(흘림)대물 감성돔 길목~어초여밭권 직항 대동낚시(6일 예약)

신상품 소개


회원 랭킹


공지사항


NaverBand

(흘림)대물 감성돔 길목~어초여밭권 직항 대동낚시(6일 예약)

거제대동낚시 0 57
● 출항지 : 거제 ● 출조지 : 거제
거제권 어초여밭 대물들 진입~
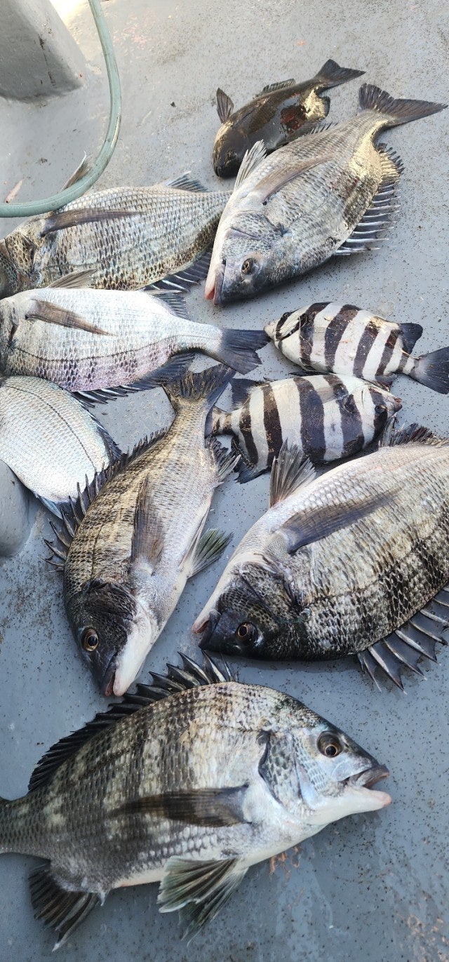
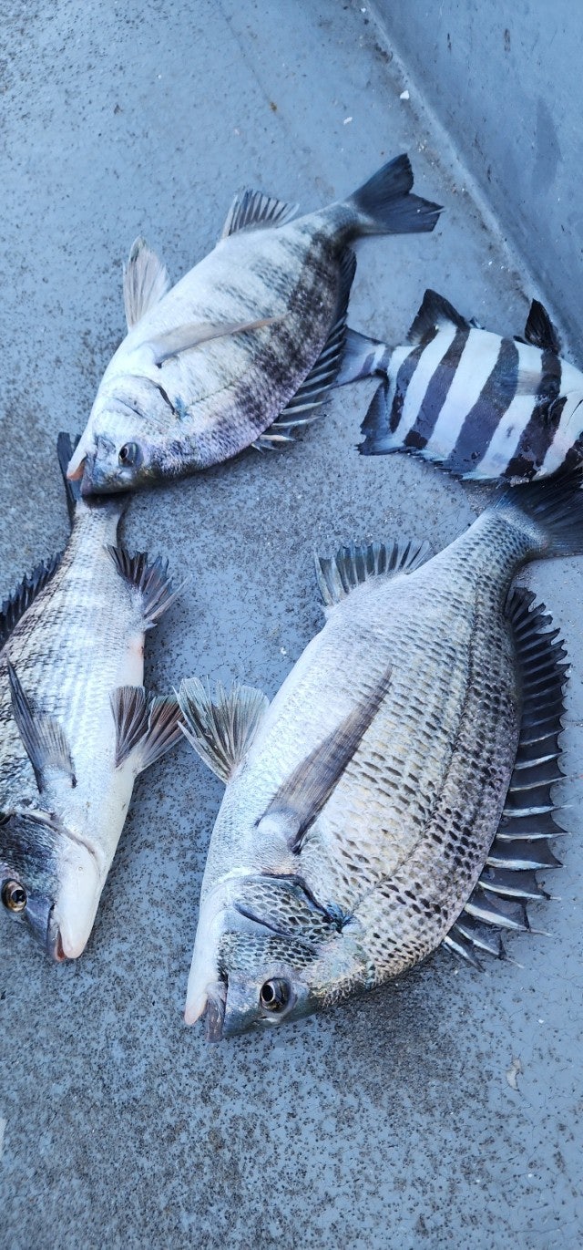
29일(토요일) 거제 성포 출발, 감성돔 흘림낚시 "대동낚시" (철수) 조황입니다.
※ 53Cm이상 체포시 아지카라인 대동낚시 공동이벤트 최상급 원줄 증정!!!

