#거제어구항 수성호#감성돔 등 금일조황
12월 06일(토)
인낚 현재접속자
2,677명 (
165
)
공지사항
인낚도서관
점주선장전용 공지사항
로그인
광고/제휴 문의
운영진에게
인낚ㅣ인터넷바다낚시
0
어종별선상
어종별갯바위
낚시인조황
점주선장조황
출조정보
낚시광장
낚시지식인
낚시교실
중고장터
휴게실
인낚도서관
인낚몰
0
어종별선상
어종별 선상조황
4대돔 조황
먹물 조황
갈치 조황
볼락&전갱이
빅게임 지깅&파핑
외줄&외수질
기타 어종
어종별 갯바위조황
4대돔 조황
먹물 조황
갈치 조황
볼락&전갱이
농어&삼치&방어&부시리
기타 어종
어종별갯바위
어종별 선상조황
4대돔 조황
먹물 조황
갈치 조황
볼락&전갱이
빅게임 지깅&파핑
외줄&외수질
기타 어종
어종별 갯바위조황
4대돔 조황
먹물 조황
갈치 조황
볼락&전갱이
농어&삼치&방어&부시리
기타 어종
낚시인조황
낚시인 번개조황
낚시인조행기
스탭조행기
우리낚시동호회이야기
전국낚시동호회소개
동호회갤러리
지난 조황자료보기(년도별 조황 자료)
점주선장조황
전국 실시간 조황
선상(배)+좌대 조황
갯바위+방파제 조황
점주선장전용 공지사항
지난 조황자료보기(년도별 조황 자료)
출조정보
낚시인동행출조
점주선장 갯바위 출조
점주선장 선상출조
기상파고정보(기상청)
해상예보
물때표
파고예보(일본)
실시간해양관측예보
스마트조석예보
낚시광장
낚시계뉴스
대회 및 낚시관련 홍보
제품평가단
신상품소개
낚시지식인
Q&A 묻고 답하기
조황/포인트 문의
주간 베스트
낚시용품 사용기
낚시투표
토론방
新어류도감
낚시교실
낚시기법소개
어종별 낚시교실
입문자교실
중급자교실
낚시용어사전
중고장터
중고장터 이용후기
더치트 사기피해 검색
팝니다
삽니다
교환합시다
무료로 드립니다
부품팝니다
부품삽니다
일반 생활용품 사고 팔기
휴게실
출석부
낚시갤러리
세상사는 이야기(자유게시판)
낚시이야기 마당
먹고사는 이야기
구인구직
칭찬합니다
어째이런일이
습득물 찾기
메인
어종별선상
어종별갯바위
낚시인조황
점주선장조황
출조정보
낚시광장
낚시지식인
낚시교실
중고장터
휴게실
0
전국 실시간 조황
선상(배)+좌대 조황
갯바위+방파제 조황
점주선장전용 공지사항
지난 조황자료보기(년도별 조황 자료)
점주/선장 >
선상 + 좌대 조황
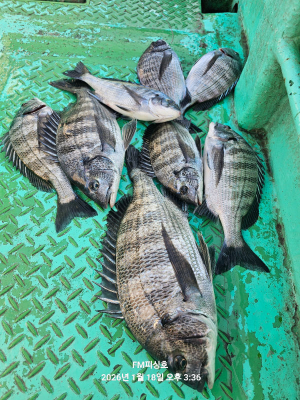
#거제어구항 수성호#감성돔 등 금일조황
거제어구항수성호
0
60
12.05 16:20
● 출항지 : 거제
● 출조지 : 거제
● 출조인원 : 11~15명
네임
카드
거제어구항수성호
실시간 예약
홈페이지
밴드 바로가기
유튜브/SNS
안녕하세요~
부선장입니다
8물에 전마선 12대 선외기 1대 출조하였습니다
손맛보신분들 조황중에서
감성돔 도다리 장어 농어 등
다양한 어종 손맛보셨고
전체적인 상황이나 조황내용은
사진으로 참고해주세요
수성호을 늘 이용해주시고 많은 관심 항상
감사드리고 오늘하루도 수고많으셨습니다
주말에는 예약하시고 방문부탁드립니다
<<출조관련안내>>
1.수성호 공식 블로그
http://blog.naver.com/susungho123
(네이버 검색창에 "어구수성호"치시면
최신조황내용확인가능합니다)
2.예약
010 4578 9873 (부선장) - 전화+문자예약가능
010 3872 4236 (선장) - 전화예약가능
3.출조시간
오전6시 ~ 오후4시까지
(일출 30분전-일몰에따라 변동)
도착시간에 따라 수시로 출항 철수 가능!
4.전마선 대여
1인/2인 - 5만원
3인 6만원 - (최대 정원 3人)
5.선외기 대여
1인 - 7만원
2인 - 8만원
3인 - 10만원 (최대 정원 3人)
☆선외기 루어낚시 경우 1만원 추가☆
6.갯바위/야영 방파제
부선장 휴대전화로 전화or문자 문의!
7.기타 다른문의사항있으시면 부선장 전화로
문자 문의해주세요!
