카드
거제시 사등면 덕호해안길 108
거제시 사등면 덕호해안길 108
2025년 9월15일(월요일.1물)
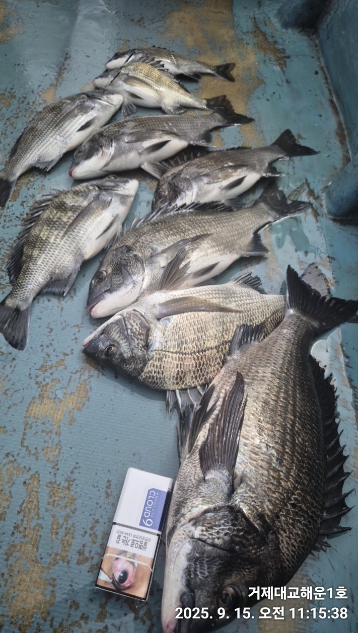
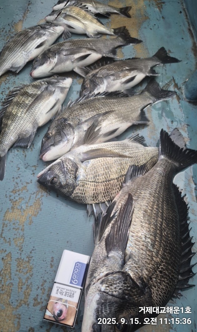
#철수후조황 #감성돔흘림낚시,
#내일예약가능합니다~~
#감성돔선상낚시, #감성돔조황,
#감성돔출조, #거제대교해운1호
철수후 조황입니다!!
걸면 터지고...와 ....속 터지네..참말로!!!환장하것네!!!
아쉽지만서도 우야것어요~
다시 도전하믄 되지예~~~
거제대교해운1호와 함께 해주신 조사님들 수고 많으셨습니다 ~~
#내일오전낚시나갑니다~~
☆☆ 감성돔낚시 출조 안내 ☆☆
거제도 내만 감성돔 승율있는 최상급 포인트 안내~
☆출 조 시 간☆
●새벽05시30분~오전11시철수 ●
●흘림오전낚시 선비는
8만원입니다!! ●
■독배 예약 선비는 60만원입니다■
- 생수,커피, 밑밥, 미끼제공
- 대체 미끼는 개인 지참.
(흘림시 개인대체미끼 경단,옥수수
준비해서 오세요)
※신분증,구명복 필수 준비해 오세요. ※배에서 음주는 법적으로 금지되어 있습니다!!
▦해운호 ☎010-9169-4266
010-9023-1487(사모)
(출항지) 거제시 사등면 덕호해안길
108번지
■ 예약 :수협2020.4128.8814
오재석(선장) ■
■ 농협352.0069.5176.03
진정미 (사모)■
밴드주소:https://band.us/@hyun6335
#거제대교해운1호 #거제광리항 #선상에서즐기는 #싱싱한회파티
#철수후즐기는 #뒷풀이는 #싱싱한회와함께 #맛난집밥
#감성돔선상낚시, #감성돔조황, #오선장 #감성돔출조,
#감성돔카고낚시 #감성돔흘림낚시,