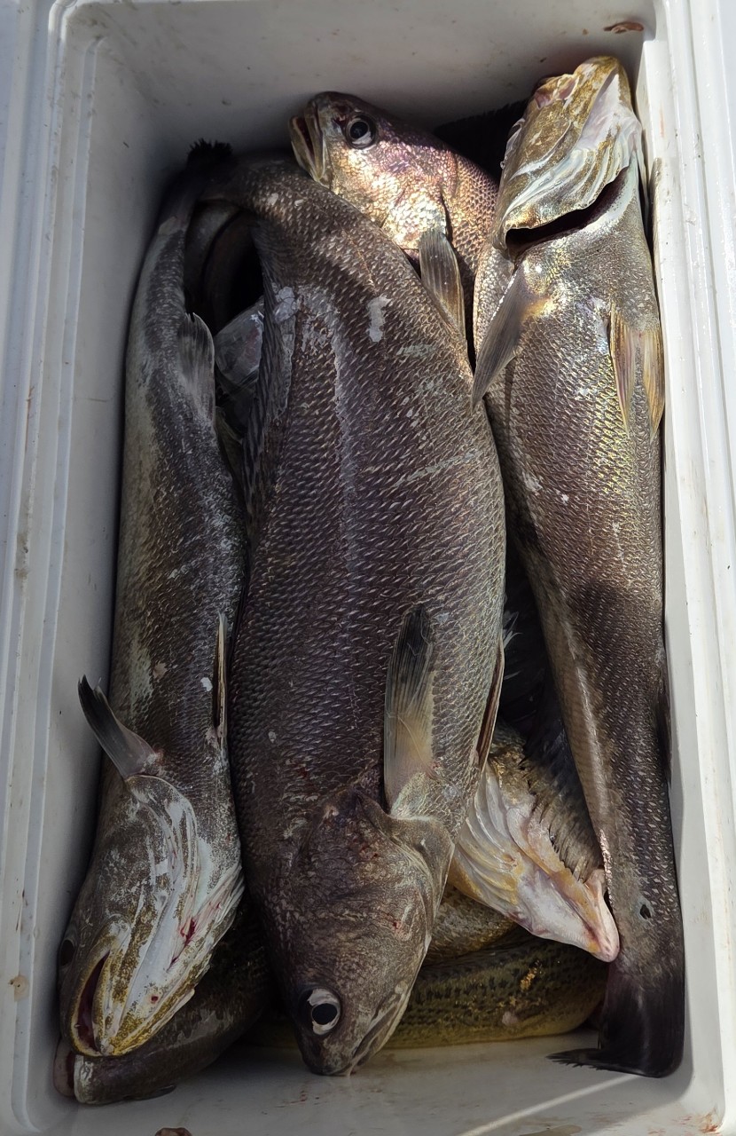
[격포 블루마린호] 10/4 민어 마릿수 조황10.4일 블루마린호 민어 마릿수 조황입니다.
가을이 오면서 민어 마릿수가
잘 나오네요 대물은 2방 터지고 7짜몇수
6짜 5짜가 마릿수로 잘 나와주었네요.
연휴라 초보분들이 많이 계셨는데도
잘 잡으셨습니다.
4짜미만은 방생이나 쿨러직행 하고
재밌게 낚시하셨네요.
토요일 민어 출조합니다.
내일(10/6)은 갑오징어 출조합니다.
예약, 문의: 격포와따피싱 010-6792-9394
예약하시는 곳: https://waddafishing.kr
밴드: https://www.band.us/band/71286153
|
|
|
|











