네임
카드
카드
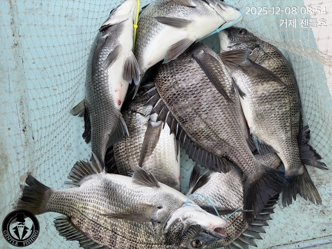
거제젠틀호
거제시 거제면 서정리 773-14
010-8949-4045
거제시 거제면 서정리 773-14










감성돔낚시, 감성돔, 거제감성돔, 찌낚시, 릴찌낚시, 문어낚시, 문어조황, 문어, 거제도문어낚시, 문어출조점, 거제문어낚시점, 문어낚시체험, 여름낚시, 바다낚시, 거제낚시, 거제도문어출조점, 감성돔조황, 거제도감성돔, 감성돔출조, 거제바다낚시, 감성돔출조점, 참돔낚시, 참돔조황, 참돔출조, 거제젠틀호, 젠틀호, 감성돔전문출조점, 참돔전문출조점, 흘림낚시, 거제선상낚시, 거제도바다낚시, 어초낚시, 여밭낚시, 대물낚시, 대물감성돔, 대물참돔, 거제도젠틀호, 거제도감성돔낚시
|
|
|
|


