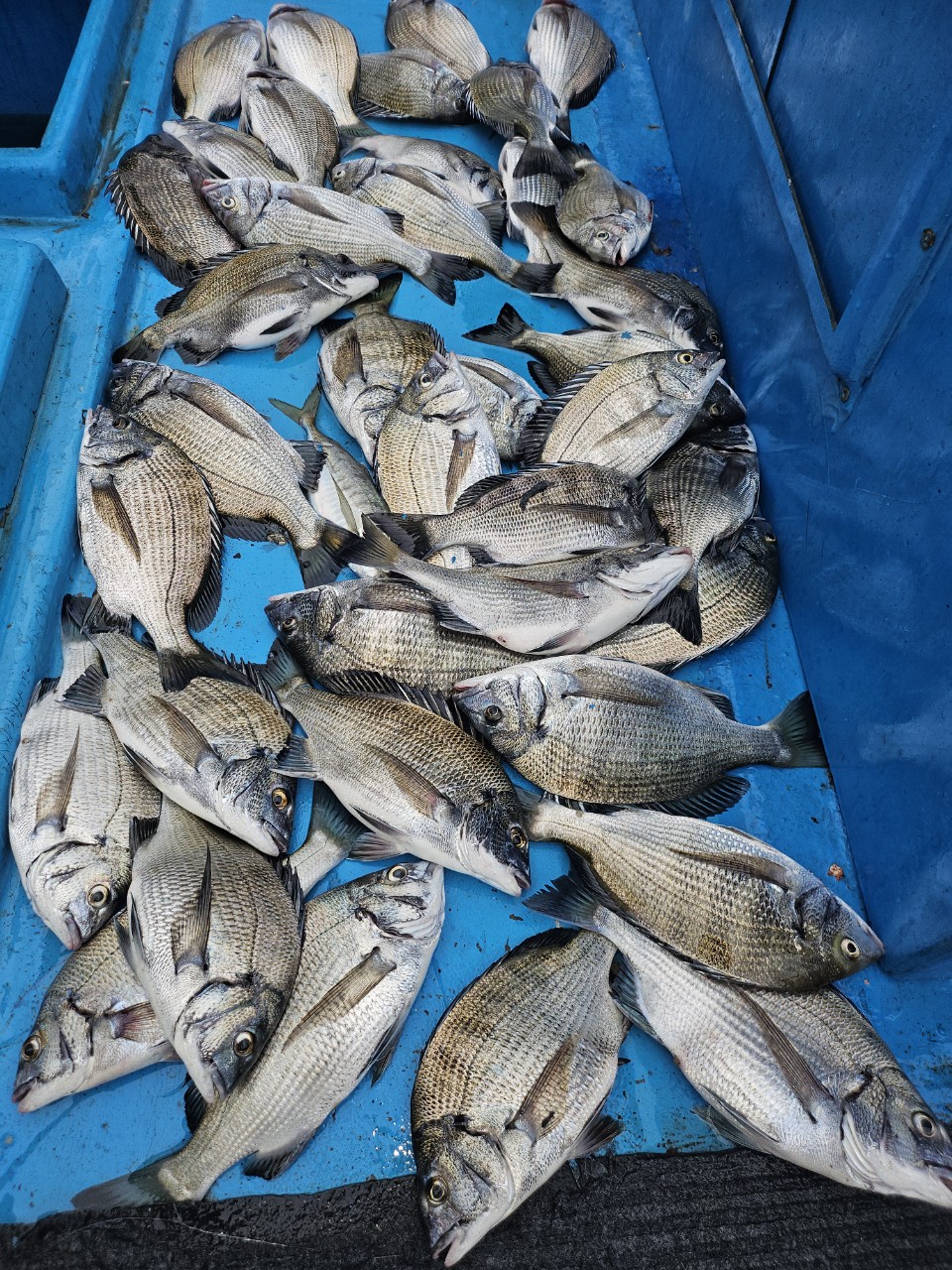
감성돔 선상 흘림 이루마호 조황
경남 창원시 진해구 제덕동 제덕선착장
☆☆☆☆감성돔 맛집 이루마호 조황☆☆☆☆


감성돔 조황입니다
사이즈랑 마릿수 더 자세한 사진은 밴드 오시면 됩니다.
출조시간 및 문의사항 전화주세요!!!
감성돔 대박 행진 이어가실 조사님
예약 문의 아래로!!
문의 연락처
010 8416 7961
밴드 오시면 빠른 조황 확인도 가능합니다
https://band.us/band/89938721
입금계좌. 수협(이현석)
202050338973
선입금확인후예약완료
구명조끼 필수 (선내비치)
음주자 탑승 불가
신분증 필수

|
|
|
|

