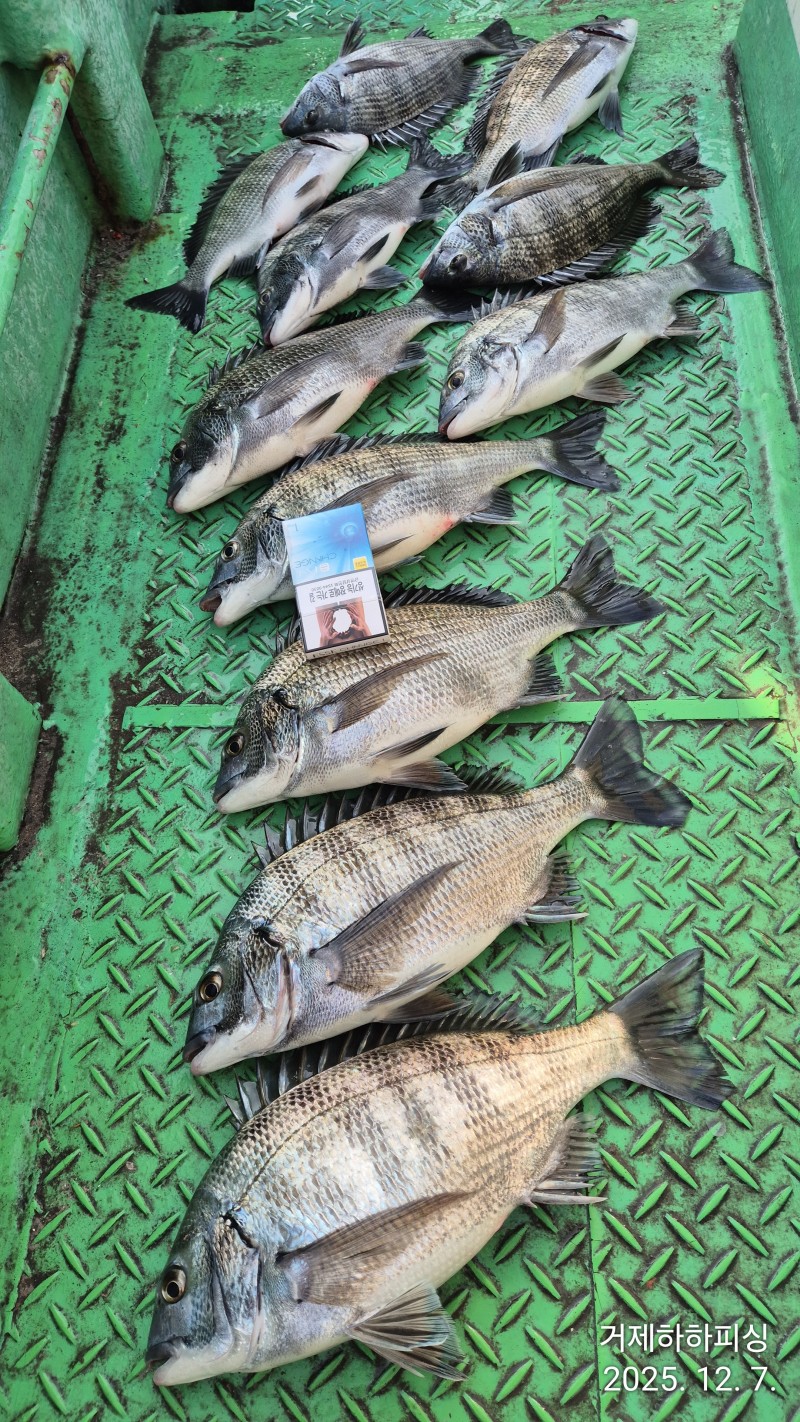
어초흘림 감성돔조황..낼예약가능합니다

신상품 소개


회원 랭킹


공지사항


NaverBand
점주/선장 > 선상 + 좌대 조황

어초흘림 감성돔조황..낼예약가능합니다

거제하하피싱 0 20
● 출항지 : 거제 ● 출조지 : 거제


어초권 몇자리 흘리고 왔습니다.


낼 예약가능합니다.


다녀가신 분들 수고하셨습니다.


감사합니다.


거제시 거제면 법동리1056 


010 6525 0540



  • 페이스북으로 보내기
  • 트위터로 보내기
  • 구글플러스로 보내기
  • 카카오스토리로 보내기
  • 네이버밴드로 보내기
  • 네이버로 보내기
  • 텀블러로 보내기
  • 핀터레스트로 보내기
0 댓글
포토 제목
 
 

인낚 최신글


인낚 최신댓글


온라인 문의 안내


월~금 : 9:00 ~ 18:00
토/일/공휴일 휴무
점심시간 : 12:00 ~ 13:00