(감성돔흘림 ~거제 FM 피싱호)~낼(화요일)출조계획 공지합니다

신상품 소개


회원 랭킹


공지사항


NaverBand
점주/선장 > 선상 + 좌대 조황

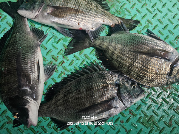
(감성돔흘림 ~거제 FM 피싱호)~낼(화요일)출조계획 공지합니다

FM피싱호 0 12
● 출항지 : 거제
실시간 예약 홈페이지
9a0ebb52b3c29079fc86e0ca43a6a721.jpgf63ebc9c2804a6fa810ac00a5ca56730.jpg
출조계획 입니다 
ㅡ화요일  ㅡ 새벽출조 (05:00시출항)
                    야간출조(17:00시출항)
ㅡ수요일  ㅡ야간출조 17:00시출항)
ㅡ목요일 ㅡ예약완료 
ㅡ금요일 ㅡ야간출조 
ㅡㅡㅡ 기상이 양호하여 야간출조를 준비합니다ㅡㅡ

ㅡㅡㅡㅡㅡㅡㅡㅡㅡㅡ
ㅡ공지합니다ㅡㅡ
    ㅡ종일낚시(야간)
      ㆍ출항ㅡ일몰 30분전
      ㆍ철수 ㅡ02:00시 전ㆍ후 
       ㆍ선비ㅡ10만원
      ㆍ밑밥.미끼(크릴.청개비).식사.간식.음료기타등등 ㅡ전품목제공(장비만 들고오세요)
        ㅡ종일낚시 (주간}
       ㆍ선비ㅡ11만원 
       ㆍ시간~출항 ᆢ05:00시 전ㆍ후 
                    철수 ~14:00시 전ㆍ후 
ㆍㆍ밑밥.미끼.간식.식사.음료..생수 기타등등
       ●(FM피싱호)손님들께 죄송한 마음을 올림니다.
   ㆍ간간히 펑크낸 조사님들이 계셔서 예약은
                어쩔수없이
      선 입금후 예약을 잡도록 하겠습니다 
      너그러운 마음으로 양해바랍니다.

      
      
 




=== 거제도 에프엠피싱호 예약안내 ===


예약문의 : 010-4998-5333

오시는길 : 거제시 둔덕면 술역리789-8(방파제 중간에 배타는곳이 있습니다)

홈페이지 : http://fm.sunsang24.com/


모바일.gif 

blank.png1


  • 페이스북으로 보내기
  • 트위터로 보내기
  • 구글플러스로 보내기
  • 카카오스토리로 보내기
  • 네이버밴드로 보내기
  • 네이버로 보내기
  • 텀블러로 보내기
  • 핀터레스트로 보내기
0 댓글
포토 제목
 
 

인낚 최신글


인낚 최신댓글


온라인 문의 안내


월~금 : 9:00 ~ 18:00
토/일/공휴일 휴무
점심시간 : 12:00 ~ 13:00