하동 금남 피싱호 사짜 이하 마릿수

신상품 소개


회원 랭킹


공지사항


NaverBand
점주/선장 > 선상 + 좌대 조황

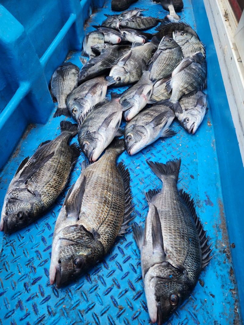
하동 금남 피싱호 사짜 이하 마릿수

하동피싱호 0 338
● 출항지 : 남해

a7fd131457d91b523d60ea36ec8a660c_1742182054_7459.jpg
지난 주말 조황입니다 사짜 이하 마릿수 조황입니다 풍랑 주의보 와 숨바꼭질한 조황입니다 하동 은 평수구역이라 어지간하면 주의보가 안떨어지는데  토요일 주간 출조 하자마자 칠수 했네요 이번주도 대박을 희망 하며 화이팅 함께하실분 연락주세요 010 4850 1644 부재시 010 4555 1423 


a7fd131457d91b523d60ea36ec8a660c_1742182057_2898.jpg



a7fd131457d91b523d60ea36ec8a660c_1742182059_7332.jpeg



 

  • 페이스북으로 보내기
  • 트위터로 보내기
  • 구글플러스로 보내기
  • 카카오스토리로 보내기
  • 네이버밴드로 보내기
  • 네이버로 보내기
  • 텀블러로 보내기
  • 핀터레스트로 보내기
0 댓글
포토 제목
 
 

인낚 최신글


인낚 최신댓글


온라인 문의 안내


월~금 : 9:00 ~ 18:00
토/일/공휴일 휴무
점심시간 : 12:00 ~ 13:00