송정 독도호 생할낚시 조황 안내입니다
12월 29일(월)
인낚 현재접속자
3,828명 (
312
)
공지사항
인낚도서관
점주선장전용 공지사항
로그인
광고/제휴 문의
운영진에게
인낚ㅣ인터넷바다낚시
0
어종별선상
어종별갯바위
낚시인조황
점주선장조황
출조정보
낚시광장
낚시지식인
낚시교실
중고장터
휴게실
인낚도서관
인낚몰
0
어종별선상
어종별 선상조황
4대돔 조황
먹물 조황
갈치 조황
볼락&전갱이
빅게임 지깅&파핑
외줄&외수질
기타 어종
어종별 갯바위조황
4대돔 조황
먹물 조황
갈치 조황
볼락&전갱이
농어&삼치&방어&부시리
기타 어종
어종별갯바위
어종별 선상조황
4대돔 조황
먹물 조황
갈치 조황
볼락&전갱이
빅게임 지깅&파핑
외줄&외수질
기타 어종
어종별 갯바위조황
4대돔 조황
먹물 조황
갈치 조황
볼락&전갱이
농어&삼치&방어&부시리
기타 어종
낚시인조황
낚시인 번개조황
낚시인조행기
스탭조행기
우리낚시동호회이야기
전국낚시동호회소개
동호회갤러리
지난 조황자료보기(년도별 조황 자료)
점주선장조황
전국 실시간 조황
선상(배)+좌대 조황
갯바위+방파제 조황
점주선장전용 공지사항
지난 조황자료보기(년도별 조황 자료)
출조정보
낚시인동행출조
점주선장 갯바위 출조
점주선장 선상출조
기상파고정보(기상청)
해상예보
물때표
파고예보(일본)
실시간해양관측예보
스마트조석예보
낚시광장
낚시계뉴스
대회 및 낚시관련 홍보
제품평가단
신상품소개
낚시지식인
Q&A 묻고 답하기
지식인 베스트
조황/포인트 문의
낚시용품 사용기
낚시투표
토론방
新어류도감
낚시교실
낚시기법소개
어종별 낚시교실
입문자교실
중급자교실
낚시용어사전
중고장터
중고장터 이용후기
더치트 사기피해 검색
팝니다
삽니다
교환합시다
무료로 드립니다
부품팝니다
부품삽니다
일반 생활용품 사고 팔기
휴게실
출석부
낚시갤러리
세상사는 이야기(자유게시판)
낚시이야기 마당
먹고사는 이야기
구인구직
칭찬합니다
어째이런일이
습득물 찾기
인낚도서관
인낚 유튜브
인낚 칼럼
블루, 그것이 알고싶다
더블테일의 두 눈으로 보는 세상
입질의추억의 피싱다이어리
나無의 바다 이야기
전문강좌
海巖의 바다낚시 이야기
이성규의 전유동낚시 강좌
조성민의 금요루어클럽
메인
어종별선상
어종별갯바위
낚시인조황
점주선장조황
출조정보
낚시광장
낚시지식인
낚시교실
중고장터
휴게실
인낚도서관
인낚몰
0
전국 실시간 조황
선상(배)+좌대 조황
갯바위+방파제 조황
점주선장전용 공지사항
지난 조황자료보기(년도별 조황 자료)
점주/선장 >
선상 + 좌대 조황
송정 독도호 생할낚시 조황 안내입니다
독도호
0
156
11.12 07:59
● 출항지 : 부산
● 출조인원 : 1~2명
안녕하세요~반갑습니다!
해운대 송정항 독도호 선장 백영식입니다.
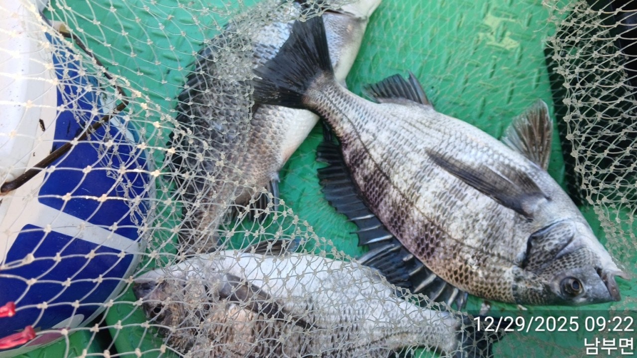
25년 11월 11일 송정권 생활낚시 조황을 전해 드립니다.
