감성돔 (카고) ㅡ17수, 오늘은 5짜없이 4짜후반.중반.초반.3짜급으로 17수로 마감
12월 27일(토)
인낚 현재접속자
3,681명 (
244
)
공지사항
인낚도서관
점주선장전용 공지사항
로그인
광고/제휴 문의
운영진에게
인낚ㅣ인터넷바다낚시
0
어종별선상
어종별갯바위
낚시인조황
점주선장조황
출조정보
낚시광장
낚시지식인
낚시교실
중고장터
휴게실
인낚도서관
인낚몰
0
어종별선상
어종별 선상조황
4대돔 조황
먹물 조황
갈치 조황
볼락&전갱이
빅게임 지깅&파핑
외줄&외수질
기타 어종
어종별 갯바위조황
4대돔 조황
먹물 조황
갈치 조황
볼락&전갱이
농어&삼치&방어&부시리
기타 어종
어종별갯바위
어종별 선상조황
4대돔 조황
먹물 조황
갈치 조황
볼락&전갱이
빅게임 지깅&파핑
외줄&외수질
기타 어종
어종별 갯바위조황
4대돔 조황
먹물 조황
갈치 조황
볼락&전갱이
농어&삼치&방어&부시리
기타 어종
낚시인조황
낚시인 번개조황
낚시인조행기
스탭조행기
우리낚시동호회이야기
전국낚시동호회소개
동호회갤러리
지난 조황자료보기(년도별 조황 자료)
점주선장조황
전국 실시간 조황
선상(배)+좌대 조황
갯바위+방파제 조황
점주선장전용 공지사항
지난 조황자료보기(년도별 조황 자료)
출조정보
낚시인동행출조
점주선장 갯바위 출조
점주선장 선상출조
기상파고정보(기상청)
해상예보
물때표
파고예보(일본)
실시간해양관측예보
스마트조석예보
낚시광장
낚시계뉴스
대회 및 낚시관련 홍보
제품평가단
신상품소개
낚시지식인
Q&A 묻고 답하기
지식인 베스트
조황/포인트 문의
낚시용품 사용기
낚시투표
토론방
新어류도감
낚시교실
낚시기법소개
어종별 낚시교실
입문자교실
중급자교실
낚시용어사전
중고장터
중고장터 이용후기
더치트 사기피해 검색
팝니다
삽니다
교환합시다
무료로 드립니다
부품팝니다
부품삽니다
일반 생활용품 사고 팔기
휴게실
출석부
낚시갤러리
세상사는 이야기(자유게시판)
낚시이야기 마당
먹고사는 이야기
구인구직
칭찬합니다
어째이런일이
습득물 찾기
인낚도서관
인낚 유튜브
인낚 칼럼
블루, 그것이 알고싶다
더블테일의 두 눈으로 보는 세상
입질의추억의 피싱다이어리
나無의 바다 이야기
전문강좌
海巖의 바다낚시 이야기
이성규의 전유동낚시 강좌
조성민의 금요루어클럽
메인
어종별선상
어종별갯바위
낚시인조황
점주선장조황
출조정보
낚시광장
낚시지식인
낚시교실
중고장터
휴게실
인낚도서관
인낚몰
0
전국 실시간 조황
선상(배)+좌대 조황
갯바위+방파제 조황
점주선장전용 공지사항
지난 조황자료보기(년도별 조황 자료)
점주/선장 >
선상 + 좌대 조황
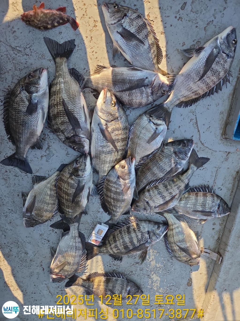
감성돔 (카고) ㅡ17수, 오늘은 5짜없이 4짜후반.중반.초반.3짜급으로 17수로 마감
진해레져
0
71
9시간전
● 출항지 : 진해
● 출조지 : 진해
● 출조인원 : 1~2명
네임
카드
진해레져
실시간 예약
홈페이지
밴드 바로가기
유튜브/SNS
감성돔 (카고) ㅡ17수,오늘은 5짜없이 4짜후반.중반.초반.3짜급으로 17수로 마감.
놓친 고기가 너무 많은 하루였습니다 .
