(오전낚시)감성돔 조황 중치급들 당찬 손맛~가고파호(16일 예약)

신상품 소개


회원 랭킹


공지사항


NaverBand
점주/선장 > 선상 + 좌대 조황

(오전낚시)감성돔 조황 중치급들 당찬 손맛~가고파호(16일 예약)

거제가고파 0 87
● 출항지 : 거제
홈페이지 밴드 바로가기
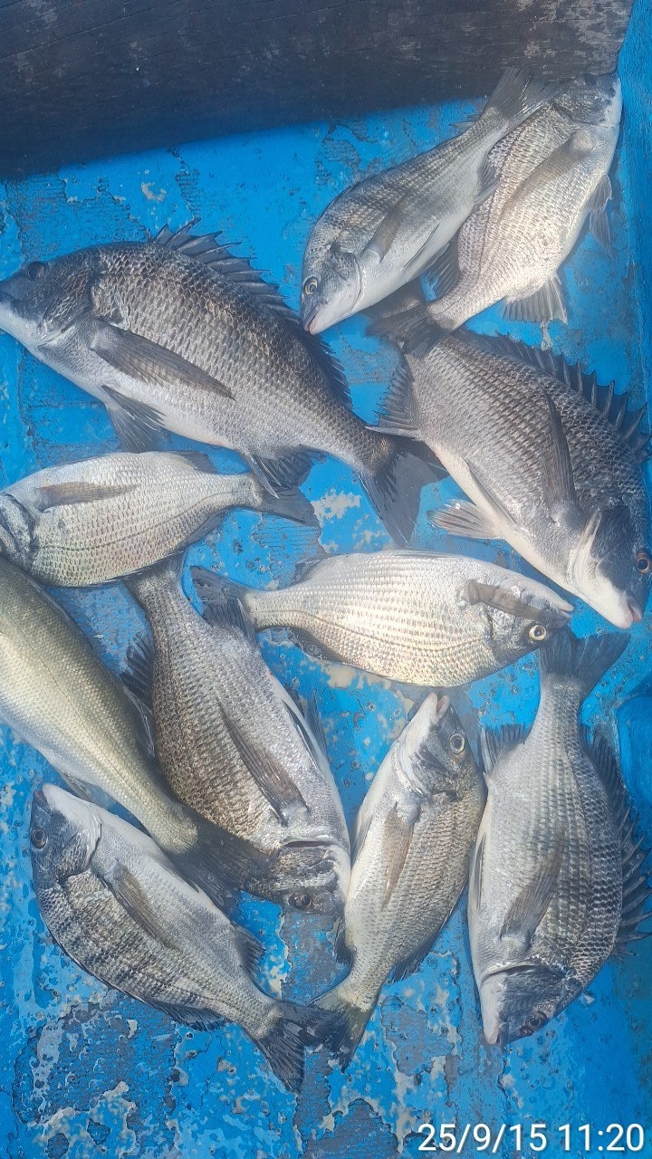
15일(월) 거제 학산마을 출발, 오전 감성돔 낚시 "가고파호" (철수)핫조황입니다.
※ 주차하고 선착장까지 바로 연결되어 편리합니다.

☆ 16일(화요일) 거제 감성돔 오전 흘림낚시 "예약 가능"
(흘림)감성돔 HOT 포인트 중치급들 당찬 손맛~!!
추석 제수고기 감성돔 사이즈와 마리수 개체 입성
※ 여름 오전낚시는 사이즈 마리수 탁월합니다 오전 8만원
  • 사용자가 올린 이미지

거제도 학산마을 출발, 감성돔 전문 출조점 가고파호입니다.
본격 감성돔 시즌이 시작되며 포인트 구석 구석 녀석들의 시원한 입질이
이어집니다 막강한 파워에 터져나가는 녀석들도 많으니 원줄 목줄
튼튼하게 준비하시는게 좋을 듯 합니다.
중치급들의 당찬 손맛에 포인트에는 긴장감이 흘렀고, 터지고 빠져도
꾸준히 이어지는 입질에 끝까지 긴장감 있는 낚시 즐기고 마무리 합니다.
확률 높은 오전 낚시 내일도 달립니다 연락주십시오~

16일(화요일) 거제 출발 감성돔 오전 흘림낚시 예약 가능합니다~
추석 제수고기 낚으로 오십시요. 본격적인 손맛이 시작되는 것 같습니다.
오늘도 거제 가고파호와 함께해주신 조사님들 수고 많으셨습니다.

▣ 가고파호 감성돔낚시 오전타임(8만원) 일정 안내 ▣
☆16일(화요일) 거제 감성돔 오전 흘림낚시 "예약가능"
☆17일(수요일) 거제 감성돔 오전 흘림낚시 "예약가능"
☆18일(목요일) 거제 감성돔 오전 흘림낚시 "예약가능"
☆19일(금요일) 거제 감성돔 오전 흘림낚시 "예약가능"
- 주중, 주말 예약 가능합니다.

▩ 가고파호(선상) ☎ 010 8553 7868
▩ 가고파호 밴드 http://band.us/@gagopaho
▩ 주소 :거제시 둔덕면 학산3길 81 (舊주소:둔덕면 학산리 109번지)
  • 사용자가 올린 이미지
(14일 조황 첨부합니다~)
  • 사용자가 올린 이미지
  • 사용자가 올린 이미지
▩ 감성돔 선상 흘림 낚시 안내 ▩
(평일 오전낚시) 04:30 ~ 11시 철수 8만원
- 생수,커피,라면,초장등, 낚시장비만 가지고 오세요

▩돌문어 출조 시간 및 선비 안내 ▩
(평일 종일) 05:00~14:00 전후,
- 문어라면 제공,음료, 생수 제공합니다.
- 가족팀/회사팀/동호회팀은 독배 상시 예약가능.
※ 낚시장비(무료) 대여 가능, 구명복 필요하신 분은 예약 시 전달 요청.

▩ 가고파호(선상) ☎ 010 8553 7868
▩ 가고파호 밴드 http://band.us/@gagopaho
▩ 주소 :거제시 둔덕면 학산3길 81 (舊주소:둔덕면 학산리 109번지)
  • 사용자가 올린 이미지

, , , , , , , , , , , , , , , , ,

  • 페이스북으로 보내기
  • 트위터로 보내기
  • 구글플러스로 보내기
  • 카카오스토리로 보내기
  • 네이버밴드로 보내기
  • 네이버로 보내기
  • 텀블러로 보내기
  • 핀터레스트로 보내기
0 댓글
포토 제목
 
 

인낚 최신글


인낚 최신댓글


온라인 문의 안내


월~금 : 9:00 ~ 18:00
토/일/공휴일 휴무
점심시간 : 12:00 ~ 13:00