카드
부산시 강서구 가덕해안로781-1
부산시 강서구 가덕해안로781-1
저는 가덕도에서 봄,여름,가을,겨울,시즌에 맞는 선상낚시만을 전문으로 하고 있습니다
다자바피싱 흥개미호 선장 : 서 동근 입니다
절대 허위조황은 올리지 않겠습니다
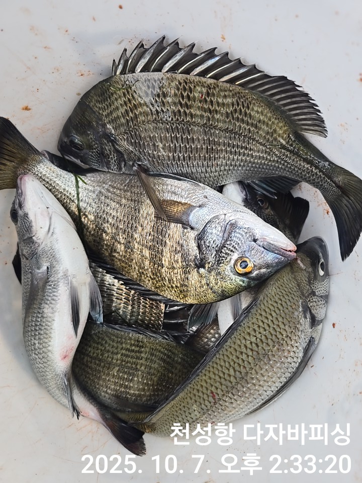
2025년 10월 07일 선상카고 감성돔 조황 입니다
잔잔한 손맛이 그리운 조사님들 예약 전화 주세요
남여노소,가족,단체,한분도 최선을 다해 최고의 포인트로 모시겠습니다
한분이라도 항상 출항을 하니 부담없이 전화주세요.
돌문어
출항:오전, 06:00분 (05:30)분 까지 가게에 도착
입항:오후, 12시, 전,후,유동적 입니다
내만칼치
출항:저녁,6:30분 (6:00)분 까지 가게에 도착
월요일:자리 있습니다
화요일:자리 있습니다
수요일:자리 있습니다
목요일:자리 있습니다
금요일:자리 있습니다
토요일:자리 있습니다
일요일:자리 있습니다
선비
* 돌문어,내만칼치
1인당:70,000원
컵라면,음료수, 생수는 항상 준비 돼어 있습니다
*감성돔 선상카고
1인당 12만원
중식제공(밑밥,백크릴) 포함
죄송하지만 예약은 선입금 하셔야만 예약완료 됩니다
말없이 펑크 내는분들이 많아서ㅠㅠㅠㅠㅠㅠㅠ
입금계좌: 수협:0010-4555-3342 입니다
예금주 : 서 동근 입니다
예약전화 : 010-4555-3342
예약하시는 분은 중복돼지 않게 문자 남겨주시면 감사하겠습니다
(예) 홍 길동 00월 00일 예약 입금완료,
바쁘다보면 자꾸 까먹어요
구명조끼는 필수
선상내 *술*절대 반임금지*음주행위
▼ 가덕흥개미호 찾아오시는 길 ■ 마우스로 지도 확대/축소 위성/일반지도로 변경하세요
▼ 가덕흥개미호
▼ 가덕흥개미호
|
|
|
|