오늘은 오후에 출항하여 조과는 씨알이 다소 아쉬웠지만 전갱이 마릿수 조황을 보고 철수하였습니다.
* 물때 : 14물(조류세기 26%, 바다상황 양호)
* 생활낚시 낚시장비 무료대여
(신분증은 필히 지참요망)
『오늘도 해운대 송정항 독도호를 찾아 주시고, 함께해 주신 조사님들께 감사드립니다』
<출조시간> 매일 06:00~11:00(1항차) 13:00~일몰전까지(2항차)
<출조선비> 7만원(예약시 선입금, 독배 선비는 사전문의 요망)
<대상어종> 감성돔, 참돔, 부시리 흘림낚시 & 전갱이 등 생활낚시 병행
[예약관련 참고사항]
- 휴대전화: 010-4541-1184(직통)
- 계좌번호: 우체국 600200-02-066680(예금주: 백영식)
가족단위 출조, 동호인 독배, 개인출조 등 예약환영(정원: 선장 포함 6인)
★바다낚시를 즐겨하시는 우리 조사님들 바쁜 일정으로 멀리까지 출조하시기 힘드셨을텐데~
이제부턴 가까운 송정바다로 오셔도 짜릿한 손맛과 함께 즐거운 낚시가 가능합니다.
【송정 독도호】
부산 해운대구 송정해변로 1-19 송정항
Mobile : 010-4541-1184(선장)
"송정항 독도호 이야기(샘플영상)" 바로보기
https://youtu.be/L3zUWlPL9LY?si=rgbDIYcasQuBTrum
[밴드 초대장]
낚고사/자찾사/해운대감시님이 당신을 '송정바다를 사랑하는 사람들' 밴드에 초대합니다.
초대를 수락하고 우리 모임에 함께해요!
https://band.us/n/a8a3A99bp7wfJ
#송정항독도호 #독도호 #선상낚시 #생활낚시 #전갱이 #가족연인체험낚시 #낚시가좋다 #초보입문환영 #낚시도전 #송정바다 #손맛입맛 #낚시추억만들기 #바다낚시 #송정바다를사랑하는사람들
0
신고
목록
글쓴이
0
0
Lv.1
독도호
점주선장
0 (0%)
인낚 회원 여러분! 잘 부탁드립니다.
11.12
송정 독도호 생할낚시 조황 안내입니다
11.07
송정 독도호 생활낚시 대박 조황 안내입니다
11.04
송정항 독도호 생활낚시 조황안내입니다
10.28
송정 독도호 전갱이 생활낚시 조황입니다
10.28
송정 독도호 생활낚시 조황입니다
0
댓글
로그인한 회원만 댓글 등록이 가능합니다.
×
Image Upload
로그인한 회원만 등록가능합니다.