0
신고
목록
0
댓글
로그인한 회원만 댓글 등록이 가능합니다.
×
Image Upload
로그인한 회원만 등록가능합니다.
포토
제목
이름
날짜
[통영] 청송호)감성돔 조황(카고)
출항지 : 통영 / 출조지 : 통영
풍화리청송호
10
43분전
풍화리청송호
00:21
[포항] 밤볼락 쿵쾅! 실시간 12/5
출항지 : 포항 / 출조지 : 포항
신항만NEW대양호
16
60분전
신항만NEW대양호
00:05
[통영] [지깅]방어,부시리,오늘도"미친피딩'난리부루스(월,화,수,출항,…
출항지 : 통영 / 출조지 :
삼덕레저호
76
1시간전
삼덕레저호
00:00
[진해] 내일 토요일 야간전투문어 예약가능~ 묵직한 문어손맛보러 오세요~
출항지 : 진해 / 출조지 : 진해
진해제네시스호
47
12.05
진해제네시스호
12.05
[진해] 토요일<야간낙지>예약가능&일요일<주간쭈꾸미>예약가능
출항지 : 진해 / 출조지 :
썬플라워호10톤
63
12.05
썬플라워호10톤
12.05
[고흥,녹동] 251204 녹동제니스2호 참돔타이조황 16분 200수 훌~쩍.…
출항지 : 고흥,녹동 / 출조지 :
ZENITH제니스호
12
12.05
ZENITH제니스호
12.05
[고성] 고성드래곤 감시 흘림 44외 마릿수 일욜 자리여유
출항지 : 고성 / 출조지 : 고성
고성드래곤피싱
50
12.05
고성드래곤피싱
12.05
[여수,광양] <여수뉴피닉스호> 7일(일)ㅡ 왕쭈꾸미+갑오징어낚시 (늦은출항)…
출항지 : 여수,광양 / 출조지 : 여수,광양
여수피닉스피싱
46
12.05
여수피닉스피싱
12.05
[진해] 쫙~쫙 달라붙어 올라오는 야간~돌문어 잡으러 출조 갑니다 @ …
출항지 : 진해 / 출조지 : 거제
성진피싱
48
12.05
성진피싱
12.05
[진해] 야간낙지 끈적끈적 손맛최고~!!(토,일 예약중)
출항지 : 진해 / 출조지 : 진해
진해라코피싱
76
12.05
진해라코피싱
12.05
[진해] 주말 무너사냥~(토요일~오후3시예약중,,일요일~오전문어예약중
출항지 : 진해 / 출조지 : 진해
진해골드스타2
51
12.05
진해골드스타2
12.05
[마산] 원전항)9톤 쭈꾸미 잘잡고~손맛보고 내일 토요일 출항갑니다~
출항지 : 마산 / 출조지 :
신조선짱구호원전항
64
12.05
신조선짱구호원전항
12.05
[사천] 내일 원도권 덩치 좋은 돌문어 출조 확정 나갑니다
출항지 : 사천 / 출조지 :
삼천포스피드피싱
32
12.05
삼천포스피드피싱
12.05
[진해] [준내만갈치]빵좋은대치들로만쿨까지!!내일부터예약가능~!!일월화수…
출항지 : 진해 / 출조지 :
진해매일호
70
12.05
진해매일호
12.05
[통영] (로드피싱)문어5일,네분 짬조황~주말 주간야간 출조합니다!
출항지 : 통영 / 출조지 : 고성
로드피싱
58
12.05
로드피싱
12.05
초기화
날짜순
조회순
검색
1
2
3
4
5
Search
검색대상
제목
내용
제목+내용
회원아이디
회원아이디(댓글)
글쓴이
글쓴이(댓글)
또는
그리고
검색어
필수
검색
닫기
검색조건
제목
내용
제목+내용
회원아이디
회원아이디(코)
글쓴이
글쓴이(코)
검색어
또는
그리고
검색
인낚몰 초특가
★500★ W쿠션 멀티 수중찌 M L - 전유동 반유동 끄심바리 필수품 수중쿠션
★5,900★ 여러개 있으면 아주 좋은 EVA 시스템 백
★ 1+1 플로팅, 세미, 카본 낚시줄 행사 호수선택가능 / 택상 1+1 원줄, 목줄 행사
★6,000★ 예민함의 끝판왕 애니원찌 벵에돔찌 학공치찌
★15,000★ 오동목 구멍찌 5개 + 메쉬 찌케이스 세트
★22만원★ 40W 집어등을 이 가격에!
★5,000★ 전층쿠션 15세트입 S / L 사이즈
★2,000★ 전층쿠션 5세트입 S / L 사이즈
★10,000 미니집어등5개 + 425배터리 1개 + 스토퍼고무 10개
★13,500 深海 심해대물 갈치집어등 3개 5LED 오색 집어등 갈치낚시 필수품 건전지3개 포함 수중집어등
★9,900★ 수제공방 갈치 풀치 잔치세트 짬낚시 필수 하나로 끝
★8,650~★ 아부가르시아 카치카치다마 유동식 타이라바 - 80g / 100g / 120g / 140g