★6일(토요일) 주간, 거제권 감성돔 흘림낚시"예약 가능"
감성돔(어초 흘림) 대형급 팅~굵은놈들 입성~
  • 사용자가 올린 이미지

거제 성포출발 대동낚시입니다.
좋은 날씨속에 즐기고 왔습니다. 몇방 불감당한 녀석들은 터져 나갔지만,
굵은 감성돔을 물론, 벵에돔 돌돔까지 제법 손맛 보았습니다. 잔존부력이
적은 어신찌로 공략하고, 바닥 수심 측정은 수시로 해 주면 마리수에도
도움이 될 것 같습니다. 낼 다시 도전합니다.

6일(토요일) 주간 거제권 감성돔 흘림낚시 예약 가능합니다.
오늘도 대동낚시를 이용해 주신 조사님 수고 많으셨습니다.

대동낚시 출조 일정 ▣ 365출조!!! (몸만 오셔도 OK)
※개인출조 환영!!! (모든장비 무료대여) ★몸만오셔도 됩니다.
★12월 6일 (토) 주간,거제권 감성돔 흘림낚시 "예약가능"
★12월 7일 (일) 주간,거제권 감성돔 흘림낚시 "예약가능"
★12월 8일 (월) 주간,거제권 감성돔 흘림낚시 "예약가능"
★12월 9일 (화) 주간,거제권 감성돔 흘림낚시 "예약가능"
★12월 10일 (수) 주간,거제권 감성돔 흘림낚시 "예약가능"
★12월 11일 (목) 주간,거제권 감성돔 흘림낚시 "예약가능"
※ 기상만 좋으면 365일 출조합니다. 주말 예약은 미리미리 서둘러 주세요.

▦대동낚시 ☎010-4550-9017
▣ 거제시 사등면 성포로 133(사등농협앞) 감성돔 특급포인트 직항
▣ 밴드 : https://band.us/@daedongho
  • 사용자가 올린 이미지
  • 사용자가 올린 이미지
  • 사용자가 올린 이미지
  • 사용자가 올린 이미지
  • 사용자가 올린 이미지
  • 사용자가 올린 이미지
  • 사용자가 올린 이미지
  • 사용자가 올린 이미지
▣ 거제권 야간 무늬오징어 출조 ▣
야간 저녁 6시 출발 ~12시까지 운영
- 장비 무료 대여 (몸만 오셔도 됩니다)

★ 초보자도 쉽게 접근 가능한 돌문어낚시
문어체험낚시는 "몸만 오시면 됩니다"
- ★★무료 대여★★ 낚시대, 릴, 베이트릴, 스피닝릴 등 상시 준비하고 있습니다.
- 이제 몸만 편안히 오시면, 낚시를 즐길 수 있고, "전생어부 교육"선장이 직접
티칭 지원해 드리며, 충분히 문어를 낚을 수 있도록 고객님들을 스포팅.
★개인 및 가족팀, 단체팀 언제나 환영합니다.

★통영 문어맛집 - 대동낚시
- 타우린이 풍부해 피로회복에 좋은 "문어라면"과 "문어숙회" 등 푸짐한 먹거리
도대동낚시에서는 공짜~

▦대동낚시 ☎010-4550-9017
▣ 거제시 사등면 성포로 133(사등농협앞)
▣ 밴드 : https://band.us/@daedongho ▣ 예약 (수협) 2020-4222-9164 이춘석
※신분증,구명복 필수 준비, 배에서 음주는 법적으로 금지되어 있습니다.
  • 사용자가 올린 이미지

, , , , , , , , , , , , , , , , , , , , , , , , , , , , , , , , , , , , , , ,

  • 페이스북으로 보내기
  • 트위터로 보내기
  • 구글플러스로 보내기
  • 카카오스토리로 보내기
  • 네이버밴드로 보내기
  • 네이버로 보내기
  • 텀블러로 보내기
  • 핀터레스트로 보내기
0 댓글
어종별 선상조황
포토 제목
 
 

인낚 최신글


인낚 최신댓글


온라인 문의 안내


월~금 : 9:00 ~ 18:00
토/일/공휴일 휴무
점심시간 : 12:00 ~ 13:00