카드
경상남도 고성군 하일면 동화1길 192-37
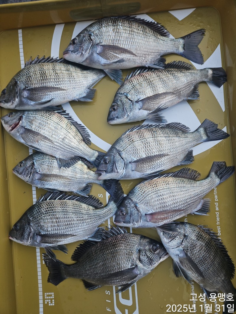
금일 어초 흘림 조황 입니다.
경상남도 고성군 하일면 동화1길 192-37


@@ 참돔 선상 흘림@@
@@감성돔 선상 흘림@@
@@돌문어 선상 낚시@@
고성 용맹호 입니다.
금요일 사량도 어초 흘림 조황 입니다.
슬슬 나오기 시작 합니다.
내일은 비가 잡혀 있어 출항 안하는게
조사님들 살리는 길 같습니다.
일요일 부터 다시 달립니다.
마리수와 씨알 기대해 봅니다.
계획 잡으시고 언제든 전화 주십시요.
감성돔 꾸준히 나와 주고 있습니다.
쭉~~~어초 감성돔 출항 합니다.
주말 연휴땐 조금 빠른 예약 부탁드립니다.
함께 하실 조사님 언제든 전화 주십시요.
용맹호는 4.99톤으로
탑승인원12명(선장포함)으로
흘림 낚시는 8분까지 모십니다.
널널 하게 낚시를
즐길수 있습니다.
언제든 전화 주십시요.
##참돔 선비##
나무여ㆍ두미도 12만원
(밑밥ㆍ미끼 포함)
욕지권 12만원
(밑밥ㆍ미끼 포함)
##감성돔 선비##
사량권 10 만원
(밑밥ㆍ미끼 포함ㆍ도시락&라면
ㆍ생수ㆍ커피제공)
~~~~~돌문어 선비~~~~~
(종일)오전5시~오후5까지
11만원
(주간)오전5시~오후2시까지
7만원
(야간)오후3시~오후10~11시까지
7만원
##식사는 간단히 문어 라면 제공##
##시원한 생수ㆍ캔커피ㆍ음료 제공##
~~~예약 현황~~~
일요일
예약 완료
월요일
4자리 여유
평일 낚시 자리 널널 합니다.
주말이나 연휴때는
조금 빠른 예약 부탁드립니다.
##돌문어선비##
주간ㆍ야간 7만원 입니다.
종일낚시 11만원 입니다.
@@음료ㆍ생수ㆍ커피 제공@@
@@ 문어 라면@@
##준비물##
궁금하실땐
선장폰으로 전화 주세용~~
입금후 바로 예약 완료 됩니다.^^
##입금 계좌##
경남 은행 (김옥수)
523~21~0229889
#####출조 문의#####
선장폰:010~5390~9008
문자 보다는 전화 주십시요.
#용맹호는 5톤으로 선장포함 12명 탑승#
널널하게 낚시 하실수 있습니다.
#출조 계획있는 조사님들은 빠른 연락 기다립니다
##신분증 지참ㆍ구명복은 필수##
선내 주류 반입금지
####네비주소####
고성군 하일면 동화1길 192-37
@밴드에 가입 하시면 빠른 조황 확인가능합니다.
고성 용맹호로 검색하셔도 됩니다.
https://band.us/band/
고성동화마을 용맹호
9
|
|
|
|

