하동 피싱호 어제 조황입니다

신상품 소개


회원 랭킹


공지사항


NaverBand
점주/선장 > 선상 + 좌대 조황

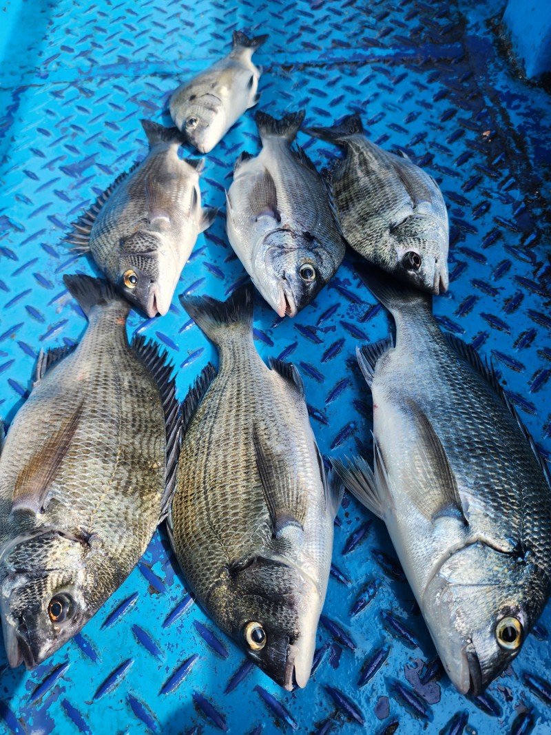
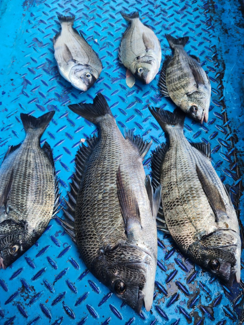
하동 피싱호 어제 조황입니다

하동피싱호 0 202
● 출항지 : 남해

37e8f823b0928f4b9d1e6d5975fda97d_1759721430_6609.jpg
피싱호를 이용해 주신 조우님 대단히 감사합니다 즐겁고 행복이 가득한 한가위 되세요 손님 두분과 함께 오붓하게 한작대기 다녀왔습니다 화수목 계속 출조합니다 함께하실분 연락주세요 010 4850 1644 부재시 010 4555 1423 


37e8f823b0928f4b9d1e6d5975fda97d_1759721433_8092.jpg



 

  • 페이스북으로 보내기
  • 트위터로 보내기
  • 구글플러스로 보내기
  • 카카오스토리로 보내기
  • 네이버밴드로 보내기
  • 네이버로 보내기
  • 텀블러로 보내기
  • 핀터레스트로 보내기
0 댓글
포토 제목
 
 

인낚 최신글


인낚 최신댓글


온라인 문의 안내


월~금 : 9:00 ~ 18:00
토/일/공휴일 휴무
점심시간 : 12:00 ~ 13:00