카드
경남 창원시 진해구 행암로
192 행암문예마루
[감성돔 흘림]이제 큰놈들이 움직이기 시작!!예약가능
경남 창원시 진해구 행암로
192 행암문예마루
▣진해빅마마(예약문의) 010 3577 8585
부재시 문자주세요(예시:0월0일/홍길동외0명)
" 선입금 확인후 예약확정 됩니다 "
계좌번호: 수협 0010 3577 8585(이태화)
입금후 확인 문자 보내주세요
(예시) 날짜/예약자/인원수
"입금자 순으로 예약 됩니다"
(하루전 취소50%환불/당일 취소시 환불 불가)
▣ 감성돔 흘림 (오전5시30~ 오후2시 철수)
(출항30분전 도착바람)
1인 선비 (식사 + 밑밥 + 미끼 포함 ) 10만원
대체미끼 : 민물새우/경단/옥수수 (개인준비)
낚시대 : 1호~2호 흘림대
채비 : 2호 ~ 3호 막대찌 또는 구멍찌
"출항/철수 시간은 변동 있음"
▶배타는곳:창원시 진해구 행암로192
행암문예마루/(구)오페라하우스 앞 빅마마호
▩ 감성돔 흘림 예약현황 ▩
07일 (일) 예약가능
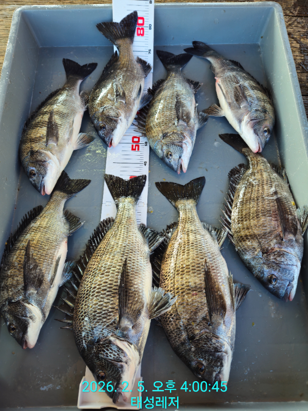
【 조황 소식 】
이제부터 대물들이 움직이기 시작 합니다
항상 조황이좋으면 좋겠지만 바다가
내어주는만큼잡고 또 다음을 기약합니다
"매일매일" 열심히 달려보겠습니다
오늘도 다녀가신조사님들고생하셨습니다
▣ 감성돔 흘림 (오전5시30~ 오후2시 철수)
(출항30분전 도착바람)
1인 선비 (식사 + 밑밥 + 미끼 포함 ) 10만원
대체미끼 : 민물새우/경단/옥수수 (개인준비)
낚시대 : 1호~2호 흘림대
채비 : 2호 ~ 3호 막대찌 또는 구멍찌
【 주의 사항 】
※ 구명조끼 가져 오세요 착용필수!!
※ 선내 음주는 절대 안됩니다!!
※ 오실때 신분증 꼭 지참 하세요!!
"주의"해경 단속시 조끼미착용자 및 음주자 과태료부과(100만원)
미소지자 선내 비치된 구명조끼 착용가능
"출항/철수 시간은 변동 있음"
무료제공: 식사.자동라면조리기.커피.음료수.생수.얼음
빅마마호: 10톤.정원22명(선장.안전요원포함)
수세식화장실.에어컨.히터.넓은선실공간
주 소: 창원시 진해구 행암로192
(행암문예마루앞 빅마마호)
선장 연락처: 010-3577-8585
"선상낚시 빅마마호" 밴드로 초대합니다.
(아래 링크를 눌러주세요)
https://band.us/band/5301852


