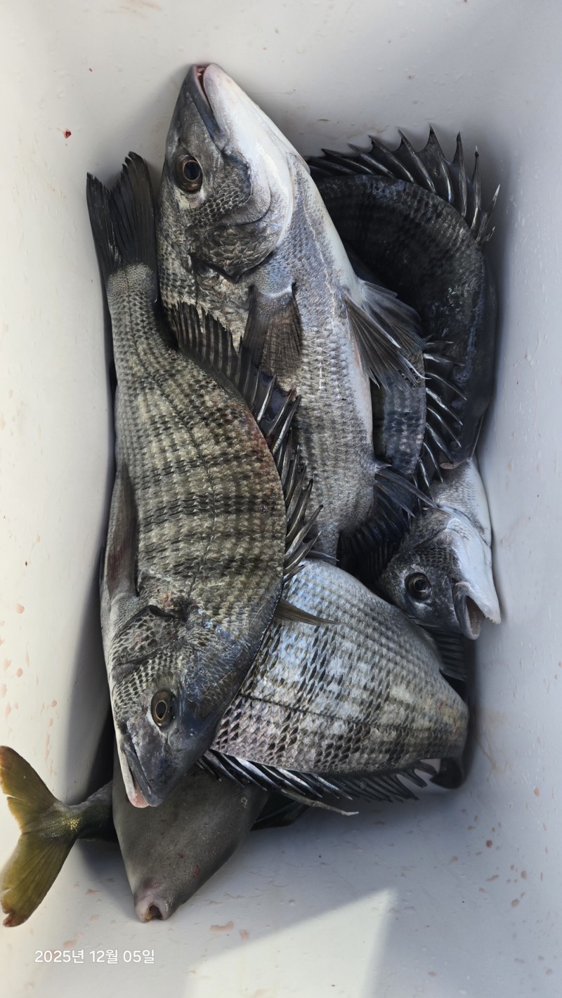
감시흘림 조황입니다.내일/6(토)자리여유 있습니다.

신상품 소개


회원 랭킹


공지사항


NaverBand

감시흘림 조황입니다.내일/6(토)자리여유 있습니다.

진해행운호 0 61
● 출항지 : 진해

진해행운호(속천항)

010 2598 3378

밴드가입:네이버검색=>진해행운호(속천항)

밑밥,미끼포함 10만 (대체미끼는 본인지참)

막대찌2호~3호는 기본.목줄1,7~2호66552b77ec7a912433534be96859f0af_1764915793_9086.jpg



66552b77ec7a912433534be96859f0af_1764915797_3504.jpg



66552b77ec7a912433534be96859f0af_1764915800_738.jpg



66552b77ec7a912433534be96859f0af_1764915805_9311.jpg



66552b77ec7a912433534be96859f0af_1764915809_716.jpg



66552b77ec7a912433534be96859f0af_1764915813_418.jpg


 

  • 페이스북으로 보내기
  • 트위터로 보내기
  • 구글플러스로 보내기
  • 카카오스토리로 보내기
  • 네이버밴드로 보내기
  • 네이버로 보내기
  • 텀블러로 보내기
  • 핀터레스트로 보내기
0 댓글
어종별 선상조황
포토 제목
 
 

인낚 최신글


인낚 최신댓글


온라인 문의 안내


월~금 : 9:00 ~ 18:00
토/일/공휴일 휴무
점심시간 : 12:00 ~ 13:00