카드
거제시 거제면 법동리 536-24
(법동낚시공원)
거제시 거제면 법동리 536-24
(법동낚시공원)






#점주조황 #선상낚시 #흘림찌낚시 #감성돔 #참돔흘림 #돌문어 #생활낚시(뽈락,전갱이,고등어등등)
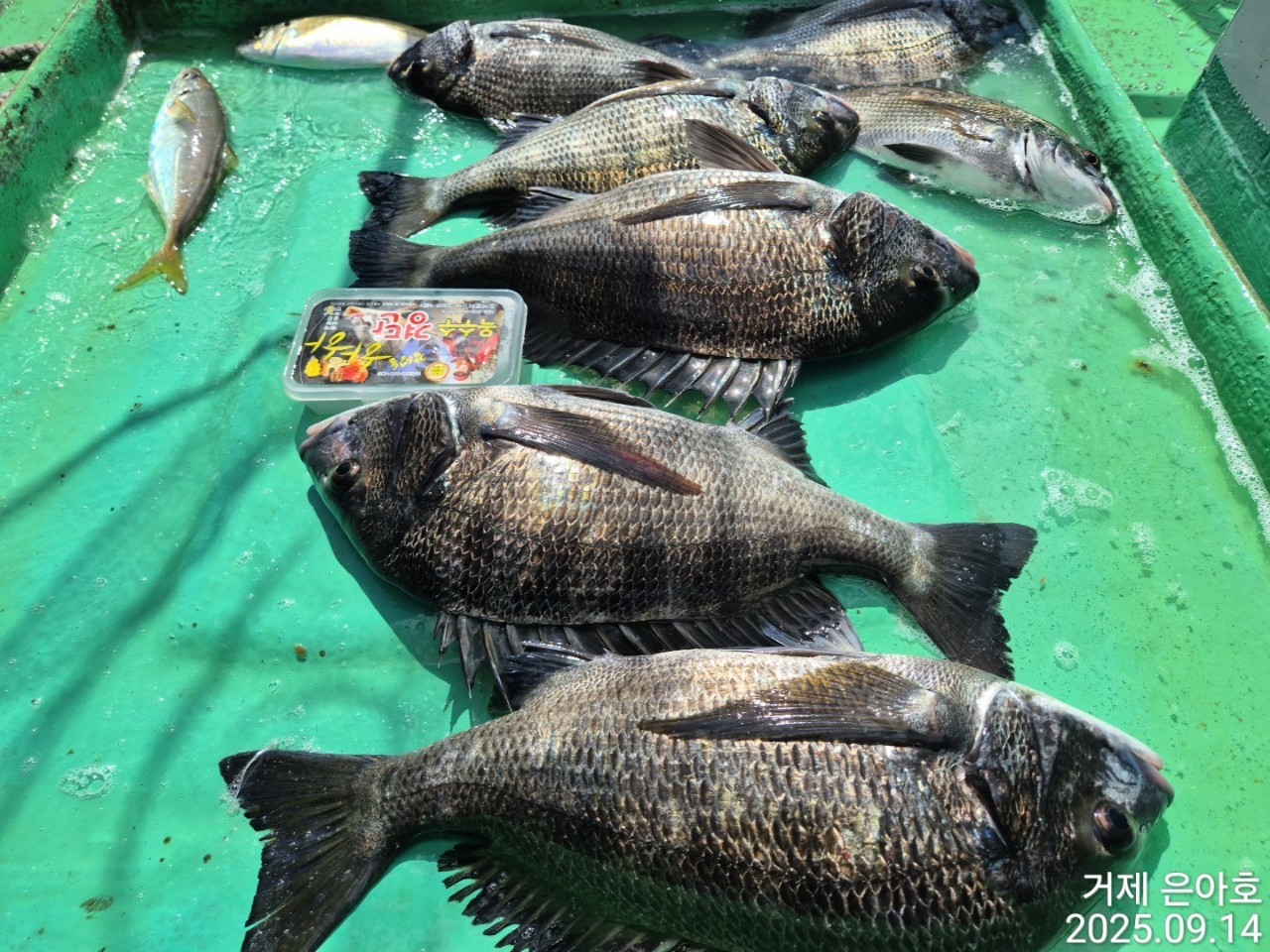
《감성돔》4짜3짜 대물 두방 팅 팅~
내일 예약 가능합니다
《감성돔》찌 줄줄 흘리고 왔습니다
시원한 바람에 찌도 시원하게 가져 갔습니다
아침에 불감당 대물 입질 받았지만 두방 팅 팅~
몇번의 입질이 더 있었지만 터졌습니다
내일도 대물 포인트로 달려보겠습니다
거제 은아호 입니다.
선장님들의 풍부한 경험으로 초보자분도 부담없이 연락주시면 친절하게 가르처 드립니다.
★감성돔낚시★
종일낚시: 새벽부터 - 2~3시까지 / 11만원
오전낚시: 새벽부터 - 11시까지 / 8만원
오후낚시: 1시부터 - 해질때까지 / 8만원
※독배는 시간 조정 가능합니다.※
※이벤트 행운에 도전해보세요.※
★참돔낚시★
종일낚시 : 새벽부터 - 2시 전ㆍ후까지
오후낚시 : 1시부터 - 해질때까지 (3명부터 출조합니다.)
14만원=밑밥.미끼.도시락.커피.음료수.생수다포함.
장비ᆞ쿨러만 가져오시면 됩니다.
(몇대는 대여가능합니다.미리 말씀해주세요.)
★돌문어★
아침부터 - 2시 전ㆍ후/ 9만원
독배는 시간 조정 가능합니다.
※낚시대 무상대여 해드립니다.※
※채비 만원에 무한제공 해드립니다.몸만 오셔도 됩니다.※
★생활낚시(뽈락+전갱이)★
오전낚시 6시 ~ 11시까지/ 8만원
오후낚시 1시 ~ 6시까지/ 8만원
종일낚시 6시~2~3시까지/ 11만원
독배는 시간 조정 가능합니다.
※3명부터 출항합니다※
★환불규정★
당일~1일전 ~ 환불불가.
2일전 ~ 50%환불.
※단 예약이 들어오면 환불해 드립니다.※
★은아호선단★
거제 은아1호 ㅡ 다이아몬드호
거제 은아3호 ㅡ 레전드호
거제 은아5호 ㅡ 대진호
※협력선단 ㅡ 최강피싱※
★찾아오시는길★
주소 : 거제시 거제면 법동리 536-24(법동휴게소)
거제시 거제면 법동리 626-6
★★★신분증 꼭 지참해주세요★★★
☎예약문의☎
예약전화 : 010-6292-7634
문의전화 : 010-9084-7634
☆은아펜션 운영합니다.☆
거제시 거제면 거제남서로 4234
거제시 거제면 법동리 664-1 #조황