(거제하모니호)참돔타이라바 미친피딩~~

신상품 소개


회원 랭킹


공지사항


NaverBand
점주/선장 > 선상 + 좌대 조황

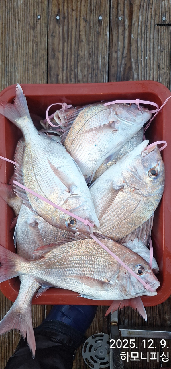
(거제하모니호)참돔타이라바 미친피딩~~

하모니호 0 33
● 출항지 : 거제
4f963d11cc12dd13d0de01f927d9709f.jpg
반갑습니다 
거제루어전문선사 하모니호 진선장입니다 
오늘도  참돔 타이라바 달리고왔습니다 

오늘 4분 조우님 원없이 손맛즐기고왔습니다


팔이아파 더는 못하겠다고 조기토근했내요

하모니 호는 기상좋고 물때좋으면 소수인원이라도 즐겁게 달립니다 

1765269209235.jpg


1765269209439.jpg


1765269209477.jpg


1765269209642.jpg


1765269209950.jpg


1765269209991.jpg


TimePhoto_20251209_165444.jpg


TimePhoto_20251209_165507.jpg


TimePhoto_20251209_165439.jpg


1765269209893.jpg



#공지 #출항정보 #출조공지 #타이라바 #지깅 #오프쇼어 #버티컬지깅 #러버지깅#한치이카메탈#한치루어

 

[출조 정보 공지-타이라바,한치루어갈치생미끼]

 

예약문의 : 진태종 선장 010-9654-1715

 

[출조 안내]

1. 선단

     하모니호(9.77,정원22)

 

     장점 : 동급 몰드 롤링 다이(스테빌라이져)추가 설치

            구상선수(앞코)적용

            롤링 최소화 및 안정적인 이동

            바람영향 최소화

            루어낚시 및 집어낚시에 최적화

      
     타이라바 출조 배석: 최대  16석

     한치루어 출조 배석 : 최대 20
     갈치루어 출조 배석: 최대 18석
     
     


2.
출조 안내

  

  

    상황에 따라서 유동적입니다.

 

    타이라바    선 비 :12만원

    한치루어     
선 비 : 12만원
    문어루어                선비:내만 7만원 
    갈치  지깅,텐빈           선비: 12만원

    계좌번호 : 수협 0010-9654-1715

 

기본제공품.커피.생수.점심식사.컵라면


3.
장비 일체 대여 가능 : 대여료 각 1만 세트 2


4.
사무실 구비/판매
갈치낚시 채비일절
한치루어소품
이카메탈/수테

타이라바 전용 로드

타이라바 베이트릴

합사 0.8~3.0 구비

스커트/타이라바세트

유동식 헤드

목장갑



4.
편의시설

출조전,후 대기 사무실

커피, 생수, 라면 취식 가능

쾌적한 공간


- 구명복 착용필수, 승선시 구명복을 가지고 오세요.
  (없는분은 배에 비치되어 있습니다.)

- 신분증은 꼭 지참하여야 승선이 가능합니다.

- 배에서 음주는 절대 허용되지 않습니다.

- 주소 : 경남 거제시 일운면 지세포해안로89-18  (네이버 "지세포유람선" 검색)

- 계좌안내 : 수협 / 0010-9654-1715/ 진태종
▷ 예약시 예약금을 입금하여야 예약이 가능합니다.
▷ 입금 확인 후 예약이 완료 됩니다.
▷ 당일 취소시 예약금은 환불이 불가합니다.

===== 거제도 하모니호 예약안내 =====

예약문의 : 010-9654-1715 (진선장)~갈치.열기.한치.타이라바
                  
오신는길 : 경남 거제시 일운면 지세포 해안로89-19
                  지세포유람선
홈페이지 : http://harmony.sunsang24.com/

'하모니피싱' 밴드로 초대합니다.
네이버 밴드 : https://band.us/band/7503634

저희 하모니피싱은 기상상황이 허락한다면 매일 출조할 계획입니다.
blank.png1

  • 페이스북으로 보내기
  • 트위터로 보내기
  • 구글플러스로 보내기
  • 카카오스토리로 보내기
  • 네이버밴드로 보내기
  • 네이버로 보내기
  • 텀블러로 보내기
  • 핀터레스트로 보내기
0 댓글
포토 제목
 
 

인낚 최신글


인낚 최신댓글


온라인 문의 안내


월~금 : 9:00 ~ 18:00
토/일/공휴일 휴무
점심시간 : 12:00 ~ 13:00