[ 두모1호 볼락루어 ] 12/05 출항 조활

신상품 소개


회원 랭킹


공지사항


NaverBand
점주/선장 > 선상 + 좌대 조황

[ 두모1호 볼락루어 ] 12/05 출항 조활

달아두모호 0 146
● 출항지 : 통영
e9613aaf64c308ce255e90b380a83776.jpeg542e5c60347b8a302b2197c08494cac6.jpeg3e593e1abbdfbc43696e2da320ea2891.jpega87990bca75b77bb6d5accb65b1a84e4.jpegfc31e100a9d039717f426bc12c2846cb.jpeg
[ 두모1호 볼락루어 ] 12/04 출항 조황
볼락루어 전문선 매일 출조 
>> 통영 매물도권 조황 <<

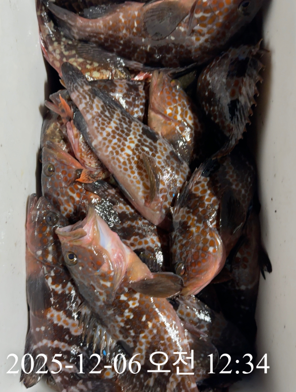
잔잔한 바다상황 이었습니다. 백중사리 물때로 인해 탁한 물색을 보였습니다. 또한 유속의 흐름이 빠른관계로 포인트 진입 어려웠습니다. 
초저녁 시간대에 중치급 볼락의 입질을 잦게 받을수 있었으나 밤이 깊어질수록 쏨벵이, 붉바리의 입질이 더 많았던 패턴 이었습니다. 

매일 오후4시30분 밤볼락 출조합니다. 

통영권 매물도,좌사리도,국도,연화도, 욕지도, 두미도, 갈도까지 시즌동안 물때와 바다상황을 고려해 매일 볼락 찾아 열심히 출조합니다.


          >>>>> 예약현황 <<<<<

>>> 볼락루어 전문출조 <<<
>>> 실시간 예약창 <<<

## 선상 24시
https://cyfishing.sunsang24.com/ship/info 

12/06 토요일   예약가능
12/07 일요일   예약가능
12/08 월요일   예약가능
12/09  화요일   예약가능
12/10  수요일   예약가능
12/11  목요일   예약가능
12/12  금요일   예약가능
12/13  토요일   예약가능
12/14  일요일   예약가능

예약문의 010 4576 8989 두모호 선장 

예약계좌 
수협 0001 6619 3852 이경순 (두모호)

• 계좌입금 순으로 예약확정 됩니다
• 입금 후 반드시 문자 확인 바랍니다

기상만 허락 한다면 매일 볼락루어 출조합니다

볼락루어 낚시 전문 ....달아두모호 입니다..
====================
######### 신분증 지참 / 구명복 착용 / 선내 음주금지.
######### 지그헤드 1~ 5그램 / 전용릴 / 전용낚시대
========================================
## 루어선상 전문출조선 입니다.. 선상출조객만 모십니다. ##

밴드가입 https://band.us/@tongkeunho 

출조시 매일 오후8시 
라이브 방송
유튜버 실시간 조황
https://youtube.com/@fish1788?si=KIzikh6MoAC1y43J

# 선상출조만 합니다.
# 출조비 : 욕지권,매물도권10만, 원도권 12만
(통영 최고의 따뜻한 도시락 제공)
# 선내 : 커피, 생수 완비
# 볼락출조: 오후 4시30분 - 새벽1시 철수
# 출 조 지 : 갈도,좌사리도,매물도,
                     욕지권 전문출조
==================================
## 경남 통영시 산양읍 미남리 822-12
## 두모호 이선장 010 - 4576 – 8989 
#갈치 #텐빈 #볼락루어 #참돔타이라바






*** 통영 두모호 예약 안내 ***


예약문의 : 010-4576-8989

오시는길 : 경남 통영시 산양읍 산양일주로 285

홈페이지 : https://cyfishing.sunsang24.com/

https://cyfishing.sunsang24.com/b3ccf328-b5dc-4469-8f7c-a6eeb36783c3">
blank.png1


  • 페이스북으로 보내기
  • 트위터로 보내기
  • 구글플러스로 보내기
  • 카카오스토리로 보내기
  • 네이버밴드로 보내기
  • 네이버로 보내기
  • 텀블러로 보내기
  • 핀터레스트로 보내기
0 댓글
포토 제목
 
 

인낚 최신글


인낚 최신댓글


온라인 문의 안내


월~금 : 9:00 ~ 18:00
토/일/공휴일 휴무
점심시간 : 12:00 ~ 13:00