목줄 나가고 여에 쳐박고 벗겨지고..ㅠㅠ
ㅡ 카고ㅡ 내일 예약가능합니다
대물감성돔 손맛보러 갑니다
걸면 대물급들입니다
ㅡ어초.여밭으로 출조합니다
<<< 감성돔 >>>
카고 ㅡ카고 출조합니다
토/일/월/화/수/목/금ㅡ 자리 있습니다
물때좋아 손맛 기대됩니다
함께하실분은 연락주세요.
문의 ㅡ010-8517-3877
감성돔(카고)ㅡ원줄 터지고 목줄 나가고 벗겨지고..
어제에 연이어 대물급으로 손맛굿굿
감성돔(카고)5짜.4짜후반.중반급으로 손맛 굿굿
날씨만 받쳐주면 대박 조황 이어집니다
완전 반합니다
감시가 빨래판입니다
이번주ㅡ황금물때입니다.
걸면 대물입니다. 평균 45급
연일 이어지는 대물손맛 ㅡ쭉 이어집니다
덩치급으로 씨알이 빨래판입니다
대물손맛 기대됩니다
기분좋은 출조길 함께하실분은 연락주세요
좋은 조황을 위해 열심히 달려보겠습니다
문의 ㅡ010-8517-3877 ㅡ 진해레져피싱
ㅡㅡㅡㅡㅡㅡㅡㅡㅡㅡㅡㅡㅡㅡㅡㅡㅡㅡㅡㅡㅡ
● 기분좋은 출조길 함께하실분은 연락주세요
ㅡㅡㅡㅡㅡㅡㅡㅡㅡㅡㅡㅡㅡㅡㅡㅡㅡㅡㅡㅡㅡ
○ 매일ㅡ 1. 2호선( 10톤/ 5톤 )출조합니다
○ 5시~6시출항
️ㅡ010-8517-3877
☆1.2호선으로 출조합니다
○자리는 추첨제입니다
○이틀연속 출조하는분. 자리선택가능
(닻도우미 자리선택가능)
️카고ㅡ선비:밑밥.크릴 .옥수수 포함 (12만원)
️대체미끼는 (옥수수) 드립니다
ㅡㅡㅡㅡㅡㅡㅡㅡㅡㅡㅡㅡㅡㅡㅡㅡㅡ
문의 010-8517-3877 진해레져피싱
ㅡㅡㅡㅡㅡㅡㅡㅡㅡㅡㅡㅡㅡㅡㅡㅡㅡ
●감성돔 카고채비●
• 낚시대ㅡ감성돔(2호~3호대).카고대(2호~3호)
• 릴 ㅡ 4000~6000번.
원줄5호~6호.목줄3호~5호
• 카고망 ㅡ30호~40호. 추가봉돌10호(준비)
• 바늘 ㅡ5호~7호
ㅡㅡㅡㅡㅡㅡㅡㅡㅡㅡㅡㅡㅡㅡㅡㅡㅡㅡㅡ
문의 ㅡ010-8517-3877 진해레져피싱
ㅡㅡㅡㅡㅡㅡㅡㅡㅡㅡㅡㅡㅡㅡㅡㅡㅡㅡㅡ
ㅡ 배타는 곳에 가게있습니다
주차후 가게로 오시면됩니다. (킹콩피싱)
가게앞에 배타는곳이라 아주 편해졌습니다.
ㅡㅡㅡㅡㅡㅡㅡㅡㅡㅡㅡㅡㅡㅡㅡㅡㅡㅡㅡㅡㅡ
네비주소 ㅡ창원시 진해구 장천동 782번지
또는진해항제1부두 비지니스센터앞
계좌 ㅡ수협 2060 0077 8533 김종호
꼭 입금후 ●날짜와●입금자 성함●문자주세요️
#전화로 예약해주시고 문의해주세요 감사합니다
밴드 가입시ㅡ실시간 및 동영상 볼수있습니다
https://band.us/@cnfwh
선상24 예약가능
https://leisurefishing.sunsang24.com
/
진/해/레/져/피/싱
0
신고
목록
0
댓글
로그인한 회원만 댓글 등록이 가능합니다.
×
Image Upload
로그인한 회원만 등록가능합니다.
