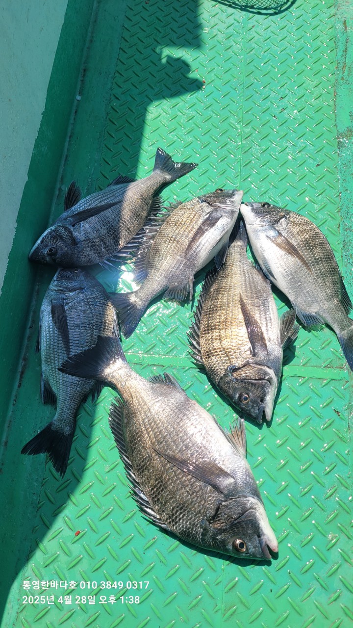
통영한바다호ㅡ감성돔 흘림조황

신상품 소개


회원 랭킹


공지사항


NaverBand
점주/선장 > 선상 + 좌대 조황

통영한바다호ㅡ감성돔 흘림조황

통영한바다호 0 92
● 출항지 : 통영

c020dd19470febb2ae2b0d99fb60caf1_1745818169_7007.jpg



 

두번 빠지고 여섯마리로 마감 

날물에 고전하다가

일찍 가셔야하는분 계셔서 연장안하고 빨리 철수했습니다 


화,수 흘림 자리비어있습니다 


문의 010  3849  0317


  • 페이스북으로 보내기
  • 트위터로 보내기
  • 구글플러스로 보내기
  • 카카오스토리로 보내기
  • 네이버밴드로 보내기
  • 네이버로 보내기
  • 텀블러로 보내기
  • 핀터레스트로 보내기
0 댓글
포토 제목
 
 

인낚 최신글


인낚 최신댓글


온라인 문의 안내


월~금 : 9:00 ~ 18:00
토/일/공휴일 휴무
점심시간 : 12:00 ~ 13:00