[안녕하세요~! 다대포 낫개 선상 전문 <오GO피싱> 입니다.]
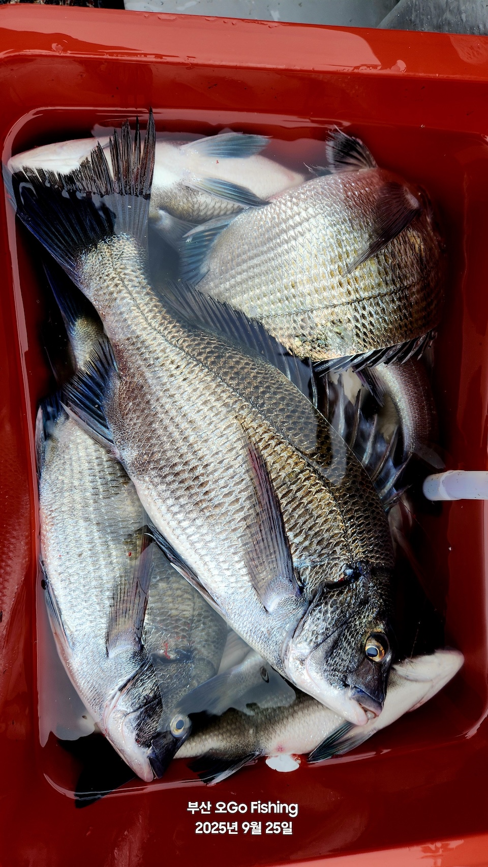
**09월 25일 목요일 11물**
감성돔 선상 조황입니다.
:::
:::
:::
++ 일정/조황/정보 공유하기 ++
<오GO피싱> 밴드
https://band.us/band/88348442
스마트한~ <오고피씽> 앱(APP), 다운받고 혜택누리자~!
**스탬프 적립, 각종 쿠폰 발행, 낚시 미니 게임 등등~!**
예약 문의 : 010-3597-4100
**부산,다대,낫개,선상전문,오고피씽**
**돌문어,감성돔,참돔,뱅에돔,한치,갈치**
