12월 알쭈꾸미 참돔 타이 출항계획. 문의 바랍니다.

신상품 소개


회원 랭킹


공지사항


NaverBand
점주/선장 > 선상 + 좌대 조황

12월 알쭈꾸미 참돔 타이 출항계획. 문의 바랍니다.

오스프리마스터 0 15
● 출항지 : 고흥,녹동
a4098bbd349a290e81c33a889e58a7f5.jpegcde513c91d17f0ba78ce6d6ca250b2aa.jpege5081c686b238b3341e56af0e20cc7c6.jpegc629152f199b295a6e45a3b7005708b8.jpege314aeea55e4760ffb2f08a0619a460c.jpeg3a2371ba7231db1cdf64421bc1705740.jpeg291310804828fec1e912b20e27ccbb11.jpeg5d29c2fc728d435c4b7a712ca90e38f1.jpeg32143b87c99f26b715309bb2f6c78432.jpeg43026bbc6d0e984c6726210e97ebf28e.jpeg
12월 쭈꾸미 참돔 타이 출항일정입니다. 
쭈꾸미 녹동권 계속 머릿수 나옵니다. 
아직도 잘 올리시면 세자리수 볼수 있으며
알쭈꾸미도 나오기 시작합니다. 
함깨 알쭈 마릿수 즐기러 가 보시지요.
참돔 타이도 마릿수 나오기 시작 먼바다
기상만 허락하면 소수인원 출항합니다. 
출조 계획 잡아보시고 선장에게 문의
홈피 예약바랍니다. 
  
6일 토 참돔 타이 마감
7일 일 참돔 타이 3명 예약 기상관찰 필요
8일 월 참돔타이
9일 화 참돔 타이
10일 수 참돔타이
11일 목 쭈꾸미 모집중
12일 금 쭈꾸미 모집중
13일 토 쭈꾸미 12명 얘약 5자리여유
14일 일 쭈꾸미 모집중
15일 월 쭈꾸미 모집중 
16일 화 쭈꾸미 모집중
17일 수 쭈꾸미 모집중
18일 목 참돔 타이
19일 금 참돔 타이
20일 토 참돔 타이
21일 일 참돔 타이
22일 월 참돔 타이
23일 화 참돔 타이
24일 수 참돔 타이
25일 목 참돔 타이
26일 금 쭈꾸미 모집중
27일 토 쭈꾸미 모집중
28일 일 쭈꾸미 모집중
29일 월 쭈꾸미 모집중
30일 화 쭈꾸미 모집중
31일 수 쭈꾸미 모집중

■ 대상 어종  : 쭈꾸미 
     • 출항 0630시 입항 15시. 집결0600시
     • 출조지 : 고흥 내만 9만원
     • 점심도시락 컵라면 음료 제공
     • 문어 합사 1호/봉돌14~20호/ 애자 에기

■ 대상 어종  : 참돔 
     • 출항 05시 입항 17시. 집결0430시
     • 출조지 : 거문도 여서도 백도 13만원
     • 점심도시락 컵라면 음료 제공
     • 합사 1호/해드 100~200그람 스커트 색상별

◆ 오스프리호 밴드 주소 ◆
https://band.us/@ospreyfishing

◆ 고흥 녹동항 오스프리호 예약안내 ◆
예약문의 : 선장 010-8329-7441 
오시는길 : 전남 고흥군 도양읍 봉암리 2766-6
홈페이지 : http://osprey.sunsang24.com/ 

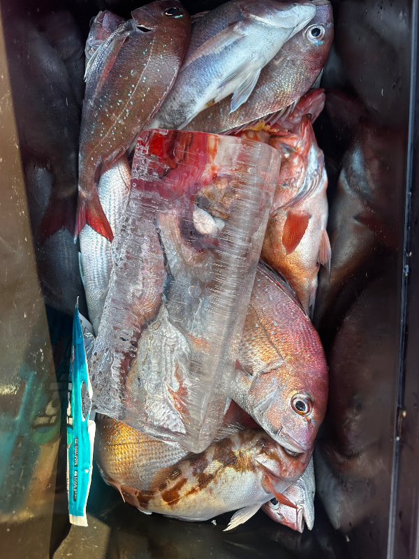
지난 출조 조황입니다. 



◆ 고흥 녹동항 오스프리호 예약안내 ◆


예약문의 : 010-8329-7441

오시는길 : 전남 고흥군 도양읍 봉암리 2766-13

홈페이지 : http://osprey.sunsang24.com/


모바일.jpg 


blank.png1


  • 페이스북으로 보내기
  • 트위터로 보내기
  • 구글플러스로 보내기
  • 카카오스토리로 보내기
  • 네이버밴드로 보내기
  • 네이버로 보내기
  • 텀블러로 보내기
  • 핀터레스트로 보내기
0 댓글
포토 제목
 
 

인낚 최신글


인낚 최신댓글


온라인 문의 안내


월~금 : 9:00 ~ 18:00
토/일/공휴일 휴무
점심시간 : 12:00 ~ 13:00