포토
제목
이름
날짜
[거제] (감성돔)HIT~실시간 4짜4짜 외 4짜급 체포 대어2호(30일…
출항지 : 거제 / 출조지 : 거제
거제대어낚시2호
0
-1초전
거제대어낚시2호
10:30
[진해] 먼바다 대포급 왕 오징어 먹물폭탄 오징어 조황 내일무조건 출항 …
출항지 : 진해 / 출조지 :
개성피싱
6
5분전
개성피싱
10:25
[진해] (王오징어)2L급 사이즈~1타쌍피 끝장손맛~해신호(30일 예약)
출항지 : 진해 / 출조지 : 진해
진해해신호
11
7분전
진해해신호
10:23
[거제] 어초!흘림5짜.4짜외감성돔.참돔마릿수~예약가능
출항지 : 거제 / 출조지 : 거제
거제영웅2호
5
9분전
거제영웅2호
10:21
[진해] ( 선비 5 만원 ) 끝임없이 올라와 잡고온 야간 ~왕 낙지 …
출항지 : 진해 / 출조지 : 거제
성진피싱
9
10분전
성진피싱
10:20
[진해] (문어)원도권 씨알 마릿수 OK~2연타 3연타 K급 HIT~강민…
출항지 : 진해 / 출조지 : 진해
진해강민호
7
11분전
진해강민호
10:18
[진해] [주꾸미]오늘도잘놀다왔습니다~ 화/수 예약가능! [왕오징어]금토…
출항지 : 진해 / 출조지 :
진해매일호
52
15분전
진해매일호
10:15
[진해] 감성돔 카고ㅡ우당탕탕~17수~ 4짜4짜4짜들 마리수굿ㅡ예약가능
출항지 : 진해 / 출조지 : 진해
진해레져
40
20분전
진해레져
10:10
[통영] (통영)주간 2K오버 문어들 외 야간 볼락 만쿨 핫조황~고고써니…
출항지 : 통영 / 출조지 : 통영
고고써니호
9
22분전
고고써니호
10:07
[통영] (문어)원도권 공략 K전후 대물 구덩이 발견~락피싱(30일 예약…
출항지 : 통영 / 출조지 : 통영
통영락피싱
10
30분전
통영락피싱
10:00
[통영] 참돔 실시간 내일자리여유
출항지 : 통영 / 출조지 :
통영드레이크호
9
30분전
통영드레이크호
10:00
[사천] 쭈꾸미 평일오전10시,주말오전7시출조
출항지 : 사천 / 출조지 : 사천
삼천포선상낚시창남호
6
31분전
삼천포선상낚시창남호
09:59
[사천] ^내일 왕쭈 출조확정 "선비5만/점심제공" 쭈욱 예약중입니다^^
출항지 : 사천 / 출조지 :
삼천포태진피싱
5
32분전
삼천포태진피싱
09:58
[통영] (문어)3K급 대물 빠지고 2K 2K 외 K오버들~현서피싱(30…
출항지 : 통영 / 출조지 : 통영
현서피싱
12
32분전
현서피싱
09:58
[진해] 열기볼락,왕씨알만쿨행진,쭉 예약가능/대포오징어,오늘출항/
출항지 : 진해 / 출조지 : 진해
진해대성낚시
15
33분전
진해대성낚시
09:57
초기화
날짜순
조회순
검색
1
2
3
4
5
Search
검색대상
제목
내용
제목+내용
회원아이디
회원아이디(댓글)
글쓴이
글쓴이(댓글)
또는
그리고
검색어
필수
검색
닫기
검색조건
제목
내용
제목+내용
회원아이디
회원아이디(코)
글쓴이
글쓴이(코)
검색어
또는
그리고
검색
인낚몰 초특가
★3,000★ 하야부사 6단 볼락 전갱이 카드채비 SD724 볼락채비
★1,000★볼락낚시에 최적인 메바트로볼 - 캐스팅볼, 메바볼
★13,000~★3NO 일본 오리지날 직수입 극강 멀티 무광 마크사 원줄
★500★ W쿠션 멀티 수중찌 M L - 전유동 반유동 끄심바리 필수품 수중쿠션
★5,900★ 여러개 있으면 아주 좋은 EVA 시스템 백
★ 1+1 플로팅, 세미, 카본 낚시줄 행사 호수선택가능 / 택상 1+1 원줄, 목줄 행사
★6,000★ 예민함의 끝판왕 애니원찌 벵에돔찌 학공치찌
★15,000★ 오동목 구멍찌 5개 + 메쉬 찌케이스 세트
★22만원★ 40W 집어등을 이 가격에!
★5,000★ 전층쿠션 15세트입 S / L 사이즈
★2,000★ 전층쿠션 5세트입 S / L 사이즈
★10,000 미니집어등5개 + 425배터리 1개 + 스토퍼고무 10개