포토
제목
이름
날짜
[고성] 낮뽈 오늘도 왕사미급 이만큼 낚았습니다
출항지 : 고성 / 출조지 : 통영
고성신흥낚시
2
2분전
고성신흥낚시
23:17
[남해] 26일 하동길성호 감성돔 흘림 조황입니다
출항지 : 남해 / 출조지 : 남해
길성호
4
11분전
길성호
23:08
[통영] [지깅]방어,1m10,부시리,대삼치까지(수요일부터,예약가능)
출항지 : 통영 / 출조지 :
삼덕레저호
39
14분전
삼덕레저호
23:05
[진해] 오리온!원도권문어!3.6KK 등 키로급 꾸준한 입질~월요일 예약…
출항지 : 진해 / 출조지 : 진해
진해오리온피싱
68
14분전
진해오리온피싱
23:05
[사천] 일요일 야낙출동~
출항지 : 사천 / 출조지 : 사천
삼천포경민피싱
6
29분전
삼천포경민피싱
22:49
[속초,강릉] 22인승 샤크마린 12.27 빅사이즈 어구가자미 조황 가자미 출…
출항지 : 속초,강릉 / 출조지 :
샤크마린
4
30분전
샤크마린
22:49
[고흥,녹동] [고흥피쉬헌터호] 돌돔덜덜이~ !!
출항지 : 고흥,녹동 / 출조지 :
고흥피쉬헌터호
19
39분전
고흥피쉬헌터호
22:40
[통영] [VIP 광명호] 다잡아 병행 출조(갈치, 열기, 오징어) 고등…
출항지 : 통영 / 출조지 : 통영
광명호
10
57분전
광명호
22:22
[포항] >> 방어&삼치 막잡아~다잡아~(월화 예약중)
출항지 : 포항 / 출조지 : 포항
포항포시즌호
10
57분전
포항포시즌호
22:21
[경주] 12/27 최대 112센티급 빅! 사이즈 겨울먹삼치들~ (월/화…
출항지 : 경주 / 출조지 :
정도로스
7
1시간전
정도로스
22:13
[진해] 윤피싱 사이즈 좋은 왕오징어 수요일 해돋이보고 입항합니다~
출항지 : 진해 / 출조지 : 진해
진해윤피싱
25
1시간전
진해윤피싱
22:08
[사천] 27일 먼 바다 걸면 인생 문어 3kg오버들 조황
출항지 : 사천 / 출조지 :
삼천포스피드피싱
41
1시간전
삼천포스피드피싱
22:05
[고성] 고성드래곤 어초 감시흘림 마릿수 월욜 자리여유
출항지 : 고성 / 출조지 : 통영
고성드래곤피싱
97
1시간전
고성드래곤피싱
22:05
[부산] 27일 해~운대 왕열기 능성어 붉바리~
출항지 : 부산 / 출조지 :
해운대동진호
24
1시간전
해운대동진호
21:59
[거제] [장승포 기룡호] 감성돔 조황입니다 :)
출항지 : 거제 / 출조지 : 거제
기룡호선장
35
1시간전
기룡호선장
21:57
초기화
날짜순
조회순
검색
1
2
3
4
5
Search
검색대상
제목
내용
제목+내용
회원아이디
회원아이디(댓글)
글쓴이
글쓴이(댓글)
또는
그리고
검색어
필수
검색
닫기
검색조건
제목
내용
제목+내용
회원아이디
회원아이디(코)
글쓴이
글쓴이(코)
검색어
또는
그리고
검색
인낚몰 초특가
★3,000★ 하야부사 6단 볼락 전갱이 카드채비 SD724 볼락채비
★1,000★볼락낚시에 최적인 메바트로볼 - 캐스팅볼, 메바볼
★13,000~★3NO 일본 오리지날 직수입 극강 멀티 무광 마크사 원줄
★500★ W쿠션 멀티 수중찌 M L - 전유동 반유동 끄심바리 필수품 수중쿠션
★5,900★ 여러개 있으면 아주 좋은 EVA 시스템 백
★ 1+1 플로팅, 세미, 카본 낚시줄 행사 호수선택가능 / 택상 1+1 원줄, 목줄 행사
★6,000★ 예민함의 끝판왕 애니원찌 벵에돔찌 학공치찌
★15,000★ 오동목 구멍찌 5개 + 메쉬 찌케이스 세트
★22만원★ 40W 집어등을 이 가격에!
★5,000★ 전층쿠션 15세트입 S / L 사이즈
★2,000★ 전층쿠션 5세트입 S / L 사이즈
★10,000 미니집어등5개 + 425배터리 1개 + 스토퍼고무 10개