카드
거제시남부면 저구리 216-11 매물도유람선주차장
거제시남부면 저구리 216-11 매물도유람선주차장
#조항사항
9/30일 화요일
구을비도 갯바위 소수인으로
다녀왔습니다.
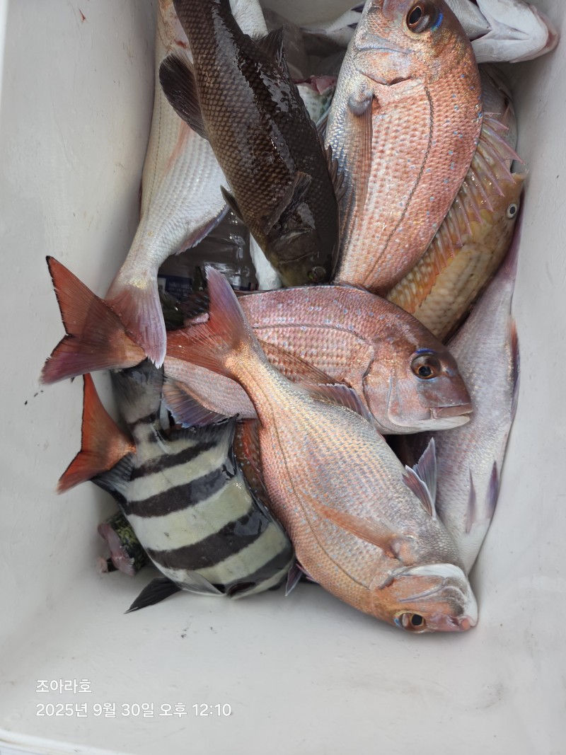
동풍에 고등어만 잡들만 물때고
동풍피하는곳 이동하여 소매물도
선상흘림 수심35매다 갯바위 파우다
밑밥으로 집어가 아쉬운데 총을
여러번...반찬거리 상사리로
아쉬움으로 철수하였습니다.
밤낚시에 수고많았습니다.
오느날싸가 남서북서 날씨가
좋습니다.
10월1일 칼치출조 합니다.
같이출조하실분 연락주세요.
10월4일 토요일 선상흘림 모집합니다.
칼치낚시 3명이상시 무조건 출항.
조아라 낚시모든장르 출조인원조건
되면 출조합니다.
출조문의 010 3870 7430
선 착 장 : 거제시남부면 저구리
(매물도유람선주차장)216-11번지
조아라호 : 9.77돈 승선22명 >>>증감
(12명선장포함 낚시승선인원 11명)
펜션 : 낚시 매니아님위해 펜션
1박 이용료
낚시인 20,000/1인당
조아라호 이용시 10,000/1인당
(휴가기간 8월31일 까지 성수기
5,000원,여조사님 호실별도
이용시 증감)
펜션최대 한호실 7명 수용가능합니다.
가족펜션이용시 일반인 사전예약요.
실내,화장실까지 All편백나무로
설비되어 깔끔하고 쾌적합니다.
바배큐 : ㅡ.가스바배큐 조리
ㅡ.홍기 훈연 바배큐 조리
조리시간 약1시간20분
(조리기이용시 사전예약)
기타:수도 지하수 생선손질하기
탁월합니다.(생선대가리.비늘등)
텃밭에 무더주시면 좋겠습니다.
텃밭 야채필요하신분은 집주인
에게 부탁하시면 먹을많큼 수확
하여 드립니다.
스래기 분리부탁 드립니다.
많은성원과 협조바랍니다.
감사합니다.
Ps : 마끼 미끼 등은 준비해
오시기바랍니다.
감사드립니다 ~~~^^
계좌번호 부산은행 010 3870 7430
(조아라펜션) 김영도
예약은펜션및선비선입금우선순서로예약합니다.
#조아라(호)피싱 #조아라펜션 #매물도유람선 #국도 #구을비도
#참돔타이라바 #소구을비도 #간여 #남해안(저구) #낚시펜션
#홍도부시리 #홍도선상흘림. #안경섬선상흘림 #국도 #간여 #공지사
#전망좋은펜션 #펜션독채 #갯벌체험
#조아라피싱.kr
#조아라펜션.kr
출조문의전화 010 - 3870 - 430
조아라캡틴 김영도 # #조황사항
|
|
|
|





