카드
경상남도 고성군 하일면 동화1길 192-37
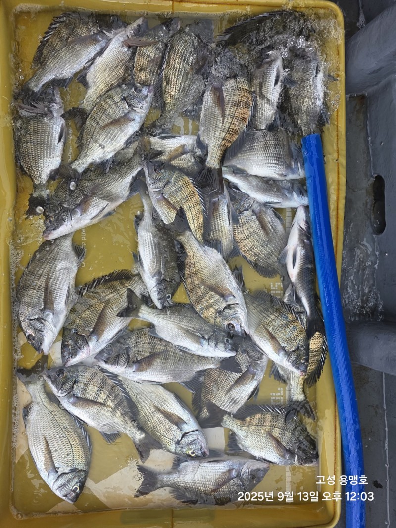
토요일 사량도 어초 감성돔 흘림 출항 합니다.자리여유 있습니다.
경상남도 고성군 하일면 동화1길 192-37




감성돔 선상 흘림
참돔 선상 흘림
토요일 감성돔 어초 흘림 출항 합니다.
내만은 씨알이 아쉬워서 낼은 사량도 어초로
나갑니다.
사이즈 좋은 놈들 나올꺼라 봅니다.
자리 여유 있습니다.
이제 가을감생이 손맛보러 가시죠.
함께 하실 조사님 언제든 전화 주십시요.
용맹호는 4.99톤으로
흘림은 7분까지 모십니다.
~~~~~ 선비~~~~~
@@참돔 12만원@@
@@욕지권 참돔 13만원@@
@@감성돔 10만원@@
##시원한 생수ㆍ캔커피ㆍ음료 제공##
~~~예약 현황~~~
토요일
자리 여유
일요일
예약 완료
추석 연휴기간 예약 받습니다.
조금 빠른 예약 부탁드립니다.
##돌문어선비##
주간ㆍ야간 7만원 입니다.
종일낚시 11만원 입니다.
@@음료ㆍ생수ㆍ커피 제공@@
##준비물##
궁금하실땐
선장폰으로 전화 주세용~~
입금후 바로 예약 완료 됩니다.^^
##입금 계좌##
경남 은행 (김옥수)
523~21~0229889
#####출조 문의#####
선장폰:010~5390~9008
문자 보다는 전화 주십시요.
#용맹호는 5톤으로 선장포함 12명 탑승#
널널하게 낚시 하실수 있습니다.
#출조 계획있는 조사님들은 빠른 연락 기다립니다
##신분증 지참ㆍ구명복은 필수##
선내 주류 반입금지
####네비주소####
고성군 하일면 동화1길 192-37
@밴드에 가입 하시면 빠른 조황 확인가능합니다.
고성 용맹호로 검색하셔도 됩니다.
https://band.us/band/
고성동화마을 용맹호
|
|
|
|

