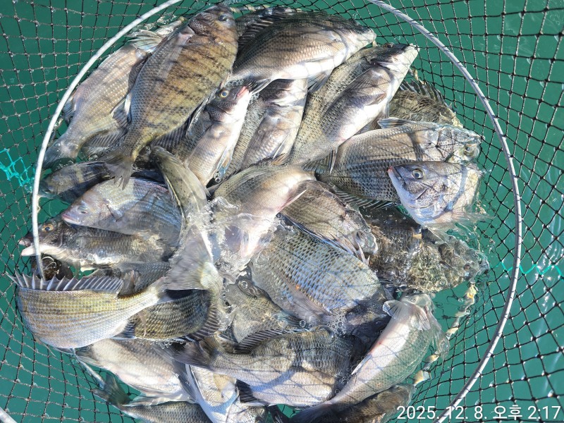
비연호 "감성돔 조황"

신상품 소개


회원 랭킹


공지사항


NaverBand
점주/선장 > 선상 + 좌대 조황

비연호 "감성돔 조황"

삼천포비연호 0 96
● 출항지 : 사천 ● 출조지 : 사천

심한 바람에 낚시질에 불편함이 있었지만

두분 조사님은 제법 많이 잡았고

한분은 영ᆢ


내일은 쉬고

모레 수요일부터 감성돔 출조하오니 

계획있으신 분들은 연락주십시오 


오전6시 출항

오후 2시 입항

선비 7만원
 

2인이상시 상시 출조 가능하니

계획있으신 분들은 연락주십시오


출조 문의 

삼천포 비연호 010-4769-8124



  • 페이스북으로 보내기
  • 트위터로 보내기
  • 구글플러스로 보내기
  • 카카오스토리로 보내기
  • 네이버밴드로 보내기
  • 네이버로 보내기
  • 텀블러로 보내기
  • 핀터레스트로 보내기
0 댓글
포토 제목
 
 

인낚 최신글


인낚 최신댓글


온라인 문의 안내


월~금 : 9:00 ~ 18:00
토/일/공휴일 휴무
점심시간 : 12:00 ~ 13:00